Benvenuto Ospite

Forum Entomologi Italiani

www.entomologiitaliani.net/forum
 
Oggi è 04/11/2025, 21:24

Tutti gli orari sono UTC + 1 ora [ ora legale ]

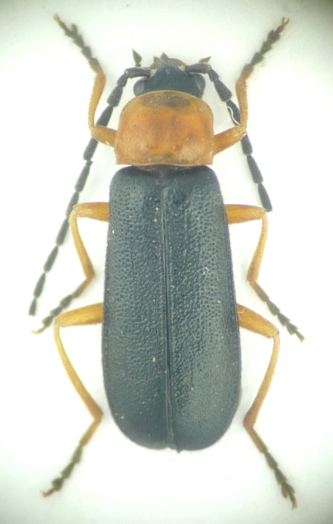
Cratosilis sp. - Cantharidae

27.VII.2014 - ITALIA - Trentino-Alto Adige - TN, Val San Nicolò, 1800 m slm


nuovo argomento
rispondi
Pagina 1 di 1 [ 4 messaggi ]
Autore Messaggio
 Oggetto del messaggio: Cratosilis sp. - Cantharidae
MessaggioInviato: 28/08/2014, 18:00 
Avatar utente

Iscritto il: 21/02/2011, 15:25
Messaggi: 3877
Località: Montecchio Emilia (RE)
Nome: Violi Michele
Questo dovrebbe essere un Cratosilis sp. Vale quanto detto qui.
6 mm


P1500893.jpg


_________________
Michele :D
Top
profilo
 Oggetto del messaggio: Re: Cantharidae #5 Cratosilis sp
MessaggioInviato: 28/08/2014, 19:15 
 
Cratosilis
se è un maschio e ti va estrarre estrarre


Top
 Oggetto del messaggio: Re: Cantharidae #5 Cratosilis sp
MessaggioInviato: 28/08/2014, 20:01 
Avatar utente

Iscritto il: 21/02/2011, 15:25
Messaggi: 3877
Località: Montecchio Emilia (RE)
Nome: Violi Michele
Senza neanche avere la certezza che sia maschio non ho voglia di riammorbidire, estrarre e ripreparare, con il rischio di danneggiarlo... So che ci sono 4 specie, escludendo C. sicula che dovrebbe essere solo al sud, e C. laeta che ha una colorazione divesra, non ci sono delle chiavi per distinguere le due specie rimanenti?

_________________
Michele :D


Top
profilo
 Oggetto del messaggio: Re: Cantharidae #5 Cratosilis sp
MessaggioInviato: 28/08/2014, 20:49 
 
allora non so aiutarti con certezza, in più servirebbe perlomeno un maggiore dettaglio della scultura elitrale
PS: non è che sia 'sta grande perdita perdere una Cratosilis :mrgreen: :mrgreen: è molto frequente


Top
Visualizza ultimi messaggi:  Ordina per  
nuovo argomento
rispondi
Pagina 1 di 1 [ 4 messaggi ]

Tutti gli orari sono UTC + 1 ora [ ora legale ]


Chi c’è in linea

Visitano il forum: Nessuno e 1 ospite


Non puoi aprire nuovi argomenti
Non puoi rispondere negli argomenti
Non puoi modificare i tuoi messaggi
Non puoi cancellare i tuoi messaggi
Non puoi inviare allegati

Cerca per:
Vai a: