Benvenuto Ospite

Forum Entomologi Italiani

www.entomologiitaliani.net/forum
 
Oggi è 05/11/2025, 3:54

Tutti gli orari sono UTC + 1 ora [ ora legale ]

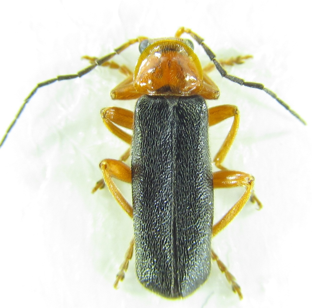
Cantharis sp. - Cantharidae

26.IV.2015 - TURCHIA - EE, Urla,Izmir


nuovo argomento
rispondi
Pagina 1 di 1 [ 4 messaggi ]
Autore Messaggio
 Oggetto del messaggio: Cantharis sp. - Cantharidae
MessaggioInviato: 24/06/2015, 17:49 
Avatar utente

Iscritto il: 21/09/2014, 11:55
Messaggi: 1561
Località: Istanbul Turkey
Nome: Barış
Cantharis sp?
Size:8 mm


Cantharis sp 8 mm 26-04-2015 Urla Ev.jpg

Top
profilo
 Oggetto del messaggio: Re: Cantharidae?
MessaggioInviato: 24/06/2015, 18:15 
 
Yes Cantharidae but I do not know Turkish fauna sorry
especially from photos where do not see the claws if are bifid


Top
 Oggetto del messaggio: Re: Cantharidae?
MessaggioInviato: 24/06/2015, 18:28 
Avatar utente

Iscritto il: 21/09/2014, 11:55
Messaggi: 1561
Località: Istanbul Turkey
Nome: Barış
If I photograp the claws,can we go further?
:hi:


Top
profilo
 Oggetto del messaggio: Re: Cantharidae?
MessaggioInviato: 24/06/2015, 18:45 
 
maybe, I do not know, you should know even if it's a boy or a girl


Top
Visualizza ultimi messaggi:  Ordina per  
nuovo argomento
rispondi
Pagina 1 di 1 [ 4 messaggi ]

Tutti gli orari sono UTC + 1 ora [ ora legale ]


Chi c’è in linea

Visitano il forum: Nessuno e 1 ospite


Non puoi aprire nuovi argomenti
Non puoi rispondere negli argomenti
Non puoi modificare i tuoi messaggi
Non puoi cancellare i tuoi messaggi
Non puoi inviare allegati

Cerca per:
Vai a:  
cron