Benvenuto Ospite

Forum Entomologi Italiani

www.entomologiitaliani.net/forum
 
Oggi è 05/11/2025, 12:13

Tutti gli orari sono UTC + 1 ora [ ora legale ]

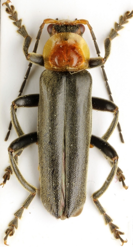
Cantharis (Cantharis) livida Linnaeus, 1758 var. nigripes Schilsky, 1889 - Cantharidae

30.V.2011 - ITALIA - Sicilia - ME, Parco dei Nebrodi


nuovo argomento
rispondi
Pagina 1 di 1 [ 4 messaggi ]
Autore Messaggio
MessaggioInviato: 24/06/2015, 22:00 
 

Iscritto il: 25/03/2015, 15:12
Messaggi: 167
Località: Czech Rep.
Nome: Frantisek Houska
Ciao :hi: :hi: :hi:

pls help

12 mm

IMG_3087.JPG

IMG_3095.JPG



Top
profilo
 Oggetto del messaggio: Re: Cantharis sp.
MessaggioInviato: 24/06/2015, 22:21 
 

Iscritto il: 25/03/2015, 15:12
Messaggi: 167
Località: Czech Rep.
Nome: Frantisek Houska
the legs are black, but bottom side of front femurs are orange
head


IMG_3097.JPG

Top
profilo
 Oggetto del messaggio: Re: Cantharis sp.
MessaggioInviato: 24/06/2015, 22:40 
 
Cantharis (Cantharis) livida Linnaeus, 1758 var. nigripes Schilsky, 1889
variety rather frequenty in Sicily


Top
 Oggetto del messaggio: Re: Cantharis sp.
MessaggioInviato: 24/06/2015, 23:07 
 

Iscritto il: 25/03/2015, 15:12
Messaggi: 167
Località: Czech Rep.
Nome: Frantisek Houska
Thank you very much Fabrizio
:birra:


Top
profilo
Visualizza ultimi messaggi:  Ordina per  
nuovo argomento
rispondi
Pagina 1 di 1 [ 4 messaggi ]

Tutti gli orari sono UTC + 1 ora [ ora legale ]


Chi c’è in linea

Visitano il forum: Nessuno e 1 ospite


Non puoi aprire nuovi argomenti
Non puoi rispondere negli argomenti
Non puoi modificare i tuoi messaggi
Non puoi cancellare i tuoi messaggi
Non puoi inviare allegati

Cerca per:
Vai a: