Benvenuto Ospite

Forum Entomologi Italiani

www.entomologiitaliani.net/forum
 
Oggi è 04/11/2025, 20:54

Tutti gli orari sono UTC + 1 ora [ ora legale ]

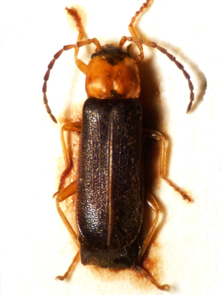
Cratosilis laeta (Fabricius, 1792) - Cantharidae

9.V.2002 - ITALIA - Lazio - RM, Roma, Parco della Caffarella


nuovo argomento
rispondi
Pagina 1 di 1 [ 2 messaggi ]
Autore Messaggio
MessaggioInviato: 16/05/2020, 12:51 
Avatar utente

Iscritto il: 28/04/2010, 23:44
Messaggi: 2107
Località: Roma
Nome: Valerio Viglioglia
Altra Cratosilis, dovrebbe essere Cratosilis denticollis che peraltro mancava ancora sul forum.
Ha dei bei punti impressi sulle elitre, si vedono un po' sfocati. Anche qui appena posso metterò foto più dettagliate della punteggiatura delle elitre.

L. = 7 mm

P1030234.JPG

P1030237.JPG


_________________
Valerio V


Top
profilo
 Oggetto del messaggio: Re: Cratosilis sp. 2. - Cantharidae
MessaggioInviato: 16/05/2020, 19:59 
Avatar utente

Iscritto il: 28/04/2010, 23:44
Messaggi: 2107
Località: Roma
Nome: Valerio Viglioglia
F. Fanti dice Cratosilis laeta, non è specie nuova per il forum ma vedo comunque che è l'unico esemplare ad elitre completamente nere ;)

:hi: :hi:

_________________
Valerio V


Top
profilo
Visualizza ultimi messaggi:  Ordina per  
nuovo argomento
rispondi
Pagina 1 di 1 [ 2 messaggi ]

Tutti gli orari sono UTC + 1 ora [ ora legale ]


Chi c’è in linea

Visitano il forum: Nessuno e 1 ospite


Non puoi aprire nuovi argomenti
Non puoi rispondere negli argomenti
Non puoi modificare i tuoi messaggi
Non puoi cancellare i tuoi messaggi
Non puoi inviare allegati

Cerca per:
Vai a: