| Autore |
Messaggio |
|
alexaandru
|
Inviato: 12/01/2023, 9:31 |
|
Iscritto il: 31/08/2010, 7:16 Messaggi: 3040 Località: Romania
Nome: Pintilioaie Alexandru Mihai
|
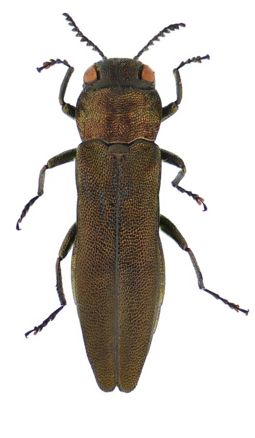
It is possible to ID this Agrilus? I can provide more pictures if needed. Unfortunately no idea about host plant 
_________________ alexandrupintilioaie(AT)gmail.com
|
|
| Top |
|
 |
|
Autarcontes
|
Inviato: 13/01/2023, 10:01 |
|
Iscritto il: 19/04/2012, 7:52 Messaggi: 1085
Nome: Gianfranco Curletti
|
|
Alexandru, it will be because the photos always put me in crisis (plus yours are beautiful), but I can not determine the specimen. Sorry. I would have to see it under binocular to get some idea. Anyway it is very interesting. gian
|
|
| Top |
|
 |
|
Clickie
|
Inviato: 14/01/2023, 1:08 |
|
Iscritto il: 13/10/2010, 18:21 Messaggi: 1990
Nome: Andrea Liberto
|
|
Hi there, in my opinion it's very likely a male of Agrilus cuprescens
Bests
|
|
| Top |
|
 |
|
alexaandru
|
Inviato: 15/01/2023, 20:54 |
|
Iscritto il: 31/08/2010, 7:16 Messaggi: 3040 Località: Romania
Nome: Pintilioaie Alexandru Mihai
|
Thank you guys a lot for your help  ... I hope next year I will be able to collect more specimens and to ID them properly. Meanwhile I will add here this picture with a lateral view of the beetle, maybe it will help 
_________________ alexandrupintilioaie(AT)gmail.com
|
|
| Top |
|
 |
|
AdYRuicanescu
|
Inviato: 16/01/2023, 10:09 |
|
Iscritto il: 22/03/2010, 10:17 Messaggi: 1163 Località: Cluj-Napoca, Romania
Nome: Adrian Ruicanescu
|
Clickie ha scritto: Hi there, in my opinion it's very likely a male of Agrilus cuprescens
Bests The adedeagus of Agrilus cuprescens differs significantly. I also thought it is A. macroderus, but it should have the vertex prominant dorsal, over the pronotum, like all hyperici group.
_________________ Ciao  Adrian
|
|
| Top |
|
 |
|
Clickie
|
Inviato: 17/01/2023, 1:01 |
|
Iscritto il: 13/10/2010, 18:21 Messaggi: 1990
Nome: Andrea Liberto
|
|
Hi there, I just wrote "...most likely...".
A couple of things: the median lobe, "aka" penis, slides through the parameres, as you know.
Therefore, the "aedeagus" may look very different, following the sliding degree.
Moreover, this specimen's pronotal shape and outline doesn't fit so well with that of A. cuprescens, that's just a preliminary choice. Just a starting step.
In my opinion, there's an unsolved trouble involving A. cuprescens and A. calcicola, The latter synonimized with cuprescens.
Well, a short series of Agrilus of this group from Peloponnese in my collection are very much resembling the specimen here depicted, and I've named it (lacking better solutions) as "Agrilus calcicola cfr."
That's all folks, I stop here for the meanwhile. A.
|
|
| Top |
|
 |
|
AdYRuicanescu
|
Inviato: 17/01/2023, 11:36 |
|
Iscritto il: 22/03/2010, 10:17 Messaggi: 1163 Località: Cluj-Napoca, Romania
Nome: Adrian Ruicanescu
|
|
This is a good observation. Unfortunately I have not any specimen of A. calcicola to compare with.
_________________ Ciao  Adrian
|
|
| Top |
|
 |
|
Clickie
|
Inviato: 17/01/2023, 21:23 |
|
Iscritto il: 13/10/2010, 18:21 Messaggi: 1990
Nome: Andrea Liberto
|
|
Hi Adrian,
after poking around a little bit I've found that Schaefer, in his Faune de France (that was published in 1950, and not in 1949 as currently quoted), briefly named an "ab. obtusifera" referred to Agrilus aurichalceus Redt. from "Caucasus, Hungary, Greece, France" like this: Cotés du pronotum subrectilignes
Best regards, Clickie
|
|
| Top |
|
 |
|
AdYRuicanescu
|
Inviato: 26/01/2023, 14:31 |
|
Iscritto il: 22/03/2010, 10:17 Messaggi: 1163 Località: Cluj-Napoca, Romania
Nome: Adrian Ruicanescu
|
|
Here I have an image from Agrilus cuprescens, collected from just some tens of kilometers from the location Alexandru collected his specimen. I have serious doubts, of coexisting 2 subspecies in such a small geographic region. I don't have something to say about "aberrations". Needs a series of specimens. But in other regions where I collected A. cuprescens, I did not see "aberrations" with straight pronotum margins. Lot of old "aberrations" proved to be subspecies or even good species later. More specimens collected from the same area and the same host plant would make a better idea. I do not argue to what you mentioned above. I just want to clarify.
_________________ Ciao  Adrian
|
|
| Top |
|
 |
|
alexaandru
|
Inviato: 26/01/2023, 14:36 |
|
Iscritto il: 31/08/2010, 7:16 Messaggi: 3040 Località: Romania
Nome: Pintilioaie Alexandru Mihai
|
Guys, I can send the specimen if someone is interested to study it directly, just let me know 
_________________ alexandrupintilioaie(AT)gmail.com
|
|
| Top |
|
 |
|
Autarcontes
|
Inviato: 26/01/2023, 18:03 |
|
Iscritto il: 19/04/2012, 7:52 Messaggi: 1085
Nome: Gianfranco Curletti
|
alexaandru ha scritto: Guys, I can send the specimen if someone is interested to study it directly, just let me know  I am interested. Please, write to me with private message for the contact. gian
|
|
| Top |
|
 |
|
alexaandru
|
Inviato: 16/02/2023, 22:59 |
|
Iscritto il: 31/08/2010, 7:16 Messaggi: 3040 Località: Romania
Nome: Pintilioaie Alexandru Mihai
|
|
_________________ alexandrupintilioaie(AT)gmail.com
|
|
| Top |
|
 |
|