| Autore |
Messaggio |
|
Loriscola
|
Inviato: 08/06/2010, 20:26 |
|
Iscritto il: 05/02/2009, 17:25 Messaggi: 4894 Località: Zola Predosa (BO)
Nome: Loris Colacurcio
|
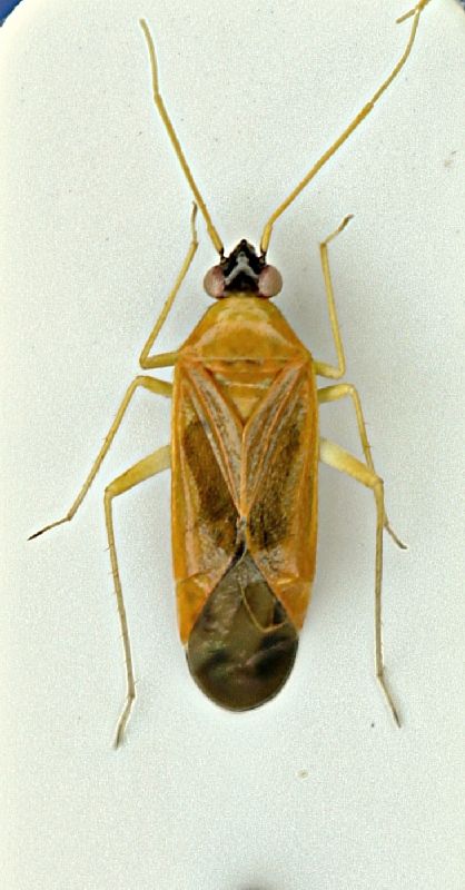
Questi eterotteri (lygaeidae ?) li ho trovati una decina di giorni fa sfalciando vigorosamente i rami più alti (sui due metri d'altezza), di alcune roverelle. Dire che sono fragili è un eufemismo....si sfaldavano appena li toccavi Sasso Marconi (BO) - Palazzo Rossi, maggio 2010 Lunghezza: circa 6 mm. o poco più.
_________________ Loris
|
|
| Top |
|
 |
|
Hemerobius
|
Inviato: 08/06/2010, 21:50 |
|
Iscritto il: 02/02/2009, 23:32 Messaggi: 5645 Località: da Ferrara ad Alghero
Nome: Roberto A. Pantaleoni
|
Tipico dei Miridi. Roberto 
_________________ verum stabile cetera fumus
|
|
| Top |
|
 |
|
eremicus
|
Inviato: 09/06/2010, 19:00 |
|
Iscritto il: 05/02/2009, 17:36 Messaggi: 780
Nome: Attilio Carapezza
|
|
Phylus (Phylus) melanocephalus (Linnaeus, 1767), miride ad ampia distribuzione europea legato al genere Quercus
|
|
| Top |
|
 |
|
Isotomus
|
Inviato: 10/06/2010, 9:17 |
|
Iscritto il: 05/09/2009, 7:56 Messaggi: 3445 Località: Cesena
Nome: Gianfranco Sama
|
Una questione - il nome generico Phylus Hahn, 1831 è omonimo del genere Philus Saunders, 1853 (Cerambycidae Vesperidae Philinae). Se non mi sbaglio, anche se diversi per una lettera ("y" invece di "i") i due nomi sono ritenuti essere identici (ICZN art. 58.2). Mi sbaglio ? Ovviamente dovrebbe essere Philus Saunders, 1853 a dover essere sostituito. Un bel casino. Quello che è strano è che Phylus Hahn, 1831 non è elencato nel Nomenclator Zoologicus (edizione online), ma è presente nel Nomenclator Zoologicus di Agassiz 
_________________ Gianfranco Sama
"Benedetto colui che ti aiuta a correggere i tuoi errori invece di scagliarteli contro" ___________________________________ Gershom Sholem
|
|
| Top |
|
 |
|
eremicus
|
Inviato: 10/06/2010, 21:26 |
|
Iscritto il: 05/02/2009, 17:36 Messaggi: 780
Nome: Attilio Carapezza
|
|
Ho riletto attentamente l'articolo del codice che citi e mi pare che l'omonimia dovuta alla equivalenza di i e y si applichi soltanto ai nomi delle specie e non a quelli dei generi . L'art. 58 che elenca questi casi è infatti intitolato "Variant spellings of species-group names deemed to be identical". Penso quindi che siamo salvi. Dal genere Phylus discende il nome della sottofamiglia quantitativamente più importante dei Miridae, appunto i Phylinae.
|
|
| Top |
|
 |
|
Isotomus
|
Inviato: 11/06/2010, 7:51 |
|
Iscritto il: 05/09/2009, 7:56 Messaggi: 3445 Località: Cesena
Nome: Gianfranco Sama
|
|
Credo proprio che questo caso si applichi a tutte le categorie (vedi l'articolo 52). Ad ogni modo il problema non tocca Phylus Hahn, ma Philus Saunders che è l'omonimo juniore. Aspettiamo però l'"esperto" Maurizio Pavesi che sarà perso, con l'auto in panne, in qualche landa desolata.
_________________ Gianfranco Sama
"Benedetto colui che ti aiuta a correggere i tuoi errori invece di scagliarteli contro" ___________________________________ Gershom Sholem
|
|
| Top |
|
 |
|
Loriscola
|
Inviato: 11/06/2010, 7:53 |
|
Iscritto il: 05/02/2009, 17:25 Messaggi: 4894 Località: Zola Predosa (BO)
Nome: Loris Colacurcio
|
...nel frattempo, intervengo solo per ringraziare, come sempre. 
_________________ Loris
|
|
| Top |
|
 |
|
Hemerobius
|
Inviato: 12/06/2010, 16:33 |
|
Iscritto il: 02/02/2009, 23:32 Messaggi: 5645 Località: da Ferrara ad Alghero
Nome: Roberto A. Pantaleoni
|
Isotomus ha scritto: Credo proprio che questo caso si applichi a tutte le categorie (vedi l'articolo 52). Ad ogni modo il problema non tocca Phylus Hahn, ma Philus Saunders che è l'omonimo juniore. Aspettiamo però l'"esperto" Maurizio Pavesi che sarà perso, con l'auto in panne, in qualche landa desolata. Intanto consiglio la lettura dell'art. 56.2  ! Ha ragione Attilio l'art. 58 è dedicato alle specie (come il 57), è il 56 quello dedicato ai generi. Ed appunto il 56.2 (e soprattutto l'esempio) sono chiarissimi: vedi QUI! Roberto 
_________________ verum stabile cetera fumus
|
|
| Top |
|
 |
|