Benvenuto Ospite

Forum Entomologi Italiani

www.entomologiitaliani.net/forum
 
Oggi è 25/10/2025, 2:22

Tutti gli orari sono UTC + 1 ora [ ora legale ]

Ripiphorus subdipterus Bosc d'Antic 1792 - Ripiphoridae

2.VIII.2009 - ITALIA - Sardegna - SS, Villanova Monteleone


nuovo argomento
rispondi
Vai alla pagina Precedente  1, 2
Pagina 2 di 2 [ 26 messaggi ]
Autore Messaggio
MessaggioInviato: 23/08/2009, 17:05 
Amministratore
Avatar utente

Iscritto il: 02/02/2009, 23:30
Messaggi: 7102
Località: Capaci (Pa)
Nome: Marcello Romano
Hemerobius ha scritto:
Ed io non ho trovato riferimenti bibliografici a specie parassitizzanti gli Ectobius.



da Grandi (1951) (pag. 793):

"Il Rhipidius denisi Chobaut 1919 [= Ripidius quadriceps Abeille de Perrin 1872 (fonte faunaeur.org) è supposto, da CHOBAUT (1919), vivere a spese dell' Ectobius lividus L. [= Ectobius pallidus (Olivier, 1789) fonte www.delattinia.de)]"

Il lavoro di Chobaut, 1919 cui fa riferimento il Grandi, senza riportare peraltro i riferimenti bibliografici, è:

Chobaut, A. 1919. Description des deux sexes, de l'oeuf et de la larve primaire d'un nouveau Rhipidius de Provence. Soc. Ent. de France Bul. (1919): 200-06. (presente qui su Biodiversity Heritage Library)

Cui fa seguito:

Chobaut, A. 1922. Note complementaire sur la larve primaire de Rhipidius denisi Chob. Bull. Soc. Ent. Fr. 1922. p. 47. (presente qui su Biodiversity Heritage Library)

_________________
:hi: Marcello Romano


Top
profilo
MessaggioInviato: 23/08/2009, 17:46 
Avatar utente

Iscritto il: 02/02/2009, 23:32
Messaggi: 5645
Località: da Ferrara ad Alghero
Nome: Roberto A. Pantaleoni
:D Colpito ed affondato!

Roberto :to:

_________________
verum stabile cetera fumus


Top
profilo
MessaggioInviato: 23/08/2009, 17:57 
Avatar utente

Iscritto il: 02/02/2009, 23:32
Messaggi: 5645
Località: da Ferrara ad Alghero
Nome: Roberto A. Pantaleoni
Ed ecco qui il Rhipidius quadriceps Abeille de Perrin 1872, cioè l'attuale Rhipidius denisi Chobaut 1919, raccolto dal mitico Prof. Giordani Soika, detto dai locali sparpajola (sparpaja = farfalla), nei suoi studi sull'aeroplancton, proprio nella stessa località ove io ho raccolto l'Ectobius (Lido di Volano FE).
Comincio ad avere paura di questo forum, quasi quasi determiniamo i ricordi :shock: :shock: :shock: !

Ciao Roberto :to:

_________________
verum stabile cetera fumus


Top
profilo
MessaggioInviato: 23/08/2009, 18:05 
Avatar utente

Iscritto il: 06/02/2009, 9:07
Messaggi: 1706
Località: W-Mediterraneo
Nome: Davide Badano
In effetti dall'articolo dove trovavo il nome mi sembrava ci fosse un pò di confusione nella data di descrizione!
Del 1909 è la descrizione, sempre da parte di Abeille de Perrin, di Ripidius boissyi anch'esso sinonimo di R.quadriceps (tra l'altro vedo che la grafia originale corretta del genere è senza la "h": Ripidius Thunberg 1806 )

Che confusione! :roll:


P.S. Hemerobius quello è l'articolo "incriminato"!!!


Top
profilo
MessaggioInviato: 23/08/2009, 20:17 
Amministratore
Avatar utente

Iscritto il: 02/02/2009, 23:30
Messaggi: 7102
Località: Capaci (Pa)
Nome: Marcello Romano
Aggiungo un bel disegno del Ripiphorus subdipterus presente su Grandi (1951) (ripreso da Gridelli)



Immagine

_________________
:hi: Marcello Romano


Top
profilo
MessaggioInviato: 06/09/2009, 22:08 
Avatar utente

Iscritto il: 05/02/2009, 17:25
Messaggi: 4894
Località: Zola Predosa (BO)
Nome: Loris Colacurcio
Spero nella determinazione....è uguale ad un altro che mi era già stato determinato :lol:

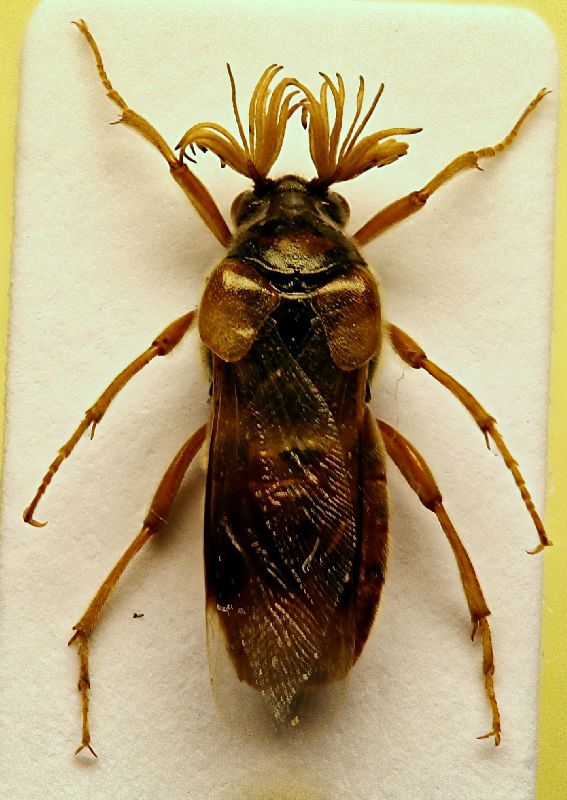
Trovato a Sasso Marconi (BO) loc. Palazzo Rossi il 04.IX.2009 ....morto stecchito su una ragnatela. Ancora in perfette condizioni, comunque :ok:
Molto particolari (e splendide) le strane antenne...

Rhipiphorus subditterus (P.zzo Rossi).jpg


Rhipiphorus subditterus  partic. (P.zzo Rossi).jpg



Loris

_________________
Loris


Top
profilo
MessaggioInviato: 07/09/2009, 7:22 
Avatar utente

Iscritto il: 04/02/2009, 17:49
Messaggi: 5509
Località: Cagliari
Nome: Daniele Sechi
:o

_________________
:hi:
Daniele


Top
profilo
MessaggioInviato: 07/09/2009, 14:46 
Avatar utente

Iscritto il: 05/02/2009, 17:31
Messaggi: 9527
Località: milano
Nome: maurizio pavesi
loris, che c**o... voglio dire, che colpo :to: !

_________________
*****************
Immagine maurizio


Top
profilo
MessaggioInviato: 07/09/2009, 14:58 
Avatar utente

Iscritto il: 05/02/2009, 17:25
Messaggi: 4894
Località: Zola Predosa (BO)
Nome: Loris Colacurcio
Non avevo alcun dubbio sulla tua "signorile" affermazione... :mrgreen:

Comunque concordo con il tuo "termine tecnico".... :hp:

Loris

_________________
Loris


Top
profilo
MessaggioInviato: 07/09/2009, 23:13 
Amministratore
Avatar utente

Iscritto il: 02/02/2009, 23:30
Messaggi: 7102
Località: Capaci (Pa)
Nome: Marcello Romano
Ho riunito l'ultima discussione sul Ripiphorus subdipterus alla precedente :)
L'accorpamento risulta spesso molto utile, come in questo caso, in quanto si può avere una documentazione veramente ampia su una specie, con diverse informazioni riunite in un unico post, che altrimenti resterebbero "disperse" in decine di contributi diversi.
Insomma, la mia idea è quella di un vero e proprio "dossier", col tempo sempre più ampio e interessante, per ciascuna specie ;)

_________________
:hi: Marcello Romano


Top
profilo
MessaggioInviato: 08/09/2009, 8:55 
Avatar utente

Iscritto il: 05/02/2009, 17:28
Messaggi: 3226
Nome: Marco Uliana
Che discussione interessante!
Ho sempre trovato i ripiforidi particolarmente affascinanti :o , anche (ma non solo, ovviamente) per la loro rarità... Me ne sono chiesto il motivo :roll: : uno sarebbe tentato di attribuirla al loro complesso ciclo vitale, ma ovviamente la cosa non funziona se si pensa a quanto possono essere abbondanti, nei posti giusti, i Meloidi. Da notare poi che una delle specie relativamente comuni, Macrosiagon tricuspidatum è parassita di Eumenidi, a loro volta cacciatori specializzati, per cui sta piuttosto in alto nella catena alimentare. Paradossalmente, specie che dipendono da bestiole saprofago-polifaghe come le blatte possono essere rarissime.

C'è anche da dire che la rarità sembra non essere "apparente", dato che gli adulti sono floricoli e quindi facilmente visibili quando presenti.

Curioso è anche il fatto che per alcune specie sia molto più facile trovare le femmine che i maschi, come succede nei suddetti Macrosiagon (posso confermarlo anche per osservazioni personali: credo di aver visto, negli anni, forse una trentina di femmine ma un solo maschio - l'unico esemplare che non stava su fiori ma sull'erba). Il rapporto sessi è davvero sbilanciato (a partire dalle larve) oppure i maschi hanno vita brevissima, o magari è pieno ma non si alimentano sui fiori?
Che ne pensate?

Da ultimo, un'unica femmina, per quanto ne so (qualcuno può confermare o smentire?) è tutto ciò che si conosce di Rhizostylops inquirendus, genere e specie descritti da Silvestri per l'umbria.


Top
profilo
Visualizza ultimi messaggi:  Ordina per  
nuovo argomento
rispondi
Vai alla pagina Precedente  1, 2
Pagina 2 di 2 [ 26 messaggi ]

Tutti gli orari sono UTC + 1 ora [ ora legale ]


Chi c’è in linea

Visitano il forum: Nessuno e 0 ospiti


Non puoi aprire nuovi argomenti
Non puoi rispondere negli argomenti
Non puoi modificare i tuoi messaggi
Non puoi cancellare i tuoi messaggi
Non puoi inviare allegati

Cerca per:
Vai a: