Benvenuto Ospite

Forum Entomologi Italiani

www.entomologiitaliani.net/forum
 
Oggi è 08/11/2025, 15:10

Tutti gli orari sono UTC + 1 ora [ ora legale ]

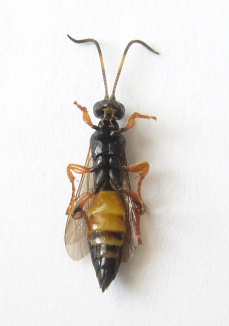
Ichneumon sarcitorius Linnaeus,1758 - Ichneumonidae, Ichneumoninae

13.II.2011 - ROMANIA - EE, Romania: Moldavia: Bacau county: Comanesti


nuovo argomento
rispondi
Pagina 1 di 1 [ 5 messaggi ]
Autore Messaggio
MessaggioInviato: 26/02/2011, 9:07 
Avatar utente

Iscritto il: 31/08/2010, 7:16
Messaggi: 3040
Località: Romania
Nome: Pintilioaie Alexandru Mihai
I found this specimen under a piece of wood.
lenght without antennae : ~ 11 mm.


3.jpg

2.jpg

1.jpg


_________________
alexandrupintilioaie(AT)gmail.com
Top
profilo
 Oggetto del messaggio: Re: ichneumonidae - Romania
MessaggioInviato: 26/02/2011, 13:49 
Avatar utente

Iscritto il: 06/02/2009, 9:02
Messaggi: 1429
Località: Verona - Roma - Foggia e sporadicamente Padova
Nome: Filippo Di Giovanni
I think a female of Ichneumon sarcitorius, a widely spread species of Icneumoninae. If you want a confirm we can ask in Hymis forum, or, you can find a figure in Fauna Republicii Populare Romine 9 (1959) of Costantineanu.

Filippo :hi:

_________________
"Non posso separare il piacere estetico che provo nel vedere una farfalla dal piacere scientifico di sapere che cosa è" (V.Nabokov)


Top
profilo
 Oggetto del messaggio: Re: ichneumonidae - Romania
MessaggioInviato: 26/02/2011, 13:52 
Avatar utente

Iscritto il: 31/08/2010, 7:16
Messaggi: 3040
Località: Romania
Nome: Pintilioaie Alexandru Mihai
Thanks for your help, please ask on Hymis forum because I don't have the book :(

P.S. You want to keep this specimen for you ?

_________________
alexandrupintilioaie(AT)gmail.com


Top
profilo
 Oggetto del messaggio: Re: ichneumonidae - Romania
MessaggioInviato: 26/02/2011, 21:08 
Avatar utente

Iscritto il: 06/02/2009, 9:02
Messaggi: 1429
Località: Verona - Roma - Foggia e sporadicamente Padova
Nome: Filippo Di Giovanni
ok, C.Thirion confirmed the id.

alexaandru ha scritto:
P.S. You want to keep this specimen for you ?


No problem. As you wish :D :D

_________________
"Non posso separare il piacere estetico che provo nel vedere una farfalla dal piacere scientifico di sapere che cosa è" (V.Nabokov)


Top
profilo
MessaggioInviato: 27/02/2011, 9:20 
Avatar utente

Iscritto il: 31/08/2010, 7:16
Messaggi: 3040
Località: Romania
Nome: Pintilioaie Alexandru Mihai
OK, It's yours ;)

_________________
alexandrupintilioaie(AT)gmail.com


Top
profilo
Visualizza ultimi messaggi:  Ordina per  
nuovo argomento
rispondi
Pagina 1 di 1 [ 5 messaggi ]

Tutti gli orari sono UTC + 1 ora [ ora legale ]


Chi c’è in linea

Visitano il forum: Nessuno e 0 ospiti


Non puoi aprire nuovi argomenti
Non puoi rispondere negli argomenti
Non puoi modificare i tuoi messaggi
Non puoi cancellare i tuoi messaggi
Non puoi inviare allegati

Cerca per:
Vai a: