Benvenuto Ospite

Forum Entomologi Italiani

www.entomologiitaliani.net/forum
 
Oggi è 09/10/2025, 14:23

Tutti gli orari sono UTC + 1 ora [ ora legale ]

Paussidae

14.XII.2008 - ZAMBIA - EE, Zambia, Western Province: 18 km W Kaoma, 1167m, 7/14.XII.2008


nuovo argomento
rispondi
Pagina 1 di 1 [ 5 messaggi ]
Autore Messaggio
 Oggetto del messaggio: Paussidae
MessaggioInviato: 18/03/2011, 20:56 
Avatar utente

Iscritto il: 05/09/2009, 7:56
Messaggi: 3445
Località: Cesena
Nome: Gianfranco Sama
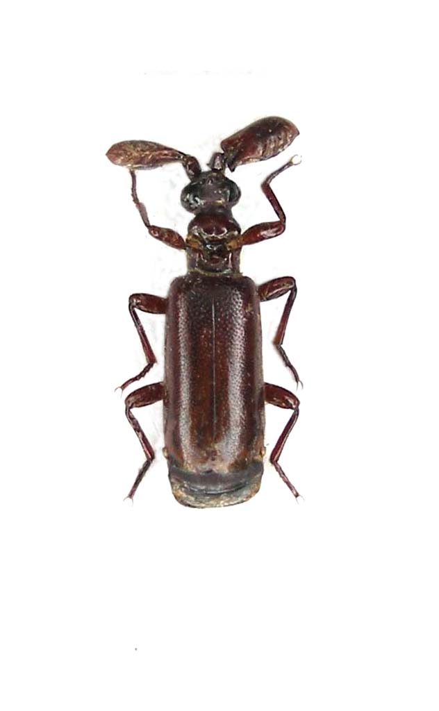
In una caccia notturna che si rispetti, questi "orecchioni" non possono mancare :mrgreen:
Ma a dir che specie sia è cosa dura :gh:

Zambia, Western province: 18 km W Kaoma, 1167m, 9.XII.200 - alla luce
Lunghezza 9mm comprese le "orecchie"
Paussidae Zambia - Kaoma 017.jpg


_________________
Gianfranco Sama

"Benedetto colui che ti aiuta a correggere i tuoi errori invece di scagliarteli contro"
___________________________________
Gershom Sholem


Top
profilo
 Oggetto del messaggio: Re: Paussidae
MessaggioInviato: 18/03/2011, 21:06 
Avatar utente

Iscritto il: 09/11/2009, 14:12
Messaggi: 5144
Località: Hradec Kralove,Czech republik
Nome: Jan Matějíček
http://www.carabidae.ru/foto/thumbnails.php?album=56

_________________
Research Fields
Taxonomy, ecology, biomonitoring , faunistic of Staphylinidae


Top
profilo
 Oggetto del messaggio: Re: Paussidae
MessaggioInviato: 18/03/2011, 21:14 
Avatar utente

Iscritto il: 11/11/2009, 20:54
Messaggi: 4850
Località: Pesaro
Nome: Marco Paglialunga
Isotomus ha scritto:
In una caccia notturna che si rispetti, questi "orecchioni" ....


Attento Gianfranco così li stai discriminando!!!, si dice "diversamente udenti" :lol: :lol:
Bellissimi, non li avevo mai visti dal vivo :sma:

_________________
O voi ch'avete li 'ntelletti sani, mirate la dottrina che s'asconde sotto 'l velame de li versi strani
(InfeRRno - canto IX - vv. 61-63)


Top
profilo
 Oggetto del messaggio: Re: Paussidae
MessaggioInviato: 18/03/2011, 21:32 
 

Iscritto il: 09/02/2010, 12:50
Messaggi: 212
Nome: Davide Cillo
ciao, sembrerebbe Paussus (spinicoxipaussus) sp.


Top
profilo
 Oggetto del messaggio: Re: Paussidae
MessaggioInviato: 19/03/2011, 10:16 
Avatar utente

Iscritto il: 05/09/2009, 7:56
Messaggi: 3445
Località: Cesena
Nome: Gianfranco Sama
Grazie a tutti, ma per adesso lo lascerei come Paussus sp. :ok:

_________________
Gianfranco Sama

"Benedetto colui che ti aiuta a correggere i tuoi errori invece di scagliarteli contro"
___________________________________
Gershom Sholem


Top
profilo
Visualizza ultimi messaggi:  Ordina per  
nuovo argomento
rispondi
Pagina 1 di 1 [ 5 messaggi ]

Tutti gli orari sono UTC + 1 ora [ ora legale ]


Chi c’è in linea

Visitano il forum: Nessuno e 0 ospiti


Non puoi aprire nuovi argomenti
Non puoi rispondere negli argomenti
Non puoi modificare i tuoi messaggi
Non puoi cancellare i tuoi messaggi
Non puoi inviare allegati

Cerca per:
Vai a: