Benvenuto Ospite

Forum Entomologi Italiani

www.entomologiitaliani.net/forum
 
Oggi è 25/10/2025, 22:20

Tutti gli orari sono UTC + 1 ora [ ora legale ]

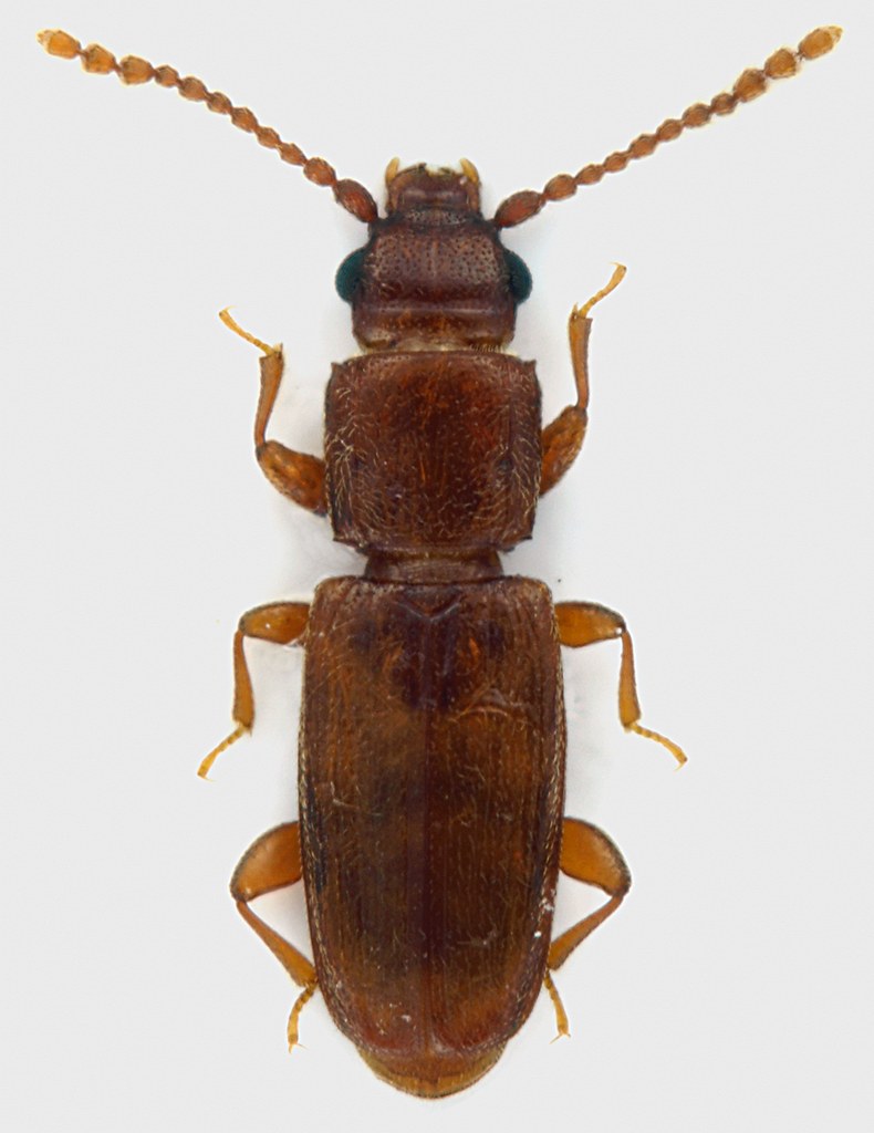
Placonotus testaceus (Fabricius, 1787) - Laemophloeidae

8.III.2011 - ITALIA - Lazio - RM, Roma, San Vittorino


nuovo argomento
rispondi
Pagina 1 di 1 [ 4 messaggi ]
Autore Messaggio
MessaggioInviato: 19/03/2011, 0:32 
Avatar utente

Iscritto il: 30/12/2009, 22:20
Messaggi: 31564
Località: Roma
Nome: Maurizio Gigli
Sembrerebbe essere un Placonotus testaceus, confrontandolo con altre foto del Forum, ma non ne sono del tutto sicuro.

Lazio, Roma, San Vittorino, 8.III.2011, sotto corteccia di pioppo morto e caduto, M. Gigli legit

2,2 mm

San_Vittorino_8_III_2011_2,2mm.jpg



Metto anche una foto della testa, per evidenziare il solco trasversale sulla parte posteriore del capo, che dovrebbe essere diagnostico, almeno a livello generico, e che nelle altre foto sul Forum non si vede per la posizione incassata della testa (o perchè non c'è?).

part_testa_San_Vittorino_8_III_2011.jpg


_________________
Maurizio Gigli
http://utenti.romascuola.net/bups
http://bup.xoom.it/


Top
profilo
 Oggetto del messaggio: Re: Placonotus testaceus? - Lazio
MessaggioInviato: 19/03/2011, 5:38 
Avatar utente

Iscritto il: 17/02/2009, 0:05
Messaggi: 8521
Località: Isola d'Elba - Arcipelago Toscano
Nome: Leonardo Forbicioni
Per quel che vale, anche secono me si tratta di P.testaceus, e viste le dimensioni e le antenne direi che dovrebbe essere anche una "Lei".

_________________
"Stay hungry, stay foolish".
Steve Jobs, 2005
___________________
jjuniper8(at)gmail.com
Twitter: @weevil_forbix
cell. 339/5275910
___________________


Top
profilo
 Oggetto del messaggio: Re: Placonotus testaceus? - Lazio
MessaggioInviato: 22/03/2011, 0:09 
 

Iscritto il: 21/09/2009, 9:34
Messaggi: 1535
Località: Padova
Nome: Gianfranco Salvato
In ritardo (causa vacanze) confermo specie e sesso.
Confermo anche l'altro (Silvanus unidentatus).
Ciao
Gianfranco


Top
profilo
 Oggetto del messaggio: Re: Placonotus testaceus? - Lazio
MessaggioInviato: 22/03/2011, 0:25 
Avatar utente

Iscritto il: 30/12/2009, 22:20
Messaggi: 31564
Località: Roma
Nome: Maurizio Gigli
Grazie :hi:

_________________
Maurizio Gigli
http://utenti.romascuola.net/bups
http://bup.xoom.it/


Top
profilo
Visualizza ultimi messaggi:  Ordina per  
nuovo argomento
rispondi
Pagina 1 di 1 [ 4 messaggi ]

Tutti gli orari sono UTC + 1 ora [ ora legale ]


Chi c’è in linea

Visitano il forum: Nessuno e 0 ospiti


Non puoi aprire nuovi argomenti
Non puoi rispondere negli argomenti
Non puoi modificare i tuoi messaggi
Non puoi cancellare i tuoi messaggi
Non puoi inviare allegati

Cerca per:
Vai a: