Benvenuto Ospite

Forum Entomologi Italiani

www.entomologiitaliani.net/forum
 
Oggi è 05/11/2025, 12:42

Tutti gli orari sono UTC + 1 ora [ ora legale ]

Lygaeosoma sardeum Spinola, 1837 - Lygaeidae



nuovo argomento
rispondi
Pagina 1 di 1 [ 3 messaggi ]
Autore Messaggio
MessaggioInviato: 24/09/2009, 21:55 
Avatar utente

Iscritto il: 05/02/2009, 17:25
Messaggi: 4894
Località: Zola Predosa (BO)
Nome: Loris Colacurcio
Il folto gruppo di Entomodena non si è mai riposato !! :ok:

Anche stremato ed affamato non ha certo dimenticato i suoi interessi e nell'infinita attesa di un meritata pizza :birra: , ha speso alcuni momenti in una mini-spedizione entomologica. :p

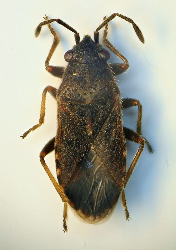
Così, sulla schiena di uno di noi (non ricordo più di chi), abbiamo potuto raccogliere questo superbo esemplare di Heterottero....cosa sarà ?? :?

Di certo avrà uno dei legit. più lunghi nella storia dell'entomologia. :hp:

Campogalliano (MO) nei prezzi della pizzeria...Tropicana ?? 19.IX.2009

Heterottero Entomodena.JPG


_________________
Loris


Top
profilo
 Oggetto del messaggio: Re: Doverosamente da determinare
MessaggioInviato: 25/09/2009, 7:49 
Amministratore
Avatar utente

Iscritto il: 02/02/2009, 23:30
Messaggi: 7102
Località: Capaci (Pa)
Nome: Marcello Romano
[quote="Loriscola"]Campogalliano (MO) nei prezzi della pizzeria...Tropicana ?? 19.IX.2009

...raccolto mentre andava a spasso, in compagnia di un Apion sp., sulla camicia bianca di Rinaldo Nicoli Aldini ;)

_________________
:hi: Marcello Romano


Top
profilo
MessaggioInviato: 25/09/2009, 18:42 
Avatar utente

Iscritto il: 05/02/2009, 17:36
Messaggi: 780
Nome: Attilio Carapezza
Con questa determinazione mi unisco idealmente al gruppo presente ad Entomodena: Lygaeosoma sardeum Spinola, 1837, ligeide xerico a distribuzione turanico-euromediterranea.


Top
profilo
Visualizza ultimi messaggi:  Ordina per  
nuovo argomento
rispondi
Pagina 1 di 1 [ 3 messaggi ]

Tutti gli orari sono UTC + 1 ora [ ora legale ]


Chi c’è in linea

Visitano il forum: Nessuno e 1 ospite


Non puoi aprire nuovi argomenti
Non puoi rispondere negli argomenti
Non puoi modificare i tuoi messaggi
Non puoi cancellare i tuoi messaggi
Non puoi inviare allegati

Cerca per:
Vai a:  
cron