Benvenuto Ospite

Forum Entomologi Italiani

www.entomologiitaliani.net/forum
 
Oggi è 06/11/2025, 3:27

Tutti gli orari sono UTC + 1 ora [ ora legale ]

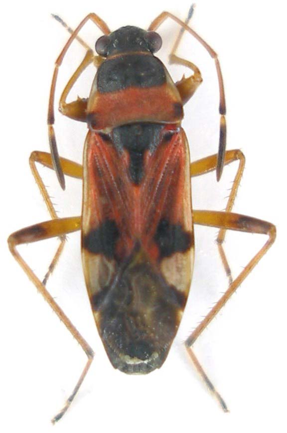
Beosus quadripunctatus (Muller, 1766) - Lygaeidae

10.V.2011 - TURCHIA - EE, Passo Nord Pülümür (Tunceli) 1800 m


nuovo argomento
rispondi
Pagina 1 di 1 [ 11 messaggi ]
Autore Messaggio
MessaggioInviato: 27/07/2011, 12:24 
Avatar utente

Iscritto il: 05/09/2009, 7:56
Messaggi: 3445
Località: Cesena
Nome: Gianfranco Sama
Hemiptera - da determinare

Turchia orientale: Passo Nord Pülümür, 1800m, 10.V.2011
Hemiptera_Nord Pulumur Turchia 2011_preparati 040.jpg


_________________
Gianfranco Sama

"Benedetto colui che ti aiuta a correggere i tuoi errori invece di scagliarteli contro"
___________________________________
Gershom Sholem


Top
profilo
MessaggioInviato: 27/07/2011, 12:33 
Avatar utente

Iscritto il: 17/02/2009, 0:05
Messaggi: 8521
Località: Isola d'Elba - Arcipelago Toscano
Nome: Leonardo Forbicioni
Simile a Beosus quadripunctatus (Muller, 1766) - Lygaeidae.....ma con le bestie Turche non mi ci gioco neanche 1 Euro!!!! :lol: :lol: :lol: :lol:

_________________
"Stay hungry, stay foolish".
Steve Jobs, 2005
___________________
jjuniper8(at)gmail.com
Twitter: @weevil_forbix
cell. 339/5275910
___________________


Top
profilo
MessaggioInviato: 27/07/2011, 15:50 
Avatar utente

Iscritto il: 05/09/2009, 7:56
Messaggi: 3445
Località: Cesena
Nome: Gianfranco Sama
Grazie Leonardo, mi sembra però molto diverso, almeno da quello che vedo in rete :ok:
aspettiamo se passa Heremicus :no1:

_________________
Gianfranco Sama

"Benedetto colui che ti aiuta a correggere i tuoi errori invece di scagliarteli contro"
___________________________________
Gershom Sholem


Top
profilo
MessaggioInviato: 27/07/2011, 16:18 
Avatar utente

Iscritto il: 17/02/2009, 0:05
Messaggi: 8521
Località: Isola d'Elba - Arcipelago Toscano
Nome: Leonardo Forbicioni
Certo che aspettiamo Attilio!! Ovvio! ;) ;) ;) ;)
Ma questo è un Beosus quadripunctatus al 95%........mi voglio sbilanciare anche con la percentuale. :oooner: :oooner: :oooner: :oooner:
Anche perchè in Europa sono presenti solo due specie per quanto riguarda questo genere (sempre che sia quello giusto):
Beosus maritimus (Scopoli, 1763)
Beosus quadripunctatus (Muller, 1766)
....il che riduce le opzioni ed aumenta le priobabilità che sia lui!! ;) ;)
Prova a confrontarlo con Questo esemplare del "solito" Paglialunga!! :lov2: :lov2: :lov2: :lov2:

_________________
"Stay hungry, stay foolish".
Steve Jobs, 2005
___________________
jjuniper8(at)gmail.com
Twitter: @weevil_forbix
cell. 339/5275910
___________________


Top
profilo
MessaggioInviato: 27/07/2011, 17:27 
Avatar utente

Iscritto il: 05/09/2009, 7:56
Messaggi: 3445
Località: Cesena
Nome: Gianfranco Sama
FORBIX ha scritto:
Certo che aspettiamo Attilio!! Ovvio! ;) ;) ;) ;)
Ma questo è un Beosus quadripunctatus al 95%........mi voglio sbilanciare anche con la percentuale. :oooner: :oooner: :oooner: :oooner:
Anche perchè in Europa sono presenti solo due specie per quanto riguarda questo genere (sempre che sia quello giusto):
Beosus maritimus (Scopoli, 1763)
Beosus quadripunctatus (Muller, 1766)
....il che riduce le opzioni ed aumenta le priobabilità che sia lui!! ;) ;)
Prova a confrontarlo con Questo esemplare del "solito" Paglialunga!! :lov2: :lov2: :lov2: :lov2:


Tieni presente che qui non siamo in Europa,.ma nella Turchia centro orientale :no1:

_________________
Gianfranco Sama

"Benedetto colui che ti aiuta a correggere i tuoi errori invece di scagliarteli contro"
___________________________________
Gershom Sholem


Top
profilo
MessaggioInviato: 27/07/2011, 17:37 
Avatar utente

Iscritto il: 17/02/2009, 0:05
Messaggi: 8521
Località: Isola d'Elba - Arcipelago Toscano
Nome: Leonardo Forbicioni
Isotomus ha scritto:
Tieni presente che qui non siamo in Europa,.ma nella Turchia centro orientale :no1:

:ses :ses :ses :ses :ses :ses :ses
:xyz :xyz

_________________
"Stay hungry, stay foolish".
Steve Jobs, 2005
___________________
jjuniper8(at)gmail.com
Twitter: @weevil_forbix
cell. 339/5275910
___________________


Top
profilo
MessaggioInviato: 27/07/2011, 18:20 
Avatar utente

Iscritto il: 05/09/2009, 7:56
Messaggi: 3445
Località: Cesena
Nome: Gianfranco Sama
:mrgreen: :lov2:

_________________
Gianfranco Sama

"Benedetto colui che ti aiuta a correggere i tuoi errori invece di scagliarteli contro"
___________________________________
Gershom Sholem


Top
profilo
MessaggioInviato: 28/07/2011, 0:15 
Avatar utente

Iscritto il: 05/02/2009, 17:36
Messaggi: 780
Nome: Attilio Carapezza
Confermo la correttezza della determinazione: Beosus quadripunctatus (Müller, 1766). Una certa variabilità può a volte trarre in inganno.


Top
profilo
MessaggioInviato: 28/07/2011, 0:22 
Avatar utente

Iscritto il: 17/02/2009, 0:05
Messaggi: 8521
Località: Isola d'Elba - Arcipelago Toscano
Nome: Leonardo Forbicioni
:mrgreen: :mrgreen: :mrgreen: :lov1:

_________________
"Stay hungry, stay foolish".
Steve Jobs, 2005
___________________
jjuniper8(at)gmail.com
Twitter: @weevil_forbix
cell. 339/5275910
___________________


Top
profilo
MessaggioInviato: 28/07/2011, 8:25 
Avatar utente

Iscritto il: 05/09/2009, 7:56
Messaggi: 3445
Località: Cesena
Nome: Gianfranco Sama
Perdona Signore se ho dubitato :evil:
:birra:

_________________
Gianfranco Sama

"Benedetto colui che ti aiuta a correggere i tuoi errori invece di scagliarteli contro"
___________________________________
Gershom Sholem


Top
profilo
MessaggioInviato: 28/07/2011, 8:52 
Avatar utente

Iscritto il: 11/11/2009, 20:54
Messaggi: 4850
Località: Pesaro
Nome: Marco Paglialunga
PERDONATO :lol: :lol: :lol: :lol:
:lov1:

_________________
O voi ch'avete li 'ntelletti sani, mirate la dottrina che s'asconde sotto 'l velame de li versi strani
(InfeRRno - canto IX - vv. 61-63)


Top
profilo
Visualizza ultimi messaggi:  Ordina per  
nuovo argomento
rispondi
Pagina 1 di 1 [ 11 messaggi ]

Tutti gli orari sono UTC + 1 ora [ ora legale ]


Chi c’è in linea

Visitano il forum: Nessuno e 0 ospiti


Non puoi aprire nuovi argomenti
Non puoi rispondere negli argomenti
Non puoi modificare i tuoi messaggi
Non puoi cancellare i tuoi messaggi
Non puoi inviare allegati

Cerca per:
Vai a: