| Autore |
Messaggio |
|
Orotrechus
|
Inviato: 11/11/2011, 21:49 |
|
Iscritto il: 01/11/2010, 21:21 Messaggi: 2106 Località: Brescia
Nome: Mario Grottolo
|
Prima però voglio vedervi calare nei vari pozzi  e superare i vari laminatoi  e ovviamente dopo due giorni risalire.  Mario
|
|
| Top |
|
 |
|
magosti
|
Inviato: 11/11/2011, 22:33 |
|
Iscritto il: 08/11/2010, 12:40 Messaggi: 1722 Località: Brescia
Nome: Mauro Agosti
|
|
| Top |
|
 |
|
Tc70
|
Inviato: 12/11/2011, 2:01 |
|
Iscritto il: 09/11/2010, 19:52 Messaggi: 4518 Località: Brescia
Nome: Luca Bodei
|
magosti ha scritto: Sempre che abbia la chiave..... 
_________________ Tc70
|
|
| Top |
|
 |
|
Herzog
|
Inviato: 12/11/2011, 10:31 |
|
Iscritto il: 27/02/2009, 19:34 Messaggi: 857 Località: Belluno
Nome: Enzo GATTI
|
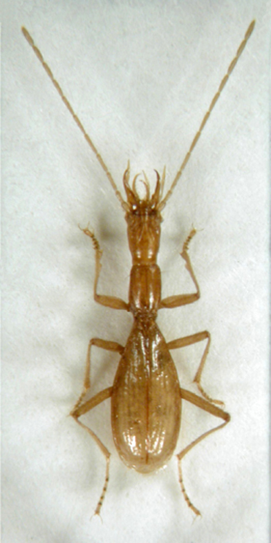
Tc70 scrive: Ora mancan foto dei suoi fratelli...L.pivai anche lui in zona Lessinia e L.glacialis Per il glacialis non posso fare niente, ma per il pivai eccovi la sua foto inviatami dallo stesso Erminio Piva, biospeleo a cui è stata dedicata la specie. Purtroppo non posseggo i dati (luogo, data, raccoglitore) relativi a questo esemplare. Splendido endogeo :hp: 
|
|
| Top |
|
 |
|
vittorino monzini
|
Inviato: 12/11/2011, 11:19 |
|
Iscritto il: 30/07/2010, 8:40 Messaggi: 596
Nome: vittorino.monzini
|
Non c'è che dire!! sono l'uno più incredibile dell'altro. Possiamo proprio dire, senza tema di smentita, che abbiamo una fauna entomologica fra le più ricche e interessanti al mondo 
|
|
| Top |
|
 |
|
Maurizio Bollino
|
Inviato: 12/11/2011, 12:33 |
|
Iscritto il: 25/11/2009, 9:31 Messaggi: 8157 Località: Lecce
Nome: Maurizio Bollino
|
vittorino monzini ha scritto: Non c'è che dire!! sono l'uno più incredibile dell'altro. Possiamo proprio dire, senza tema di smentita, che abbiamo una fauna entomologica fra le più ricche e interessanti al mondo  Beh, tra le più interessanti, forse, ma tra le più ricche ..... permettimi di dissentire.
_________________ Maurizio Bollino
|
|
| Top |
|
 |
|
Orotrechus
|
Inviato: 12/11/2011, 12:49 |
|
Iscritto il: 01/11/2010, 21:21 Messaggi: 2106 Località: Brescia
Nome: Mario Grottolo
|
La località dovrebbe essere: Monti Lessini, Grotta dell’Arena 476 V/VR (ora chiusa), è il locus classicus, dove anch'io l'ho trovato. In ordine di rarià di ritrovamenti: Lessinodytes glacialis: un solo esemplare conosciuto Lessinodytes caoduroi: circa 7 esemplari conosciuti Lessinodytes pivai: più di 10 esemplari conosciuti  Mario
|
|
| Top |
|
 |
|
Tc70
|
Inviato: 12/11/2011, 13:48 |
|
Iscritto il: 09/11/2010, 19:52 Messaggi: 4518 Località: Brescia
Nome: Luca Bodei
|
L'unica immagine attutalmente conosciuta del Lessinodytes glacialis è questo bel disegno dell'amico collega Dante Vailati,che spero non se la prenderà se la posto,cosi almeno abbiamo per il momento le immagini di tutti e 3,per la foto credo che bisognerà aspettare non poco,visto l'estrema difficoltà del luogo di ritrovamento e l'estremissima rarità della specie... 
_________________ Tc70
|
|
| Top |
|
 |
|
hypotyphlus
|
Inviato: 12/11/2011, 13:57 |
|
Iscritto il: 10/05/2010, 22:31 Messaggi: 4371 Località: Gavorrano (GR)
Nome: marco bastianini
|
vittorino monzini ha scritto: abbiamo una fauna entomologica fra le più ricche e interessanti al mondo Maurizio Bollino ha scritto: Beh, tra le più interessanti, forse, ma tra le più ricche ..... permettimi di dissentire.
Immagino che Vittorino si riferisse alla nostra fauna sotterranea ed in quel caso probabilmente non ha tutti i torti.
_________________ Marco"Le foreste a precedere le civiltà, i deserti a seguire."François-René de Chateaubriand
|
|
| Top |
|
 |
|
vittorino monzini
|
Inviato: 14/11/2011, 16:46 |
|
Iscritto il: 30/07/2010, 8:40 Messaggi: 596
Nome: vittorino.monzini
|
|
a proposito di Lessinodytes glacialis, l'Omber en banda ha colpito ancora, non so se avete sentito il notiziario: una speleologa è bloccata da due giorni in fondo alla grotta con una gamba rotta, sta cercando di tirarla fuori il soccorso speleologico
|
|
| Top |
|
 |
|
Loriscola
|
Inviato: 14/11/2011, 16:55 |
|
Iscritto il: 05/02/2009, 17:25 Messaggi: 4894 Località: Zola Predosa (BO)
Nome: Loris Colacurcio
|
...e sembra una triste coincidenza, nello stesso momento o quasi, uno speleologo bolognese è rimasto bloccato in una grotta delle Apuane, con gamba ed anca rotta  . Se ho ben capito, in questo secondo caso, l'infortunato è già stato tratto in salvo. 
_________________ Loris
|
|
| Top |
|
 |
|
Orotrechus
|
Inviato: 14/11/2011, 19:21 |
|
Iscritto il: 01/11/2010, 21:21 Messaggi: 2106 Località: Brescia
Nome: Mario Grottolo
|
|
E' il terzo caso di frattura che si verifica all' "Omber en banda al Bus del zel", e da parte di persone esperte. E qualcuno in questa discussione voleva farci un salto! Per fortuna la grotta è chiusa dopo i primi due pozzi. Mario
|
|
| Top |
|
 |
|
Tc70
|
Inviato: 14/11/2011, 21:39 |
|
Iscritto il: 09/11/2010, 19:52 Messaggi: 4518 Località: Brescia
Nome: Luca Bodei
|
Io che ci sono stato posso confermare che è dura come grotta,e bisogna essere molto preparati per affrontare la via del fondo,cosa che personalmente ho evitato seguendo il consiglio dei miei ex istruttori,la ragazza in questione ha da poco finito il corso di speleologia quindi discretamente preparata,è stata proprio una sfortuna è scivolata e si è rotta tibia e perone,diverso invece il caso del 2010,anche lui un corsista durante una risalita di un pozzo gli si ruppe la corda e fece un volo di qualche metro fratturandosi....del primo incidente non so dire nulla... Le grotte di qualunque entità esse siano è meglio affrontarle con buona preparazione psico/fisica e sopratutto mai in solitaria,perchè anche se non ci sono pozzi, meandri ecc. potrebbe esserci per esempio un crollo che potrebbe risultare fatale,quindi se qualcuno avesse la possibilità di poter uscire ad avvisare i soccorsi sarebbe una cosa da coscienziosi e per ultimo avvisare sempre dove si stà per andare... Con questo non tendo a demoralizzare nessun giovane con in mente buoni propositi (e qui nel forum pare che ci siano...),dico solo di stare sempre e molto attenti,là sotto se si sbaglia bene che vada ci si fa inevitabilmente male se non peggio.... 
_________________ Tc70
|
|
| Top |
|
 |
|
gomphus
|
Inviato: 14/11/2011, 22:51 |
|
Iscritto il: 05/02/2009, 17:31 Messaggi: 9527 Località: milano
Nome: maurizio pavesi
|
Orotrechus ha scritto: E' il terzo caso di frattura che si verifica all' "Omber en banda al Bus del zel", e da parte di persone esperte. E qualcuno in questa discussione voleva farci un salto!... guarda che il qualcuno  ... o meglio i qualcuni  in questione non sono mica matti! cioè... magari un tantino sì... ma non fino a quel punto  !
_________________ ***************** maurizio
|
|
| Top |
|
 |
|
hypotyphlus
|
Inviato: 14/11/2011, 23:08 |
|
Iscritto il: 10/05/2010, 22:31 Messaggi: 4371 Località: Gavorrano (GR)
Nome: marco bastianini
|
_________________ Marco"Le foreste a precedere le civiltà, i deserti a seguire."François-René de Chateaubriand
|
|
| Top |
|
 |
|