Benvenuto Ospite

Forum Entomologi Italiani

www.entomologiitaliani.net/forum
 
Oggi è 27/10/2025, 7:09

Tutti gli orari sono UTC + 1 ora [ ora legale ]

Anthracus longicornis (Schaum, 1857) Dettagli della specie

9.XII.2011 - ITALIA - Emilia-Romagna - BO, Monteveglio - Ziribega


nuovo argomento
rispondi
Pagina 1 di 1 [ 12 messaggi ]
Autore Messaggio
MessaggioInviato: 10/12/2011, 23:24 
Avatar utente

Iscritto il: 05/02/2009, 17:25
Messaggi: 4894
Località: Zola Predosa (BO)
Nome: Loris Colacurcio
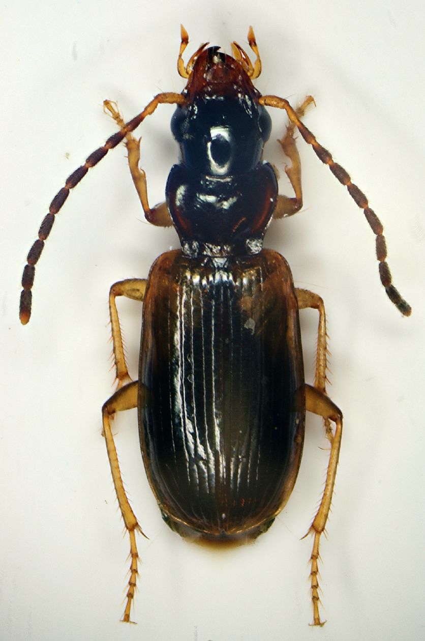
Raccolto proprio ieri a Monteveglio, zona di laghetti e maceri abbandonati e ritrasformati in zona paludosa selvaggia. Un esemplare era sotto una pietra interrata su una collinetta in mezzo ad un laghetto asciutto, mentre un altro esemplare l'ho raccolto al vaglio scavando profondamente ai piedi di un vecchio salice cresciuto sul bordo di un altro specchio d'acqua.

L'aspetto mi ha colpito, a metà strada tra un Dromius ed uno Stomis...almeno per un profano come me :oops:
Le macchie rossastre in alto, ai lati delle elitre, sono più evidenti di quello che mostra la foto :?

Lunghezza: siamo sui 4 mm. scarsi.

aaa Carabide Sasso.JPG


_________________
Loris


Top
profilo
 Oggetto del messaggio: Re: Carabide da vaglio - Carabidae
MessaggioInviato: 10/12/2011, 23:30 
Avatar utente

Iscritto il: 05/02/2009, 17:31
Messaggi: 9527
Località: milano
Nome: maurizio pavesi
ciao loris
ne hai presi due :p :p :p ? davvero :hp: :bpj :lov1: ?

Anthracus transversalis (Schaum, 1862)

_________________
*****************
Immagine maurizio


Top
profilo
 Oggetto del messaggio: Re: Carabide da vaglio - Carabidae
MessaggioInviato: 11/12/2011, 1:01 
Avatar utente

Iscritto il: 18/02/2009, 0:24
Messaggi: 3908
Località: Asciano (Siena)
Nome: Andrea Petrioli
gomphus ha scritto:
ciao loris
ne hai presi due :p :p :p ? davvero :hp: :bpj :lov1: ?

Anthracus transversalis (Schaum, 1862)



....peccato non tre :sick: :( :sick: ;)

Bella cattura Loris :ok:

_________________
:hi:
______
Andrea


Top
profilo
 Oggetto del messaggio: Re: Carabide da vaglio - Carabidae
MessaggioInviato: 11/12/2011, 1:21 
Avatar utente

Iscritto il: 05/02/2009, 17:31
Messaggi: 9527
Località: milano
Nome: maurizio pavesi
Anillus ha scritto:
gomphus ha scritto:
ciao loris
ne hai presi due :p :p :p ? davvero :hp: :bpj :lov1: ?

Anthracus transversalis (Schaum, 1862)

....peccato non tre :sick: :( :sick: ;)

per quello c'è ancora tempo :mrgreen: ...

_________________
*****************
Immagine maurizio


Top
profilo
MessaggioInviato: 11/12/2011, 12:09 
 

Iscritto il: 30/07/2010, 8:40
Messaggi: 596
Nome: vittorino.monzini
mi sbaglierò... ma con quelle misure, con quelle antenne, con quei colori ecc. a me sembra di più un longicornis


Top
profilo
MessaggioInviato: 11/12/2011, 12:26 
Avatar utente

Iscritto il: 06/02/2009, 9:03
Messaggi: 6370
Località: Bubano di Mordano (Bologna)
Nome: Augusto Degiovanni
vittorino monzini ha scritto:
mi sbaglierò... ma con quelle misure, con quelle antenne, con quei colori ecc. a me sembra di più un longicornis


Concordo in pieno :ok: , sicuramente A. longicornis

_________________
CIAO :hi: Augusto Degiovanni

http://anthicidaeecarabidae.altervista.org


Top
profilo
MessaggioInviato: 11/12/2011, 16:13 
Avatar utente

Iscritto il: 05/02/2009, 17:31
Messaggi: 9527
Località: milano
Nome: maurizio pavesi
ciao ragazzi :)

a me veramente :oops: per un longicornis :oooner: sembra che la forma del pronoto non corrisponda, troppo largo alla base :? ...

scusa loris, un dubbio :roll: ... sulla 3a interstria quanti punti ha? uno solo dietro la metà, o di più?

_________________
*****************
Immagine maurizio


Top
profilo
MessaggioInviato: 11/12/2011, 17:42 
Avatar utente

Iscritto il: 06/02/2009, 9:03
Messaggi: 6370
Località: Bubano di Mordano (Bologna)
Nome: Augusto Degiovanni
gomphus ha scritto:
ciao ragazzi :)

a me veramente :oops: per un longicornis :oooner: sembra che la forma del pronoto non corrisponda, troppo largo alla base :? ...

scusa loris, un dubbio :roll: ... sulla 3a interstria quanti punti ha? uno solo dietro la metà, o di più?


Maurizio, a me sembra che la base nella foto sia più stretta dell'anteriore ;) , poi devo dirti che non ho mai visto un esemplare di A. trasversalis con le antenne nere :shock: , e lo sai che non ne ho pochi :gh: aggiungo una cosa molto importante, gli angoli posteriori del protorace sono smussati, per cui.... ;)

_________________
CIAO :hi: Augusto Degiovanni

http://anthicidaeecarabidae.altervista.org


Top
profilo
 Oggetto del messaggio: Re: Anthracus sp. - Carabidae
MessaggioInviato: 11/12/2011, 18:30 
Avatar utente

Iscritto il: 05/02/2009, 17:31
Messaggi: 9527
Località: milano
Nome: maurizio pavesi
ciao augusto

ok :ok: non è il transversalis :oops: , però continua a non quadrarmi :? ... la base del pronoto è sì un po' più stretta del margine ant., ma non così tanto come nel longicornis che ho sottomano, per la precisione qui è larga come la larghezza del capo subito dietro gli occhi, nel longicornis è nettamente più stretta

i lati del pronoto sono più fortemente sinuati e gli angoli post. meno smussati rispetto al longicornis... e ancor più rispetto al consputus, che cmq non è, anche perché gli occhi di questo sono più piatti e il pronoto è nerastro

e va bene, per ora mi arrendo :oooner: , domani verifico se la variabilità del longicornis è tale che questo ci rientra (con il mio materiale di strada ne faccio poca :cry: )

p.s. se fossimo in grecia, sarei già arrivato a un'altra conclusione :ses

_________________
*****************
Immagine maurizio


Top
profilo
 Oggetto del messaggio: Re: Anthracus sp. - Carabidae
MessaggioInviato: 11/12/2011, 20:53 
Avatar utente

Iscritto il: 06/02/2009, 9:03
Messaggi: 6370
Località: Bubano di Mordano (Bologna)
Nome: Augusto Degiovanni
Fidati Maurizio è lui :ok: ....... oppure è novo :gh: :lov2:

P.S. preparati ho una ventina di esemplari di longicornis, e ti dico che questi variano parecchio, adirittura ho alcuni esemplari con il protorace tutto nero, altri con il protorace a lati chiari e scuri in centro ;) ma almeno le antenne sono tutte scure.

_________________
CIAO :hi: Augusto Degiovanni

http://anthicidaeecarabidae.altervista.org


Top
profilo
 Oggetto del messaggio: Re: Anthracus sp. - Carabidae
MessaggioInviato: 12/12/2011, 23:49 
Avatar utente

Iscritto il: 05/02/2009, 17:25
Messaggi: 4894
Località: Zola Predosa (BO)
Nome: Loris Colacurcio
...io ci ho guardato e riguardato....ma nisba ! :( Non ho visto alcun punto sull'interstria.
Forse :oops: se ne intravvede una parvenza, nella seconda metà posteriore delle elitre, ma solo uno.

Grazie comunque e come sempre per i vostri interventi. :birra:

:hi:

_________________
Loris


Top
profilo
 Oggetto del messaggio: Re: Anthracus sp. - Carabidae
MessaggioInviato: 13/12/2011, 23:55 
Avatar utente

Iscritto il: 05/02/2009, 17:31
Messaggi: 9527
Località: milano
Nome: maurizio pavesi
ho verificato... e ha ragione augusto :ok: , questo rientra nella variabilità del longicornis

:ses :ses :ses

_________________
*****************
Immagine maurizio


Top
profilo
Visualizza ultimi messaggi:  Ordina per  
nuovo argomento
rispondi
Pagina 1 di 1 [ 12 messaggi ]

Tutti gli orari sono UTC + 1 ora [ ora legale ]


Chi c’è in linea

Visitano il forum: Nessuno e 6 ospiti


Non puoi aprire nuovi argomenti
Non puoi rispondere negli argomenti
Non puoi modificare i tuoi messaggi
Non puoi cancellare i tuoi messaggi
Non puoi inviare allegati

Cerca per:
Vai a: