Benvenuto Ospite

Forum Entomologi Italiani

www.entomologiitaliani.net/forum
 
Oggi è 26/10/2025, 7:52

Tutti gli orari sono UTC + 1 ora [ ora legale ]

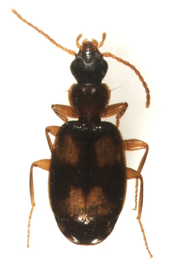
Calodromius spilotus - Carabidae

16.VIII.2010 - ITALIA - Umbria - PG, laghetto adiacente al fiume Tevere (Città di Castello)


nuovo argomento
rispondi
Pagina 1 di 1 [ 3 messaggi ]
Autore Messaggio
 Oggetto del messaggio: Calodromius spilotus - Carabidae
MessaggioInviato: 13/04/2012, 11:08 
Avatar utente

Iscritto il: 06/05/2010, 23:31
Messaggi: 94
Località: Città di Castello
Nome: Giovanni Bettacchioli
Salve a tutti,

la settimana scorsa ho rinvenuto su una delle trappole pitfall che ho piazzato in un boschetto igrofilo lungo il fiume Tevere (Città di castello) questo piccolo carabide (3.5 mm). Inizialmente credevo potesse essere una specie del genere Philorhizus ma dopo aver controllato la revisione dei Philorhizus di Sciaki (1991) sono giunto alla conclusione che si tratta di un maschio di Calodromius spilotus. Tuttavia non sono affatto sicuro della conclusione a cui sono giunto
I caratteri che mi hanno portato ad escludere che si tratti di un Philorhizus sono le 6 setole sul labbro superiore ed il terzo articolo antennale pubescente nella parte distale.

grazie in anticipo!


Calodromius_spilotus.jpg

Top
profilo
MessaggioInviato: 13/04/2012, 14:04 
Avatar utente

Iscritto il: 08/05/2010, 22:25
Messaggi: 1462
Località: Milano
Nome: Riccardo Sciaky
Caro Giovanni, sono contento che i caratteri che avevo evidenziato anni fa "reggano" ancora. Dall'aspetto sembra effettivamente un Calodromius spilotus, ma c'è una cosa che mi lascia un po' perplesso :roll: : le elitre sembrano più brevi e tozze di quanto non ricordassi. Essendo un maschietto sarebbe magari interessante estrarlo, sebbene alla fine le conclusioni saranno quasi certamente quelle a cui sei comunque arrivato tu.

Un affettuoso saluto ;)

_________________
Riccardo


Top
profilo
MessaggioInviato: 13/04/2012, 14:56 
Avatar utente

Iscritto il: 06/05/2010, 23:31
Messaggi: 94
Località: Città di Castello
Nome: Giovanni Bettacchioli
Grazie Riccardo, la tua risposta mi conforta. Non ho ancora effettuato l'estrazione dell'edeago perchè esemplare in questione ha l'addome un pò "allentato" e temevo che si potesse staccare al momento dell'estrazione. Ma ora che ho le foto posso permettermi di rischiare!


Top
profilo
Visualizza ultimi messaggi:  Ordina per  
nuovo argomento
rispondi
Pagina 1 di 1 [ 3 messaggi ]

Tutti gli orari sono UTC + 1 ora [ ora legale ]


Chi c’è in linea

Visitano il forum: Nessuno e 2 ospiti


Non puoi aprire nuovi argomenti
Non puoi rispondere negli argomenti
Non puoi modificare i tuoi messaggi
Non puoi cancellare i tuoi messaggi
Non puoi inviare allegati

Cerca per:
Vai a: