Benvenuto Ospite

Forum Entomologi Italiani

www.entomologiitaliani.net/forum
 
Oggi è 06/11/2025, 19:13

Tutti gli orari sono UTC + 1 ora [ ora legale ]

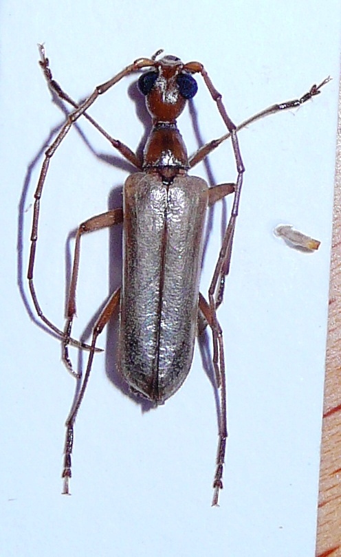
Vesperus macropterus Sama, 1999 Dettagli della specie

5.VIII.2012 - ITALIA - Sardegna - CA, Domus de Maria – P.ta su Pisu – m 30 - G.Ruzzante leg.


nuovo argomento
rispondi
Pagina 1 di 1 [ 8 messaggi ]
Autore Messaggio
MessaggioInviato: 06/08/2012, 10:23 
Avatar utente

Iscritto il: 23/06/2010, 11:11
Messaggi: 2784
Località: Cagliari
Nome: Gianpaolo Ruzzante
non ci dovrebbero essere alternative ... vediamo cosa dice Daniele :birra:
:hi:


P1050958.JPG

P1050957.JPG

Top
profilo
MessaggioInviato: 06/08/2012, 12:46 
Avatar utente

Iscritto il: 30/12/2009, 22:20
Messaggi: 31564
Località: Roma
Nome: Maurizio Gigli
Già sono fuori? Sono più precoci del nostro luridus?

_________________
Maurizio Gigli
http://utenti.romascuola.net/bups
http://bup.xoom.it/


Top
profilo
MessaggioInviato: 06/08/2012, 12:54 
Avatar utente

Iscritto il: 22/12/2009, 13:31
Messaggi: 9646
Località: Napoli
Nome: Francesco Izzillo
Dove sei stato fino a quest'ora? A prendere Coccinelle? :gh:

_________________
Francesco Izzillo


Top
profilo
MessaggioInviato: 06/08/2012, 12:57 
Avatar utente

Iscritto il: 22/12/2009, 13:31
Messaggi: 9646
Località: Napoli
Nome: Francesco Izzillo
Faccele vedere! :hj: :gel1: :hj:

_________________
Francesco Izzillo


Top
profilo
MessaggioInviato: 06/08/2012, 13:00 
Avatar utente

Iscritto il: 30/12/2009, 22:20
Messaggi: 31564
Località: Roma
Nome: Maurizio Gigli
f.izzillo ha scritto:
Dove sei stato fino a quest'ora? A prendere Coccinelle? :gh:

No, a litigare a scuola per la cattedra che stanno cercando di affibbiarmi per il 2012-2013. Le mie colleghe avranno fatto la loro solita opera di tortura psicologica nei confronti del preside, e io mi becco ciò che resta, come al solito.

Comunque ho appena finito di preparare una coccinella che è venuta a trovarmi questa mattina (era sul letto). Appena si asciuga la invio, proprio per te! :D

_________________
Maurizio Gigli
http://utenti.romascuola.net/bups
http://bup.xoom.it/


Top
profilo
MessaggioInviato: 06/08/2012, 13:08 
Avatar utente

Iscritto il: 22/12/2009, 13:31
Messaggi: 9646
Località: Napoli
Nome: Francesco Izzillo
Julodis ha scritto:
f.izzillo ha scritto:
Dove sei stato fino a quest'ora? A prendere Coccinelle? :gh:

No, a litigare a scuola per la cattedra che stanno cercando di affibbiarmi per il 2012-2013. Le mie colleghe avranno fatto la loro solita opera di tortura psicologica nei confronti del preside, e io mi becco ciò che resta, come al solito.

Comunque ho appena finito di preparare una coccinella che è venuta a trovarmi questa mattina (era sul letto). Appena si asciuga la invio, proprio per te! :D

:hp: :hj: :hp: Muoio dalla voglia di vederla! :xyz

_________________
Francesco Izzillo


Top
profilo
MessaggioInviato: 11/08/2012, 0:36 
Avatar utente

Iscritto il: 23/06/2010, 11:11
Messaggi: 2784
Località: Cagliari
Nome: Gianpaolo Ruzzante
ruzzpa ha scritto:
non ci dovrebbero essere alternative ... vediamo cosa dice Daniele :birra:
:hi:

Lo possiamo nominare, Daniele è troppo impegnato nello sperimentare la fotografia... meglio così :hp:
abbiamo finalmente anche a Cagliari un ottimo fotografo :hp:


Top
profilo
MessaggioInviato: 01/09/2012, 16:09 
Avatar utente

Iscritto il: 21/05/2009, 14:59
Messaggi: 6994
Località: Parigi
Nome: Riccardo Poloni
Si, è lui :D :)

_________________
Riccardo Poloni
La dignità degli elementi
la libertà della poesia,
al di là dei tradimenti degli uomini
è magia, è magia, è magia...
Negrita, Rotolando verso sud


Top
profilo
Visualizza ultimi messaggi:  Ordina per  
nuovo argomento
rispondi
Pagina 1 di 1 [ 8 messaggi ]

Tutti gli orari sono UTC + 1 ora [ ora legale ]


Chi c’è in linea

Visitano il forum: Nessuno e 0 ospiti


Non puoi aprire nuovi argomenti
Non puoi rispondere negli argomenti
Non puoi modificare i tuoi messaggi
Non puoi cancellare i tuoi messaggi
Non puoi inviare allegati

Cerca per:
Vai a: