Benvenuto Ospite

Forum Entomologi Italiani

www.entomologiitaliani.net/forum
 
Oggi è 26/10/2025, 19:33

Tutti gli orari sono UTC + 1 ora [ ora legale ]

Demetrias (Demetrias) monostigma Samouelle, 1819 Dettagli della specie

7.V.2012 - ROMANIA - EE, near Buzau


nuovo argomento
rispondi
Vai alla pagina 1, 2  Prossimo
Pagina 1 di 2 [ 28 messaggi ]
Autore Messaggio
MessaggioInviato: 18/10/2012, 20:39 
Avatar utente

Iscritto il: 26/03/2010, 14:55
Messaggi: 5973
Località: Romania
Nome: Cosmin-Ovidiu Manci
Ciao,

E gia su forum ma non da Romania (dopo FaEU non e conosciuto da Romania... vediamo).
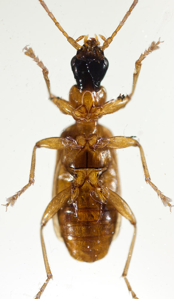
Questo bello carbido e stato raccolto falciando la vegetazione in questo unico esemplare.

Una foto piu grande qui.

:hi:

Demetrias_atricapillus_s.jpg


_________________
Cosmin-Ovidiu Manci
**********************
cosmln's place - my blog
just insects
Dragonflies of Romania


Top
profilo
MessaggioInviato: 18/10/2012, 21:46 
Avatar utente

Iscritto il: 14/03/2009, 12:59
Messaggi: 3230
Località: Milano
Nome: Gabriele Franzini
Cosmin ciao,

il disegno sembra più quello di D. monostigma :roll: :roll: :roll:

:hi: :hi: G.


Top
profilo
MessaggioInviato: 18/10/2012, 22:05 
Avatar utente

Iscritto il: 26/03/2010, 14:55
Messaggi: 5973
Località: Romania
Nome: Cosmin-Ovidiu Manci
gabrif ha scritto:
Cosmin ciao,

il disegno sembra più quello di D. monostigma :roll: :roll: :roll:

:hi: :hi: G.


si lo so ma...

Demetrias_atricapillus_det.jpg



:roll: :roll:

:hi:

_________________
Cosmin-Ovidiu Manci
**********************
cosmln's place - my blog
just insects
Dragonflies of Romania


Top
profilo
MessaggioInviato: 18/10/2012, 22:15 
Avatar utente

Iscritto il: 14/03/2009, 12:59
Messaggi: 3230
Località: Milano
Nome: Gabriele Franzini
Poi è anche alata, la monostigma no. Molto strano.

Ciao G.


Top
profilo
MessaggioInviato: 18/10/2012, 22:19 
Avatar utente

Iscritto il: 26/03/2010, 14:55
Messaggi: 5973
Località: Romania
Nome: Cosmin-Ovidiu Manci
l'unica che non so com'e fatta e Demetrias (Aetophorus) muchei Jedlicka 1967... ma presumo che e piu come D.imperialis (almeno l'unghia).

:hi:

_________________
Cosmin-Ovidiu Manci
**********************
cosmln's place - my blog
just insects
Dragonflies of Romania


Top
profilo
MessaggioInviato: 18/10/2012, 22:22 
Avatar utente

Iscritto il: 05/02/2009, 17:31
Messaggi: 9527
Località: milano
Nome: maurizio pavesi
ciao cosmin

era sembrato anche a me che somigliasse alla monostigma... però questo è alato, e la monostigma dovrebbe essere costantemente brachittera

p.s. infatti, come stavo dicendo :to:

per sicurezza, potresti fare una foto di lato, in modo che si veda la colorazione ventrale? inferiormente l'atricapillus ha meso- e metatorace estesamente anneriti, mentre la monostigma è giallo rossiccio uniforme

_________________
*****************
Immagine maurizio


Top
profilo
MessaggioInviato: 18/10/2012, 22:40 
Avatar utente

Iscritto il: 26/03/2010, 14:55
Messaggi: 5973
Località: Romania
Nome: Cosmin-Ovidiu Manci
gomphus ha scritto:
ciao cosmin

era sembrato anche a me che somigliasse alla monostigma... però questo è alato, e la monostigma dovrebbe essere costantemente brachittera

p.s. infatti, come stavo dicendo :to:

per sicurezza, potresti fare una foto di lato, in modo che si veda la colorazione ventrale? inferiormente l'atricapillus ha meso- e metatorace estesamente anneriti, mentre la monostigma è giallo rossiccio uniforme


va bene cosi? ... mi scusi per la qualita, tra transparenza.
a me sembrano anneriti.

Demetrias_atricapillus_det2.jpg


_________________
Cosmin-Ovidiu Manci
**********************
cosmln's place - my blog
just insects
Dragonflies of Romania


Top
profilo
MessaggioInviato: 18/10/2012, 22:58 
Avatar utente

Iscritto il: 05/02/2009, 17:31
Messaggi: 9527
Località: milano
Nome: maurizio pavesi
è strano :roll: ... non sembra corrispondere a nessuna delle due

a questo punto, sarà il caso di verificare come è fatta esattamente la Demetrias muchei...

dato che delle descrizioni di jedlička non c'è da fidarsi :P ...

_________________
*****************
Immagine maurizio


Top
profilo
MessaggioInviato: 18/10/2012, 23:07 
Avatar utente

Iscritto il: 26/03/2010, 14:55
Messaggi: 5973
Località: Romania
Nome: Cosmin-Ovidiu Manci
ora gia e tropo per me :cry:

:hi:

_________________
Cosmin-Ovidiu Manci
**********************
cosmln's place - my blog
just insects
Dragonflies of Romania


Top
profilo
MessaggioInviato: 19/10/2012, 8:41 
Avatar utente

Iscritto il: 01/11/2010, 21:21
Messaggi: 2106
Località: Brescia
Nome: Mario Grottolo
Comunque sempre fotografie bellissime, si nota persino la presenza di Laboulbeniales.
Ciao
Mario


Top
profilo
MessaggioInviato: 19/10/2012, 15:14 
Avatar utente

Iscritto il: 06/02/2009, 9:03
Messaggi: 6370
Località: Bubano di Mordano (Bologna)
Nome: Augusto Degiovanni
gabrif ha scritto:
Poi è anche alata, la monostigma no. Molto strano.
Ciao G.


Disserisco.

Premetto non conosco la Demetrias muchei, ma Muller 1921, 141 descrive o cita la var. alatus su esemplari alati Austriaci, cosa che segnala anche Jeannel 1942, p. 1038.

Io in collezione ho un esemplare di D. monostigma di Punte Alberete (RA) maschio, che è alato.

Potrebbe essere che al nord siano alate :lol1:

Per me rimane una D. monostigma poi finchè qualcuno non mi farà vedere la muchei (nel Web non ho trovato manco una foto :devil: ) potrò rimangiarmi la determinazione :gh:

_________________
CIAO :hi: Augusto Degiovanni

http://anthicidaeecarabidae.altervista.org


Top
profilo
MessaggioInviato: 19/10/2012, 20:21 
Avatar utente

Iscritto il: 14/03/2009, 12:59
Messaggi: 3230
Località: Milano
Nome: Gabriele Franzini
Cita:
Disserisco.

E io asterisco.
:lol1: :lol1: :lol1:

Ciao G.
PS adesso vado a riguardare le une e le altre in collezione.


Top
profilo
MessaggioInviato: 19/10/2012, 20:52 
Avatar utente

Iscritto il: 26/03/2010, 14:55
Messaggi: 5973
Località: Romania
Nome: Cosmin-Ovidiu Manci
Notoxus59 ha scritto:
gabrif ha scritto:
Poi è anche alata, la monostigma no. Molto strano.
Ciao G.


Disserisco.

Premetto non conosco la Demetrias muchei, ma Muller 1921, 141 descrive o cita la var. alatus su esemplari alati Austriaci, cosa che segnala anche Jeannel 1942, p. 1038.

Io in collezione ho un esemplare di D. monostigma di Punte Alberete (RA) maschio, che è alato.

Potrebbe essere che al nord siano alate :lol1:

Per me rimane una D. monostigma poi finchè qualcuno non mi farà vedere la muchei (nel Web non ho trovato manco una foto :devil: ) potrò rimangiarmi la determinazione :gh:


Grazie a tutti, a dire la verito non mi sono mi aspettavo a problemi con questo.

Ho determinato con Trautner e Geingenmuller, e li piu o meno devi quardare solo le unghie. Con denti, senza denti... se sono con denti, quanti denti e cosi ho finito con D.atricapillus. :oops: Capisco que qualla chiave non e buona?
Non era niente li con ali o senza ali :( ... e dopo che vedo qui anche questo e un caractero variabile :cry: .

Se qualcuno vuole studiarlo... ;)

Adoro questi dibattiti, cosi posso imparare qualcosa, grazie amici :hp: .

:lov2:
:hi:

_________________
Cosmin-Ovidiu Manci
**********************
cosmln's place - my blog
just insects
Dragonflies of Romania


Top
profilo
MessaggioInviato: 19/10/2012, 21:19 
Avatar utente

Iscritto il: 05/02/2009, 17:31
Messaggi: 9527
Località: milano
Nome: maurizio pavesi
ciao ragazzi

anche se a questo punto ero convinto anch'io che fosse una monostigma alata (ieri sera la colorazione mi sembrava un po' strana, ma vista con quest'altro monitor corrisponde), per scrupolo sono andato a controllare la descrizione della Demetrias muchei Jedlička

si tratta apparentemente di una normale D. imperialis di quelle con disegno nero ridotto, simile a quello della nostra imperialis ruficeps, forse ancora più ridotto del solito, ma in sostanza corrispondente

in ogni caso, anche se le unghie lisce fossero un errore di osservazione, l'indicazione "capo e mesotorace neri" esclude che abbia niente a che fare con la nostra

e quindi... :mrgreen: monostigma sia

_________________
*****************
Immagine maurizio


Top
profilo
MessaggioInviato: 19/10/2012, 21:24 
Avatar utente

Iscritto il: 14/03/2009, 12:59
Messaggi: 3230
Località: Milano
Nome: Gabriele Franzini
da Lindroth:
- Temples hairy, elytral intervals with a single row of erect setae, claws with 3 teeth: atricapillus
- Temples glabrous, only 3rd interval with 4 setiferous punctures, claws with single tooth: monostigma

Continua a non quadrare esattamente al 100% con nessuna delle 2, ma andrei anche io verso la monostigma.

G.


Top
profilo
Visualizza ultimi messaggi:  Ordina per  
nuovo argomento
rispondi
Vai alla pagina 1, 2  Prossimo
Pagina 1 di 2 [ 28 messaggi ]

Tutti gli orari sono UTC + 1 ora [ ora legale ]


Chi c’è in linea

Visitano il forum: Nessuno e 6 ospiti


Non puoi aprire nuovi argomenti
Non puoi rispondere negli argomenti
Non puoi modificare i tuoi messaggi
Non puoi cancellare i tuoi messaggi
Non puoi inviare allegati

Cerca per:
Vai a: