Benvenuto Ospite

Forum Entomologi Italiani

www.entomologiitaliani.net/forum
 
Oggi è 27/10/2025, 23:24

Tutti gli orari sono UTC + 1 ora [ ora legale ]

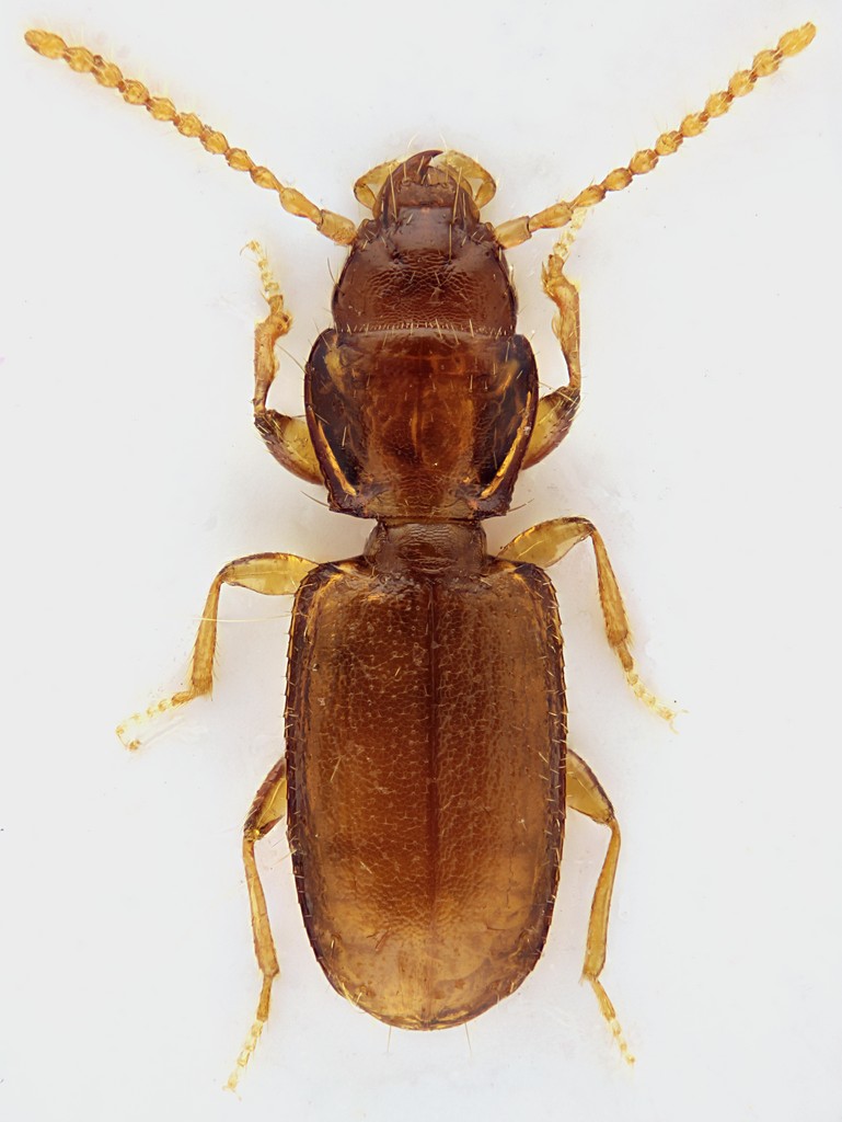
Anillus bordonii Magrini & Vanni 1993 (cf.) - Carabidae - Lazio

22.XI.2012 - ITALIA - Lazio - RM, Roma, Via di Settebagni


nuovo argomento
rispondi
Pagina 1 di 1 [ 7 messaggi ]
Autore Messaggio
MessaggioInviato: 24/11/2012, 1:24 
Avatar utente

Iscritto il: 30/12/2009, 22:20
Messaggi: 31564
Località: Roma
Nome: Maurizio Gigli
Ieri ho trovato una mezz'oretta libera tra la fine delle lezioni a scuola e gli impegni a casa, e sono andato a fare un brevissimo tentativo di lavaggio del terreno vicino casa, dove qualche giorno fa avevo preso un paio di Anommatus. Chissà mai che non esca fuori qualche piccolo Carabidae endogeo? Ho lavato qualche palettata di terra, poi ho lasciato perdere, perchè non si vedeva praticamente niente e non avevo più tempo.

A casa, la sera, ho steso in una bacinella il poco detrito vegetale raccolto col lavaggio, e ci ho trovato solo un Anommatus e altri 5 Coleotteri, alcuni dei quali, però, piuttosto interessanti, almeno per me.

QUesto piccolo Carabidae, potrei sbagliarmi, ma mi ricorda abbastanza un Lymnastis, o forse mi sono solo fatto suggestionare dalla discussione dei giorni scorsi. Comunque sia, è una specie che non avevo mai trovato, con tutte le caratteristiche da endogeo: depigmentato, anoftalmo (o molto microftalmo?) coperto di setole sensoriali lunghissime. Da vivo, quasi indistinguibile da un Anommatus, se non fosse per il diverso modo di muoversi (molto più attivo).

Lazio, Roma, Via di Settebagni, 22.XI.2012, nel terreno argilloso vicino ad un pioppo, M. Gigli legit

1,55 mm
Carabidae_Settebagni_22.XI.2012_1,55mm_grey.jpg


_________________
Maurizio Gigli
http://utenti.romascuola.net/bups
http://bup.xoom.it/


Top
profilo
 Oggetto del messaggio: Re: Carabidae endogeo - Lazio
MessaggioInviato: 24/11/2012, 1:38 
Avatar utente

Iscritto il: 05/02/2009, 17:47
Messaggi: 7252
Località: Cagliari
Nome: Piero Leo
Anillino sicuramente; così a occhio azzarderei Anillus florentinus.

:) Ciao
Piero


Top
profilo
 Oggetto del messaggio: Re: Carabidae endogeo - Lazio
MessaggioInviato: 24/11/2012, 1:47 
Avatar utente

Iscritto il: 30/12/2009, 22:20
Messaggi: 31564
Località: Roma
Nome: Maurizio Gigli
Va bene lo stesso. Così ho rotto il monopolio di Loris su questa specie! :D

_________________
Maurizio Gigli
http://utenti.romascuola.net/bups
http://bup.xoom.it/


Top
profilo
 Oggetto del messaggio: Re: Carabidae endogeo - Lazio
MessaggioInviato: 24/11/2012, 10:48 
Avatar utente

Iscritto il: 18/02/2009, 0:24
Messaggi: 3908
Località: Asciano (Siena)
Nome: Andrea Petrioli
Sicuramente Anillus ;)

Impossibile andare oltre senza l'edeago (e se non sbaglio questa è una femmina) :sick: .

I due più probabili sono A. florentinus e A. bordonii in quanto le specie più comuni e ad ampio areale di distribuzione.

_________________
:hi:
______
Andrea


Top
profilo
 Oggetto del messaggio: Re: Anillus sp. - Carabidae - Lazio
MessaggioInviato: 24/11/2012, 16:48 
Avatar utente

Iscritto il: 30/12/2009, 22:20
Messaggi: 31564
Località: Roma
Nome: Maurizio Gigli
Primo ed unico esemplare di questo genere che trovo. Però, visto che il posto è vicino casa, posso tornarci alla prima occasione e vedere se ne escono altri.

_________________
Maurizio Gigli
http://utenti.romascuola.net/bups
http://bup.xoom.it/


Top
profilo
 Oggetto del messaggio: Re: Anillus sp. - Carabidae - Lazio
MessaggioInviato: 24/11/2012, 21:15 
Avatar utente

Iscritto il: 06/02/2009, 9:03
Messaggi: 6370
Località: Bubano di Mordano (Bologna)
Nome: Augusto Degiovanni
Cita:
I due più probabili sono A. florentinus e A. bordonii in quanto le specie più comuni e ad ampio areale di distribuzione.


Il bordoni è presente tutto attorno a Roma, e Fiano Romano è uno dei luoghi dove è presente, per cui non essendo tanto lontano da Settebagni, è molto probabile che potrebbe essere lui ;) .

_________________
CIAO :hi: Augusto Degiovanni

http://anthicidaeecarabidae.altervista.org


Top
profilo
 Oggetto del messaggio: Re: Anillus sp. - Carabidae - Lazio
MessaggioInviato: 25/11/2012, 1:54 
Avatar utente

Iscritto il: 30/12/2009, 22:20
Messaggi: 31564
Località: Roma
Nome: Maurizio Gigli
Questo è stato preso a Via di Settebagni, che è a Roma, all'altezza del Raccordo Anulare. Comunque Settebagni è lì vicino. La località in cui l'ho preso è piuttosto simile alle Piane di Fiano, lungo il Tevere. Ovvero campi coltivati con tratti che spesso si allagano e che possono mantenere l'acqua anche per lunghi periodi, su depositi alluvionali. Solo che qui siamo un po' più distanti dal Tevere, ma vi scorre un fosso che vi sfocia un paio di km dopo.

_________________
Maurizio Gigli
http://utenti.romascuola.net/bups
http://bup.xoom.it/


Top
profilo
Visualizza ultimi messaggi:  Ordina per  
nuovo argomento
rispondi
Pagina 1 di 1 [ 7 messaggi ]

Tutti gli orari sono UTC + 1 ora [ ora legale ]


Chi c’è in linea

Visitano il forum: Nessuno e 3 ospiti


Non puoi aprire nuovi argomenti
Non puoi rispondere negli argomenti
Non puoi modificare i tuoi messaggi
Non puoi cancellare i tuoi messaggi
Non puoi inviare allegati

Cerca per:
Vai a: