Benvenuto Ospite

Forum Entomologi Italiani

www.entomologiitaliani.net/forum
 
Oggi è 06/11/2025, 14:02

Tutti gli orari sono UTC + 1 ora [ ora legale ]

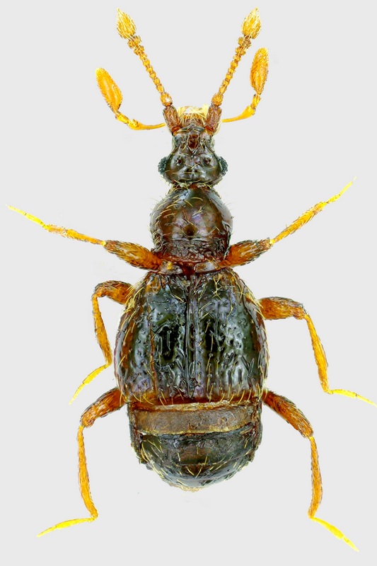
Bryaxis bulbifer (Reichenbach, 1816) cf. Dettagli della specie

2.II.2013 - ITALIA - Emilia-Romagna - RA, Punte Alberete (RA), leg. A. Degiovanni


nuovo argomento
rispondi
Pagina 1 di 1 [ 7 messaggi ]
Autore Messaggio
MessaggioInviato: 02/02/2013, 17:42 
Avatar utente

Iscritto il: 06/02/2009, 9:03
Messaggi: 6371
Località: Bubano di Mordano (Bologna)
Nome: Augusto Degiovanni
Oggi è stata la prima uscita dell'anno :hp: , complice Loris che mi ha contattato ieri sera da per una sortita dalle mie parti, ci siamo accordati per indagare i lidi Ravennati, più precisamente le Pinete.
Sicuramente sarà Loris a postare le altre bestie, io mi limito a postare solo un esemplare che lui stesso voleva vedere.
Loris mi spiace aver tardato così tanto, pensavo di fare subito le foto, ma visto che non conosco i maschi dalle femmine avendo l'esemplare fresco, ho provato ad estrarlo :devil: (devo dire che questi sono più cazzuti dei limnastis), ma appena l'ho toccato mi è andato in mille pezzi, infatti si vede che l'ho mezzo distrutto e mi sono voluti 50 minuti per riassemblarlo, per poi scoprire che era una femmina :devil: .

Lunghezza: 1,65 mm

tn_Pselafidae.JPG



tn_Pselafidae - Copia.JPG


_________________
CIAO :hi: Augusto Degiovanni

http://anthicidaeecarabidae.altervista.org


Top
profilo
 Oggetto del messaggio: Re: Pselafidae
MessaggioInviato: 02/02/2013, 17:48 
Avatar utente

Iscritto il: 21/02/2011, 15:25
Messaggi: 3877
Località: Montecchio Emilia (RE)
Nome: Violi Michele
I maschi dovrebbero avere una spina alla fine delle tibie, come qua :D

_________________
Michele :D


Top
profilo
 Oggetto del messaggio: Re: Pselafidae
MessaggioInviato: 02/02/2013, 18:00 
Avatar utente

Iscritto il: 06/02/2009, 9:03
Messaggi: 6371
Località: Bubano di Mordano (Bologna)
Nome: Augusto Degiovanni
Mikiphasmide ha scritto:
I maschi dovrebbero avere una spina alla fine delle tibie, come qua :D


:ok: :ok:

_________________
CIAO :hi: Augusto Degiovanni

http://anthicidaeecarabidae.altervista.org


Top
profilo
 Oggetto del messaggio: Re: Pselafidae
MessaggioInviato: 02/02/2013, 19:41 
Avatar utente

Iscritto il: 05/02/2009, 17:25
Messaggi: 4894
Località: Zola Predosa (BO)
Nome: Loris Colacurcio
Sarò, breve che con il target sono impedito.
Sì, è un bryaxis, ne ho presi alcuni anche io . Pensavo all' italicus ma devo guardare meglio, non sono sicuro

Stasera dovrò vedere tutti gli insetti raccolti , di pelafidi ne ho trovati un bel po' almeno 6 specie.....

:hi:

Nei bryaxis il maschio ha le antenne diciamo tornate, in molte brachygluta c é invece la questione della spine sulle zampe mediante

_________________
Loris


Top
profilo
 Oggetto del messaggio: Re: Pselafidae
MessaggioInviato: 02/02/2013, 19:47 
Avatar utente

Iscritto il: 06/02/2009, 9:03
Messaggi: 6371
Località: Bubano di Mordano (Bologna)
Nome: Augusto Degiovanni
Cita:
Stasera dovrò vedere tutti gli insetti raccolti , di pelafidi ne ho trovati un bel po' almeno 6 specie.....



Ma questi vengono dal secchio ??

_________________
CIAO :hi: Augusto Degiovanni

http://anthicidaeecarabidae.altervista.org


Top
profilo
 Oggetto del messaggio: Re: Pselafidae
MessaggioInviato: 02/02/2013, 19:50 
Avatar utente

Iscritto il: 05/02/2009, 17:25
Messaggi: 4894
Località: Zola Predosa (BO)
Nome: Loris Colacurcio
Ti piacerebbe :no: :lol1: :no1: :mrgreen: nisba, erano tutti euconnus . I miei provengono dal setaccio .
A presto......

_________________
Loris


Top
profilo
 Oggetto del messaggio: Re: Pselafidae
MessaggioInviato: 02/02/2013, 19:52 
Avatar utente

Iscritto il: 06/02/2009, 9:03
Messaggi: 6371
Località: Bubano di Mordano (Bologna)
Nome: Augusto Degiovanni
Loriscola ha scritto:
Ti piacerebbe :no: :lol1: :no1: :mrgreen: nisba, erano tutti euconnus . I miei provengono dal setaccio .
A presto......


E ... vabbè :sick:

_________________
CIAO :hi: Augusto Degiovanni

http://anthicidaeecarabidae.altervista.org


Top
profilo
Visualizza ultimi messaggi:  Ordina per  
nuovo argomento
rispondi
Pagina 1 di 1 [ 7 messaggi ]

Tutti gli orari sono UTC + 1 ora [ ora legale ]


Chi c’è in linea

Visitano il forum: Nessuno e 0 ospiti


Non puoi aprire nuovi argomenti
Non puoi rispondere negli argomenti
Non puoi modificare i tuoi messaggi
Non puoi cancellare i tuoi messaggi
Non puoi inviare allegati

Cerca per:
Vai a: