Benvenuto Ospite

Forum Entomologi Italiani

www.entomologiitaliani.net/forum
 
Oggi è 27/10/2025, 16:24

Tutti gli orari sono UTC + 1 ora [ ora legale ]

Anillus bordonii Magrini & Vanni 1993 (cf.) - Carabidae

16.II.2013 - ITALIA - Lazio - RM, Roma, Via di Settebagni


nuovo argomento
rispondi
Pagina 1 di 1 [ 12 messaggi ]
Autore Messaggio
MessaggioInviato: 17/02/2013, 12:49 
Avatar utente

Iscritto il: 30/12/2009, 22:20
Messaggi: 31564
Località: Roma
Nome: Maurizio Gigli
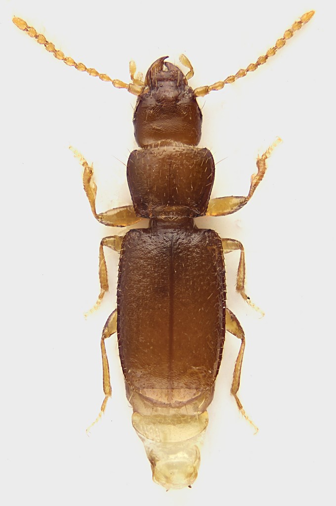
Altra femmina di Anillus bordonii (cf.)?
Trovata a 1 metro da questa

Lazio, Roma, Via di Settebagni, 16.II.2013, nel terreno argilloso in una piccola pioppeta lungo un fosso, M. Gigli legit

1,9 mm
Anillus_Via_di_Settebagni_16-II-2013_1,9mm_grey.jpg


_________________
Maurizio Gigli
http://utenti.romascuola.net/bups
http://bup.xoom.it/


Top
profilo
 Oggetto del messaggio: Re: Anillus? - Carabidae - Lazio
MessaggioInviato: 17/02/2013, 12:54 
Avatar utente

Iscritto il: 06/02/2009, 9:03
Messaggi: 6370
Località: Bubano di Mordano (Bologna)
Nome: Augusto Degiovanni
Se non trovi il maschio, dovrai nominare anche questo esemplare come l'altro oppure aggiungerlo alla sua discussione ;)

_________________
CIAO :hi: Augusto Degiovanni

http://anthicidaeecarabidae.altervista.org


Top
profilo
 Oggetto del messaggio: Re: Anillus? - Carabidae - Lazio
MessaggioInviato: 17/02/2013, 13:08 
Avatar utente

Iscritto il: 09/06/2012, 20:57
Messaggi: 4282
Località: Mesola (FE)
Nome: Daniele Maccapani
Scusate se mi "intrufolo" :D, vorrei approfittare per togliermi un dubbio... Spero non sia troppo fuori luogo :oops:.

Ogni tanto leggo di casi come questo, in cui cioè si vorrebbe identificare un'esemplare femmina e si conclude che per darle un nome è necessario trovare anche un maschio, perchè solo in questo sono presenti i caratteri necessari alla distinzione.
Mi sono però sempre chiesto: se è così, significa che ci sono due o più specie in cui le femmine sono virtualmente identiche... Ma allora, se anche si trovasse un maschio nello stesso posto da cui proviene la femmina ignota, come si potrebbe essere certi che appartengano alla stessa specie? (il maschio e la femmina intendo, forse non era chiaro :to:) In quel posto non potrebbero convivere due o più di quelle specie con le femmine identiche? :?

Grazie, :hi:

_________________
"Lasciate questo mondo un po' migliore di come lo avete trovato" (Sir Robert Baden Powell)
Immagine Daniele


Top
profilo
 Oggetto del messaggio: Re: Anillus? - Carabidae - Lazio
MessaggioInviato: 17/02/2013, 13:42 
Avatar utente

Iscritto il: 09/11/2010, 19:52
Messaggi: 4518
Località: Brescia
Nome: Luca Bodei
Daniele Maccapani ha scritto:
Scusate se mi "intrufolo" :D, vorrei approfittare per togliermi un dubbio... Spero non sia troppo fuori luogo :oops:.

Ogni tanto leggo di casi come questo, in cui cioè si vorrebbe identificare un'esemplare femmina e si conclude che per darle un nome è necessario trovare anche un maschio, perchè solo in questo sono presenti i caratteri necessari alla distinzione.
Mi sono però sempre chiesto: se è così, significa che ci sono due o più specie in cui le femmine sono virtualmente identiche... Ma allora, se anche si trovasse un maschio nello stesso posto da cui proviene la femmina ignota, come si potrebbe essere certi che appartengano alla stessa specie? (il maschio e la femmina intendo, forse non era chiaro :to:) In quel posto non potrebbero convivere due o più di quelle specie con le femmine identiche? :? Grazie, :hi:



...Ecco perchè serve sempre il maschio....per poter distinguere le specie...non è impossibile,trovare più specie nello stesso luogo....anche se sono alcune volte, piuttosto isolate tra loro....se vogliamo andare a fondo si potrebbe anche risalire alla specie per la femmina...ma credo si debba andare verso l'analisi del DNA....oppure credo si possa fare un confronto (credo però non ne sono sicuro...),analizzando per bene tutti gli esemplari sia maschi che femmine...facendo i loro dovuti riscontri... :hi:

_________________
Tc70


Top
profilo
 Oggetto del messaggio: Re: Anillus? - Carabidae - Lazio
MessaggioInviato: 17/02/2013, 14:34 
Avatar utente

Iscritto il: 30/12/2009, 22:20
Messaggi: 31564
Località: Roma
Nome: Maurizio Gigli
Daniele Maccapani ha scritto:
se è così, significa che ci sono due o più specie in cui le femmine sono virtualmente identiche... Ma allora, se anche si trovasse un maschio nello stesso posto da cui proviene la femmina ignota, come si potrebbe essere certi che appartengano alla stessa specie? (il maschio e la femmina intendo, forse non era chiaro :to:) In quel posto non potrebbero convivere due o più di quelle specie con le femmine identiche? :?

Grazie, :hi:

Lo stesso problema si verifica anche in altri gruppi.
Ad esempio, molte specie di Anthaxia del gruppo funerula si riconoscono abbastanza agevolmente dai maschi, ma le femmine sono quasi indistinguibili. Da foto non sono identificabili. Potendo esaminare gli esemplari, non sempre, ma spesso si riesce a distinguerle. Presumo che anche con i Carabidae e altri insetti sia possibile farlo, a patto di conoscere bene cosa andare a controllare.

Credo comunque che, almeno nei Carabidae, le specie distinguibili solo dai genitali maschili siano quasi sempre vicarianti, e solo eccezionalmente si possano trovare conviventi nello stesso posto, stesso ambiente e stesso periodo.

_________________
Maurizio Gigli
http://utenti.romascuola.net/bups
http://bup.xoom.it/


Top
profilo
 Oggetto del messaggio: Re: Anillus? - Carabidae - Lazio
MessaggioInviato: 17/02/2013, 14:43 
Avatar utente

Iscritto il: 09/06/2012, 20:57
Messaggi: 4282
Località: Mesola (FE)
Nome: Daniele Maccapani
Grazie Luca :birra:
Sinceramente, hai risposto solo in parte alla mia domanda... Probabilmente però, mi sono spiegato male io :oops:
Intendevo... Mettiamo che trovo un maschio e lo identifico... A quel punto, mi era parso di capire in varie discussioni come questa, diventa ragionevole attribuire alla stessa specie del maschio anche la femmina ignota raccolta nello stesso posto... Cosa che però a me non sembra tanto ragionevole, proprio perchè laddove si è identificata una "specie papabile", ne potrebbero convivere anche altre... :)

:hi:

PS: intanto ha risposto anche Maurizio :to:
Grazie mille anche a te!! :lov2:
Una domanda mi sorge anche dalla tua risposta però... Questo fatto che spesso, nei carabidi, si tratta di specie vicarianti, e che quindi trovata una diventa improbabile la presenza dell'altra... Come si può dimostrare? Cioè, mi pare che si tratti di specie difficili da raccogliere (piccole, a volte endogee...), quindi mi sembra del tutto plausibile che se ne riesca a trovare, fra virgolette "casualmente", solo una laddove ne convivono di più...

Grazie a tutti :hi:

_________________
"Lasciate questo mondo un po' migliore di come lo avete trovato" (Sir Robert Baden Powell)
Immagine Daniele


Top
profilo
 Oggetto del messaggio: Re: Anillus? - Carabidae - Lazio
MessaggioInviato: 17/02/2013, 14:50 
Avatar utente

Iscritto il: 06/02/2009, 9:03
Messaggi: 6370
Località: Bubano di Mordano (Bologna)
Nome: Augusto Degiovanni
Purtroppo fino ad ora lo studio si è sempre basato sui maschi, poche volte ho visto disegni o foto sugli stili femminili e altro, anche perchè specialmente in questo genere, ma non solo, esteriormente sono specie in pratica difficilmente separabili a livello femminile.

Cita:
Credo comunque che, almeno nei Carabidae, le specie distinguibili solo dai genitali maschili siano quasi sempre vicarianti, e solo eccezionalmente si possano trovare conviventi nello stesso posto, stesso ambiente e stesso periodo.


Non è eccezionale invece trovarle nello stesso periodo, ma solitamente (almeno per quello che ho e abbiamo potuto verificare) due specie dello stesso genere sotto la stessa pietra o medesima zona si diversificano per le dimensioni.

Di esempi te ne potrei fare tanti, ma ti riporto questo che è in sintonia con il post.

Qualche anno fa, sul M.te Cucco, abbiamo trovato sotto la stessa pietra due specie (erano visibili a vista le differenze di dimensione) di Anillus: il virginiae e il florentinus, che come ho riportato poco fa si differenziavano fra loro agevolmente per le dimensioni, una grande il florentinus ed una più piccola il virginiae.

_________________
CIAO :hi: Augusto Degiovanni

http://anthicidaeecarabidae.altervista.org


Top
profilo
 Oggetto del messaggio: Re: Anillus? - Carabidae - Lazio
MessaggioInviato: 17/02/2013, 15:09 
Avatar utente

Iscritto il: 09/11/2010, 19:52
Messaggi: 4518
Località: Brescia
Nome: Luca Bodei
[quote="Daniele Maccapani"]Grazie Luca :birra:
Sinceramente, hai risposto solo in parte alla mia domanda... Probabilmente però, mi sono spiegato male io :oops:
Intendevo... Mettiamo che trovo un maschio e lo identifico... A quel punto, mi era parso di capire in varie discussioni come questa, diventa ragionevole attribuire alla stessa specie del maschio anche la femmina ignota raccolta nello stesso posto... Cosa che però a me non sembra tanto ragionevole, proprio perchè laddove si è identificata una "specie papabile", ne potrebbero convivere anche altre... :) [quote]


A questo punto a meno che non si faccia un indagine molecolare...credo che ci si debba accontentare di tener la femmine come Anillus sp. oppure tenerle identifficate in base al maschio che vi si trova....e in caso ci siano più di una specie nello stesso luogo,bisogna fare un pò come dice Notoxus,controllarne le dimensioni... :hi: :hi:

_________________
Tc70


Top
profilo
 Oggetto del messaggio: Re: Anillus? - Carabidae - Lazio
MessaggioInviato: 17/02/2013, 16:14 
Avatar utente

Iscritto il: 05/02/2009, 17:31
Messaggi: 9527
Località: milano
Nome: maurizio pavesi
ciao ragazzi

premesso che se due specie conviventi si distinguono con certezza solo dai genitali maschili, o cmq in base a caratteri maschili (ad es. l'ultimo sternite), una volta che basandomi sull'aspetto generale, le dimensioni o altro, io ho attribuito una femmina all'una specie piuttosto che all'altra... voglio vedere chi mi smentisce :mrgreen:

in molti casi, esistono differenze leggere fra le due specie, dimensioni o altro, spesso con valore non assoluto ma cmq utili almeno come indicazione; differenze che possono però essere mascherate dalla variabilità fra una popolazione e un'altra, in particolare, come credo tutti sappiate, una specie tende a presentarsi morfologicamente più variabile dove si trova da sola, che non dove convive con un'altra strettamente affine

quindi, il confronto delle femmine con es. maschi delle due specie della medesima località spesso permette una determinazione, sia pure senza la certezza assoluta; ad es. in varie località delle alpi occidentali convivono due specie di Pterostichus (Oreophilus), morio e yvani, facilmente distinguibili per la conformazione dell'ultimo sternite del maschio, ma le cui femmine sono spesso indicate come non sicuramente determinabili; in generale ho potuto osservare che gli es. di morio hanno i punti delle interstrie elitrali meno numerosi rispetto agli yvani della medesima località, e che il confronto con i maschi dei due permette una determinazione apparentemente attendibile, ma ho i miei dubbi che le differenze resterebbero valide se si considerasse la variabilità complessiva del morio, specie ad ampio areale, in gran parte del quale non convive affatto con l'yvani

_________________
*****************
Immagine maurizio


Top
profilo
 Oggetto del messaggio: Re: Anillus? - Carabidae - Lazio
MessaggioInviato: 17/02/2013, 20:37 
Avatar utente

Iscritto il: 30/12/2009, 22:20
Messaggi: 31564
Località: Roma
Nome: Maurizio Gigli
Quanto scrive Maurizio P. mi sembra più che logico, anzi spesso inevitabile.

Nel senso che, se due specie tanto affini da essere indistinguibili anche all'occhio di uno specialista convivessero nello stesso posto, ambiente e con lo stesso periodo di attività, dovrebbero comunque essere in grado di distinguersi tra loro, altrimenti ci sarebbe un crollo di entrambe le popolazioni a causa di sterili accoppiamenti interspecifici (oppure si fonderebbero in un unico taxon, se non ancora perfettamente separate a livello specifico).
Sicuramente per riconoscersi, in un gruppo come i Carabidae, gran parte del lavoro lo faranno i messaggi chimici, che purtroppo sfuggono alla nostra osservazione, ma è probabile che per questo motivo anche piccole differenze morfologiche tendano ad aumentare nelle popolazioni simpatriche (in alcuni generi di Buprestidae avviene in modo molto evidente, ma questi basano molto più sulla vista il riconoscimento specifico, quindi non è strano che sia così). Anche quanto diceva Augusto circa le differenze di dimensioni di specie affini conviventi rientra in un discorso simile: differenziare le dimensioni equivale a ridurre la competizione, ad esempio per il tipo di prede preferito da ciascuna specie.

Comunque, in questo caso specifico non credo che in un ambiente così uniforme e di ridotta estensione si trovi più di una specie del genere, per cui, se riuscirò finalmente a trovare il maschio (ho un paio di pacchetti di detrito residuo dal lavaggio del terreno effettuato ieri che conto di controllare tra stasera e domani) si dovrebbe avere la quasi certezza della specie anche di queste due femmine (questa e quella di questo autunno).
Quest'ultima l'ho adocchiata ieri mentre era aggrappata ad un pezzetto di detrito vegetale galleggiante nel secchio durante il lavaggio sul posto. Spero di aver raccolto qualche altro esemplare col lavaggio!

_________________
Maurizio Gigli
http://utenti.romascuola.net/bups
http://bup.xoom.it/


Top
profilo
 Oggetto del messaggio: Re: Anillus? - Carabidae - Lazio
MessaggioInviato: 17/02/2013, 22:57 
Avatar utente

Iscritto il: 05/02/2009, 17:31
Messaggi: 9527
Località: milano
Nome: maurizio pavesi
ciao maurizio

credo che il fenomeno descritto non abbia direttamente a che fare con il riconoscimento visivo... anche perché riguarda anche specie cieche :to:

più che altro, credo che due specie, per quanto strettissimamente affini, quando convivono nello stesso ambiente non possano occupare esattamente la stessa nicchia, con una sovrapposizione del 100%, altrimenti una delle due finirebbe per soppiantare l'altra; in qualche modo che a noi sfugge, devono "dividersi" lo spazio potenzialmente disponibile, occupando ciascuna solo una parte delle "sotto-nicchie" dove potrebbe insediarsi se si trovasse lì da sola, e lasciando il resto all'altra

e la specializzazione fisiologica che è alla base di questa scelta "ristretta" di nicchia, più spinta rispetto a quella di una popolazione che non deve convivere con una eterospecifica e può quindi occupare tutte le nicchie disponibili, anche a livello fenotipico si riflette in una variabilità più ridotta; e il fatto che questa derivi da specializzazioni ecologiche leggermente differenti fa sì che anche le variabilità delle due specie siano in qualche modo "divergenti"

_________________
*****************
Immagine maurizio


Top
profilo
 Oggetto del messaggio: Re: Anillus? - Carabidae - Lazio
MessaggioInviato: 18/02/2013, 0:10 
Avatar utente

Iscritto il: 30/12/2009, 22:20
Messaggi: 31564
Località: Roma
Nome: Maurizio Gigli
gomphus ha scritto:
ciao maurizio

credo che il fenomeno descritto non abbia direttamente a che fare con il riconoscimento visivo... anche perché riguarda anche specie cieche :to:

più che altro, credo che due specie, per quanto strettissimamente affini, quando convivono nello stesso ambiente non possano occupare esattamente la stessa nicchia, ....

Quindi il secondo caso che facevo. Sempre di accorgimenti per ridurre la competizione si tratta. Io forse tendo a dare più importanza alle variazioni morfologiche per migliorare le capacità di riconoscimento intraspecifico, perchè mi sono capitati casi in cui avviene in maniera evidente. Mi pare di aver già citato, tempo fa, il caso di Julodis marmottani, verde dove vive da solo, violaceo brunastro scuro dove convive con un'altra specie verde.

_________________
Maurizio Gigli
http://utenti.romascuola.net/bups
http://bup.xoom.it/


Top
profilo
Visualizza ultimi messaggi:  Ordina per  
nuovo argomento
rispondi
Pagina 1 di 1 [ 12 messaggi ]

Tutti gli orari sono UTC + 1 ora [ ora legale ]


Chi c’è in linea

Visitano il forum: Nessuno e 13 ospiti


Non puoi aprire nuovi argomenti
Non puoi rispondere negli argomenti
Non puoi modificare i tuoi messaggi
Non puoi cancellare i tuoi messaggi
Non puoi inviare allegati

Cerca per:
Vai a:  
cron