Benvenuto Ospite

Forum Entomologi Italiani

www.entomologiitaliani.net/forum
 
Oggi è 23/10/2025, 8:30

Tutti gli orari sono UTC + 1 ora [ ora legale ]

Philorhizus crucifer crucifer (P.H. Lucas, 1846) Dettagli della specie

2004 - ITALIA - Sardegna - NU, Corileti Belvì


nuovo argomento
rispondi
Pagina 1 di 1 [ 4 messaggi ]
Autore Messaggio
MessaggioInviato: 07/04/2009, 19:28 
Avatar utente

Iscritto il: 02/02/2009, 23:32
Messaggi: 5645
Località: da Ferrara ad Alghero
Nome: Roberto A. Pantaleoni
Sardegna, Corileti Belvì

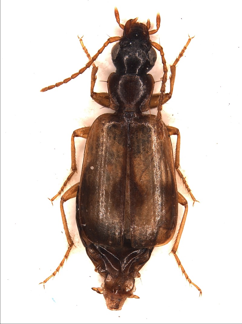
Dromino ?.

Belvì (sito 1); 2004 (data da specificare); fascia trappola; 3,3 mm
Belvì_Corileto_2004_FascTrapp517_3,3mm.jpg




Roberto :to:

_________________
verum stabile cetera fumus


Top
profilo
 Oggetto del messaggio: Re: Carabide 4 - Corileti Belvì
MessaggioInviato: 07/04/2009, 21:03 
Avatar utente

Iscritto il: 06/02/2009, 9:03
Messaggi: 6370
Località: Bubano di Mordano (Bologna)
Nome: Augusto Degiovanni
Sì Roberto è un dromino, e più precisamente il Philorhizus crucifer crucifer (Lucas, 1846)

_________________
CIAO :hi: Augusto Degiovanni

http://anthicidaeecarabidae.altervista.org


Top
profilo
MessaggioInviato: 10/04/2009, 21:32 
Avatar utente

Iscritto il: 02/02/2009, 23:32
Messaggi: 5645
Località: da Ferrara ad Alghero
Nome: Roberto A. Pantaleoni
Anche questo vero ?

Belvì; 24 luglio 2007; fascia trappola; 4 mm
35Belvi_24Lugl07_Fascia_4.jpg



Roberto :to:

_________________
verum stabile cetera fumus


Top
profilo
MessaggioInviato: 10/04/2009, 23:01 
Avatar utente

Iscritto il: 06/02/2009, 9:03
Messaggi: 6370
Località: Bubano di Mordano (Bologna)
Nome: Augusto Degiovanni
Yesss :ok:

Ciao

_________________
CIAO :hi: Augusto Degiovanni

http://anthicidaeecarabidae.altervista.org


Top
profilo
Visualizza ultimi messaggi:  Ordina per  
nuovo argomento
rispondi
Pagina 1 di 1 [ 4 messaggi ]

Tutti gli orari sono UTC + 1 ora [ ora legale ]


Chi c’è in linea

Visitano il forum: Nessuno e 2 ospiti


Non puoi aprire nuovi argomenti
Non puoi rispondere negli argomenti
Non puoi modificare i tuoi messaggi
Non puoi cancellare i tuoi messaggi
Non puoi inviare allegati

Cerca per:
Vai a: