Benvenuto Ospite

Forum Entomologi Italiani

www.entomologiitaliani.net/forum
 
Oggi è 26/10/2025, 8:15

Tutti gli orari sono UTC + 1 ora [ ora legale ]

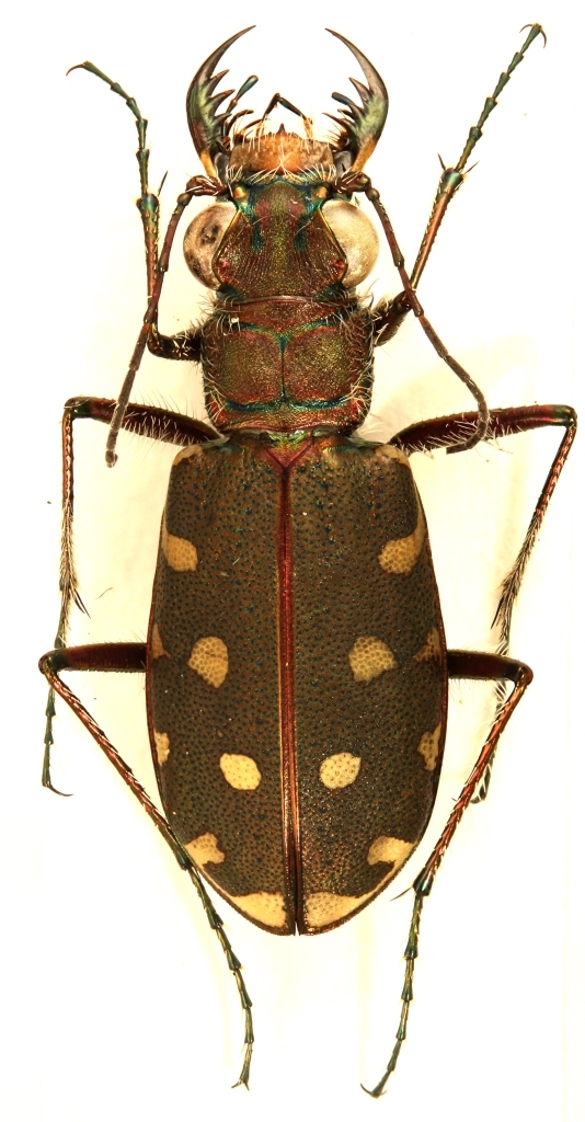
Calomera littoralis nemoralis (Olivier, 1790) - Carabidae Cicindelinae - Corfù

26.IV.2013 - GRECIA - EE, SW Corfù, spiaggia di Alonaki, ovest lago di Korissia


nuovo argomento
rispondi
Pagina 1 di 1 [ 5 messaggi ]
Autore Messaggio
MessaggioInviato: 08/05/2013, 17:26 
Avatar utente

Iscritto il: 08/02/2010, 23:01
Messaggi: 6169
Località: Vicenza
Nome: Silvano Biondi
Numerose sulla spiaggia.
14 mm
rectangle_New-Out99999 - Copia - Copia.jpg

rectangle_New-Out99999 - Copia.jpg



:hi:

_________________



Silvano


Top
profilo
 Oggetto del messaggio: Re: Cicindelidae 2 - Corfù
MessaggioInviato: 08/05/2013, 19:18 
Avatar utente

Iscritto il: 05/02/2009, 17:44
Messaggi: 2682
Località: Garbagnate Milanese
Nome: Augusto Franzini
L'esperto corcireo (gomphus) sta chissà dove... ma questa dovrebbe essere una Cicindela littoralis...

_________________
Augusto (aug)
Prediction is very difficult, especially about the future (Niels Bohr, fisico)


Top
profilo
 Oggetto del messaggio: Re: Cicindelidae 2 - Corfù
MessaggioInviato: 17/05/2013, 7:45 
Avatar utente

Iscritto il: 08/02/2010, 23:01
Messaggi: 6169
Località: Vicenza
Nome: Silvano Biondi
aug ha scritto:
L'esperto corcireo (gomphus) sta chissà dove

.. dovrebbe essere tornato

:hi:

_________________



Silvano


Top
profilo
 Oggetto del messaggio: Re: Cicindelidae 2 - Corfù
MessaggioInviato: 17/05/2013, 17:53 
Avatar utente

Iscritto il: 05/02/2009, 17:31
Messaggi: 9527
Località: milano
Nome: maurizio pavesi
Calomera littoralis nemoralis (Olivier, 1790)

_________________
*****************
Immagine maurizio


Top
profilo
 Oggetto del messaggio: Re: Cicindelidae 2 - Corfù
MessaggioInviato: 17/05/2013, 17:54 
Avatar utente

Iscritto il: 08/02/2010, 23:01
Messaggi: 6169
Località: Vicenza
Nome: Silvano Biondi
Grazie ad entrambi

:hi:

_________________



Silvano


Top
profilo
Visualizza ultimi messaggi:  Ordina per  
nuovo argomento
rispondi
Pagina 1 di 1 [ 5 messaggi ]

Tutti gli orari sono UTC + 1 ora [ ora legale ]


Chi c’è in linea

Visitano il forum: Nessuno e 5 ospiti


Non puoi aprire nuovi argomenti
Non puoi rispondere negli argomenti
Non puoi modificare i tuoi messaggi
Non puoi cancellare i tuoi messaggi
Non puoi inviare allegati

Cerca per:
Vai a: