Benvenuto Ospite

Forum Entomologi Italiani

www.entomologiitaliani.net/forum
 
Oggi è 06/11/2025, 10:09

Tutti gli orari sono UTC + 1 ora [ ora legale ]

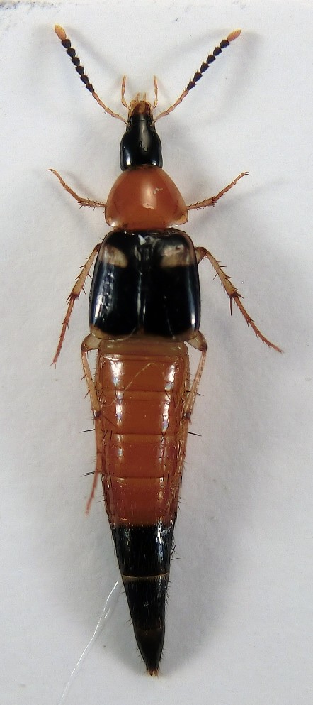
Lordithon (Bolitobus) lunulatus (Linnaeus, 1760) - Staphylinidae

19.V.2013 - ITALIA - Umbria - PG, Monte Cucco (Sigillo)


nuovo argomento
rispondi
Pagina 1 di 1 [ 9 messaggi ]
Autore Messaggio
MessaggioInviato: 20/05/2013, 21:35 
Avatar utente

Iscritto il: 10/05/2009, 15:30
Messaggi: 7182
Località: Ancona
Nome: Giacomo Giovagnoli
Trovato oggi, 19.V.2013, in una passeggiata di un'oretta sul Monte Cucco (Sigillo, Perugia).

Credo sia un Lordithon ma non mi sembra un L. lunulatus (Linné, 1761) per via dell'estensione della macchia gialla sull'addome...

Dimensioni: 8mm
CIMG0556.jpg



Ciao :)

_________________
Immagine Giacomo


Top
profilo
MessaggioInviato: 21/05/2013, 9:30 
Avatar utente

Iscritto il: 04/02/2009, 17:49
Messaggi: 5510
Località: Cagliari
Nome: Daniele Sechi
Giacomo le stai facendo tu queste foto?

_________________
:hi:
Daniele


Top
profilo
MessaggioInviato: 21/05/2013, 18:33 
Avatar utente

Iscritto il: 23/06/2010, 19:05
Messaggi: 2588
Località: Pescara
Nome: Alessio Morelli
Bellissimo! :o , un'altra "tipologia" di Staphylinide che non avevo mai visto da nessuna parte.
In che modo l'ha trovato?

Daniele Sechi ha scritto:
Giacomo le stai facendo tu queste foto?

Oramai lui e lo zio si sono fusi insieme in un'unica entità :gh: ... non si riesce più a capire.
Fatto sta che le foto sono sempre stupende!


Top
profilo
MessaggioInviato: 21/05/2013, 19:33 
Avatar utente

Iscritto il: 10/05/2009, 15:30
Messaggi: 7182
Località: Ancona
Nome: Giacomo Giovagnoli
Quando non specificato le foto le ho fatte io...
con una COMPATTINA...
e non è stato fatto alcuno stacking! E' una singola foto!!! :gh:

O meglio, è una modalità della mia macchinetta [CASIO Exilim ZR200] che scatta 5/6 foto a raffica su vari piani e le sovrappone come uno stacking molto elementare!
http://it.exilim.eu/it/exilimzrserie/exzr200/

Quado mi si è rotta l'altra macchinetta, mi sono ingegnato su quale acquistare e mi sono subito interessato a questa funzione. Devo dire che mi ha sorpreso molto positivamente! :o

Ciao :)

_________________
Immagine Giacomo


Top
profilo
MessaggioInviato: 21/05/2013, 22:05 
Avatar utente

Iscritto il: 04/02/2009, 17:49
Messaggi: 5510
Località: Cagliari
Nome: Daniele Sechi
Molto bella!

_________________
:hi:
Daniele


Top
profilo
MessaggioInviato: 22/05/2013, 2:16 
Avatar utente

Iscritto il: 09/07/2011, 13:43
Messaggi: 2210
Località: Marmirolo (MN)
Nome: Maura Bocci
:no1: :no1: :no1: Staaaaag!!!

...Ok, per questa volta lascio correre, non sarei potuta venire, Zeta-lupo era in convalescenza.
Ma questo lo aggiungo alla lista :hp: , e fammi sapere cosa altro hai trovato, please! :lov3: :lov2: :lov1:

_________________
Maura
(Mitakuye oyasin)


Top
profilo
MessaggioInviato: 22/05/2013, 20:20 
Avatar utente

Iscritto il: 10/05/2009, 15:30
Messaggi: 7182
Località: Ancona
Nome: Giacomo Giovagnoli
Ciao Maura!!! :lov2:

Ti ho pensato, ma è stata una decisione presa la sera prima alle 24.00, e ho dovuto giurare a Sara che sarei stato nel bosco per non più di 90 minuti!!! :lol: :lol1: (il giorno prima ero stato con Alberto e Manlio a Valdicastro :p )
Ha avuto pure troppa pazienza: era in jeans e scarpe da tennis e sprofondava fino al ginocchio nella lettiera di foglie! :gh:

Poca roba:
questi due stafilini, qualche tentredine, cicaline (quella solita nera e rossa), Notiophilus e Amara che verranno postate, P. micans, Molops ovipennis medius, Leistus fulvibarbis e non mi sovviene altro...

Spero che il lupo stia bene!!! :)

_________________
Immagine Giacomo


Top
profilo
MessaggioInviato: 22/05/2013, 23:33 
Avatar utente

Iscritto il: 09/07/2011, 13:43
Messaggi: 2210
Località: Marmirolo (MN)
Nome: Maura Bocci
Grazie Giacomo :lov2: :lov2: :lov2: ...buoni il Molops e i Leistus :ok:

Io ci sono stata ieri in faggeta, di passaggio... un freddo boia, saranno stati 4-5°C, sono ripartita di corsa per non morire assiderata.

Zeta sta bene, ma ha dovuto rinunciare ai gioielli... c'era un valido motivo :( ... per fortuna che già è tornato come nuovo, dice che aspetta i "Fantastici 4" marchigiani per fare una bella passeggiata ;)

:hi:

_________________
Maura
(Mitakuye oyasin)


Top
profilo
MessaggioInviato: 10/11/2013, 18:37 
Avatar utente

Iscritto il: 09/11/2009, 14:12
Messaggi: 5145
Località: Hradec Kralove,Czech republik
Nome: Jan Matějíček
Lordithon (Bolitobus) lunulatus (Linné, 1760)


L lunulatus.jpg


_________________
Research Fields
Taxonomy, ecology, biomonitoring , faunistic of Staphylinidae
Top
profilo
Visualizza ultimi messaggi:  Ordina per  
nuovo argomento
rispondi
Pagina 1 di 1 [ 9 messaggi ]

Tutti gli orari sono UTC + 1 ora [ ora legale ]


Chi c’è in linea

Visitano il forum: Nessuno e 1 ospite


Non puoi aprire nuovi argomenti
Non puoi rispondere negli argomenti
Non puoi modificare i tuoi messaggi
Non puoi cancellare i tuoi messaggi
Non puoi inviare allegati

Cerca per:
Vai a: