Benvenuto Ospite

Forum Entomologi Italiani

www.entomologiitaliani.net/forum
 
Oggi è 27/10/2025, 3:36

Tutti gli orari sono UTC + 1 ora [ ora legale ]

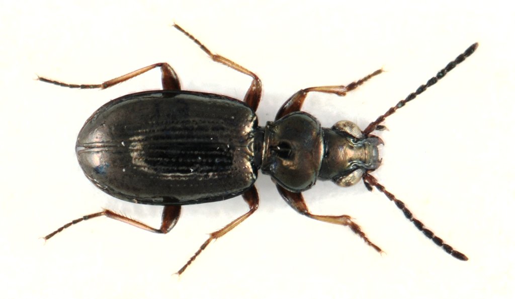
Metallina (s. str.) properans (Stephens, 1828) - Carabidae Trechinae Bembidiini

1.V.2009 - ITALIA - Lazio - VT, Monte Cimino, Vitorchiano, 350m


nuovo argomento
rispondi
Pagina 1 di 1 [ 6 messaggi ]
Autore Messaggio
MessaggioInviato: 09/02/2010, 0:53 
Avatar utente

Iscritto il: 22/05/2009, 21:00
Messaggi: 2774
Località: Pergine Valsugana (TN)
Nome: Andrea Carlin
è un Bembidion (Metallina)? :? :? :?
LAZIO - Monte Cimino 350m/slm, Vitorchiano (VT) 01.V.2009
lunghezza 3,5 mm


Bembidion.jpg


_________________
Andrea Carlin, Pergine Valsugana (TN) carlin.andrea(AT)gmail.com

Nota: tutti gli esemplari inseriti nelle discussioni aperte da me sono da ritenere "Andrea Carlin legit" se non diversamente specificato.
Top
profilo
 Oggetto del messaggio: Re: Bembidino del Monte Cimino (VT)
MessaggioInviato: 09/02/2010, 1:16 
Avatar utente

Iscritto il: 05/02/2009, 17:31
Messaggi: 9527
Località: milano
Nome: maurizio pavesi
ciao andrea

Metallina sp., quasi sicuramente Metallina (s. str.) lampros (Herbst, 1784); per togliere quel "quasi" (l'alternativa è Metallina (s. str.) properans (Stephens, 1828)), dovresti fare una foto di un'elitra di lato, per vedere se esiste una 7a stria, sia pure meno sviluppata delle altre, o se le strie sono solo 6 e al posto della 7a c'è uno spazio del tutto liscio... nel qual caso è un lampros :to:

_________________
*****************
Immagine maurizio


Top
profilo
 Oggetto del messaggio: Re: Bembidino del Monte Cimino (VT)
MessaggioInviato: 09/02/2010, 1:29 
Avatar utente

Iscritto il: 22/05/2009, 21:00
Messaggi: 2774
Località: Pergine Valsugana (TN)
Nome: Andrea Carlin
:hp: Grazie Maurizio!!! Le strie sono 7 (la settima appena percettibile)

Quindi Metallina (s. str.) properans (Stephens, 1828) :birra:

P.S: Metallina è ora ritenuto genere... :hi: :hi: :hi:

_________________
Andrea Carlin, Pergine Valsugana (TN) carlin.andrea(AT)gmail.com

Nota: tutti gli esemplari inseriti nelle discussioni aperte da me sono da ritenere "Andrea Carlin legit" se non diversamente specificato.


Top
profilo
 Oggetto del messaggio: Re: Bembidino del Monte Cimino (VT)
MessaggioInviato: 09/02/2010, 11:15 
Avatar utente

Iscritto il: 05/02/2009, 17:31
Messaggi: 9527
Località: milano
Nome: maurizio pavesi
ciao andrea

se "la settima è appena percettibile" forse sono 6 :) , nel properans la 7a è visibile come una fila di puntini ben distinti, anche se più leggeri e meno estesi posteriormente che nelle strie precedenti

se invece c'è solo un leggero accenno di depressione longitudinale... la 7a non c'è :D

_________________
*****************
Immagine maurizio


Top
profilo
 Oggetto del messaggio: Re: Bembidino del Monte Cimino (VT)
MessaggioInviato: 09/02/2010, 14:44 
Avatar utente

Iscritto il: 22/05/2009, 21:00
Messaggi: 2774
Località: Pergine Valsugana (TN)
Nome: Andrea Carlin
Maurizio, intendevo dire che la settima stria è fatta con una serie di puntini poco visibili (si vedono inclinando l'esemplare e illuminando radialmente).
A prima vista sembrava anche a me "lampros" forse per i primi articoli antennali, più lunghi e con il terzo meno "peloso".... mah! :?

:hi: :hi: :hi:

_________________
Andrea Carlin, Pergine Valsugana (TN) carlin.andrea(AT)gmail.com

Nota: tutti gli esemplari inseriti nelle discussioni aperte da me sono da ritenere "Andrea Carlin legit" se non diversamente specificato.


Top
profilo
 Oggetto del messaggio: Re: Bembidino del Monte Cimino (VT)
MessaggioInviato: 09/02/2010, 18:44 
Avatar utente

Iscritto il: 05/02/2009, 17:31
Messaggi: 9527
Località: milano
Nome: maurizio pavesi
bene, in base a quanto mi dice andrea, nonché al confronto con esemplari di properans e lampros (che ha elitre visibilmente più tozze e ovalari), confermo anch'io

Metallina (s. str.) properans (Stephens, 1828) :hp:

_________________
*****************
Immagine maurizio


Top
profilo
Visualizza ultimi messaggi:  Ordina per  
nuovo argomento
rispondi
Pagina 1 di 1 [ 6 messaggi ]

Tutti gli orari sono UTC + 1 ora [ ora legale ]


Chi c’è in linea

Visitano il forum: Nessuno e 13 ospiti


Non puoi aprire nuovi argomenti
Non puoi rispondere negli argomenti
Non puoi modificare i tuoi messaggi
Non puoi cancellare i tuoi messaggi
Non puoi inviare allegati

Cerca per:
Vai a: