Benvenuto Ospite

Forum Entomologi Italiani

www.entomologiitaliani.net/forum
 
Oggi è 22/12/2025, 21:07

Tutti gli orari sono UTC + 1 ora [ ora legale ]

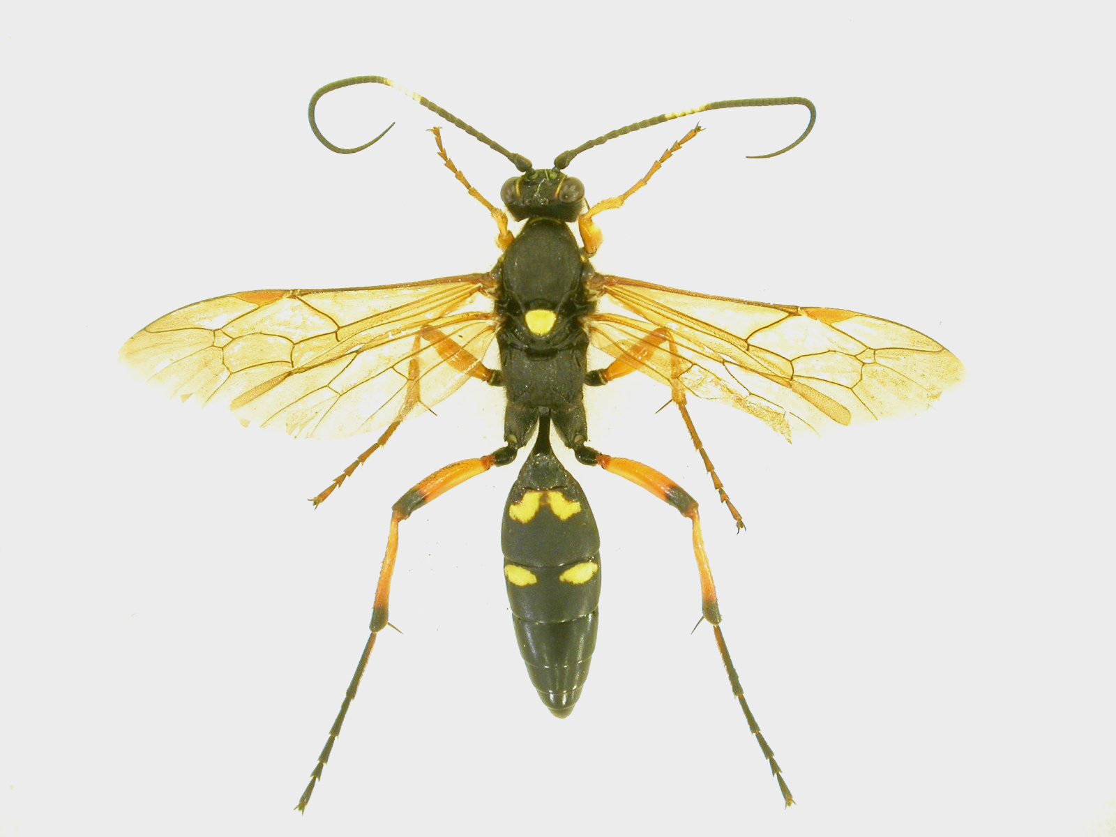
Diphyus quadripunctorius (Müller, 1776) - Ichneumonidae

6.III.2013 - ITALIA - Sardegna - CA, saline di Cagliari, leg. R. Rattu


nuovo argomento
rispondi
Pagina 1 di 1 [ 5 messaggi ]
Autore Messaggio
MessaggioInviato: 06/03/2013, 22:17 
Avatar utente

Iscritto il: 02/09/2009, 20:57
Messaggi: 8703
Località: Cagliari
Nome: Roberto Rattu
Oggi, con una bella giornata soleggiata e brusco rialzo delle temperature, sono usciti i primi imenotteri:questo bell'Ichneumonidae bottinava su fiori di Thapsia; è lungo circa 17 mm:

DSCN3562.jpg



Top
profilo
 Oggetto del messaggio: Re: Ichneumonidae da id.
MessaggioInviato: 12/12/2013, 19:09 
Avatar utente

Iscritto il: 01/07/2010, 22:26
Messaggi: 5650
Località: Viterbo
Nome: Marco Selis
Mi sembra abbastanza caratteristico, non si può arrivare almeno al genere?


Top
profilo
 Oggetto del messaggio: Re: Ichneumonidae da id.
MessaggioInviato: 13/12/2013, 16:35 
Avatar utente

Iscritto il: 06/02/2009, 9:02
Messaggi: 1429
Località: Verona - Roma - Foggia e sporadicamente Padova
Nome: Filippo Di Giovanni
Potrebbe essere un Diphyus quadripunctorius. Meglio avere anche il parere di JP Balmer ;)

_________________
"Non posso separare il piacere estetico che provo nel vedere una farfalla dal piacere scientifico di sapere che cosa è" (V.Nabokov)


Top
profilo
 Oggetto del messaggio: Re: Ichneumonidae da id.
MessaggioInviato: 14/12/2013, 14:44 
Avatar utente

Iscritto il: 22/11/2010, 18:16
Messaggi: 1132
Località: Donzy (Bourgogne : Dipart. Nièvre) - Francia
Nome: Jean-Pierre Balmer
Eopteryx ha scritto:
Potrebbe essere un Diphyus quadripunctorius....)
Saluti,

Yes !
The coloring of the Abdomen is variable because the yellow spots are often reduced, even absentees for 2 first ones.
However the coloring of Tibiae is the best criterion to characterize the species, the black tint of apex of Tibiae 3 can be reduced but is always present.
See http://media.zsm-entomology.de/bfb/hym/ ... _03613.jpg showing well the habitus of this species.

Ciao.
D & JP Balmer


Top
profilo
 Oggetto del messaggio: Re: Ichneumonidae da id.
MessaggioInviato: 14/12/2013, 19:13 
Avatar utente

Iscritto il: 02/09/2009, 20:57
Messaggi: 8703
Località: Cagliari
Nome: Roberto Rattu
Grazie a tutti! :birra:


Top
profilo
Visualizza ultimi messaggi:  Ordina per  
nuovo argomento
rispondi
Pagina 1 di 1 [ 5 messaggi ]

Tutti gli orari sono UTC + 1 ora [ ora legale ]


Chi c’è in linea

Visitano il forum: Nessuno e 0 ospiti


Non puoi aprire nuovi argomenti
Non puoi rispondere negli argomenti
Non puoi modificare i tuoi messaggi
Non puoi cancellare i tuoi messaggi
Non puoi inviare allegati

Cerca per:
Vai a: