Benvenuto Ospite

Forum Entomologi Italiani

www.entomologiitaliani.net/forum
 
Oggi è 07/11/2025, 20:06

Tutti gli orari sono UTC + 1 ora [ ora legale ]

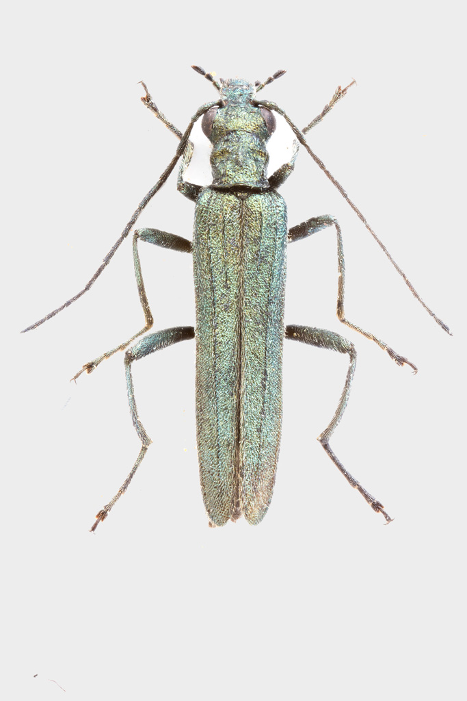
Oedemera (Oedemera) lurida lurida (Marsham, 1802) Dettagli della specie

VI.2013 - ITALIA - Veneto - BL, Feltre: Villapiera


nuovo argomento
rispondi
Pagina 1 di 1 [ 6 messaggi ]
Autore Messaggio
MessaggioInviato: 22/04/2014, 9:05 
Avatar utente

Iscritto il: 08/06/2009, 0:06
Messaggi: 3415
Località: Feltre(BL)
Nome: Nicola Dal Zotto
Questa è l'ultima che resta indeterminata, come sempre foto un po così, ma di riprepararla non mi sembrava il caso... spero si possa dire qualcosa:D:D
Grazie mille, Nicola

2014-04-21-16.38.jpg


_MG_4071-come-oggetto-avanzato-1.jpg


_________________
Nicola Dal Zotto


Top
profilo
 Oggetto del messaggio: Re: oedemeridae
MessaggioInviato: 22/04/2014, 21:09 
 

Iscritto il: 08/12/2013, 1:52
Messaggi: 7535
Località: Bagnacavallo (RA)
Nome: Giorgio Pezzi
Maschio di Oedemera lurida (Marsham, 1802). Si differenziano dai maschi delle altre spp. italiane del gruppo per i metafemori per niente ingrossati. :hi:


Top
profilo
 Oggetto del messaggio: Re: oedemeridae
MessaggioInviato: 22/04/2014, 22:06 
Avatar utente

Iscritto il: 08/06/2009, 0:06
Messaggi: 3415
Località: Feltre(BL)
Nome: Nicola Dal Zotto
Grazie mille!!!!!!!!!!'m

_________________
Nicola Dal Zotto


Top
profilo
MessaggioInviato: 23/04/2014, 7:58 
Avatar utente

Iscritto il: 30/12/2009, 22:20
Messaggi: 31564
Località: Roma
Nome: Maurizio Gigli
Maw89 ha scritto:
come sempre foto un po così,

Come sempre, non direi. Di solito fai molto meglio di così. In realtà, questa mi sembra solo sovraesposta. Stai facendo qualche prova con nuovi sistemi di illuminazione?

(e hai dimenticato il grigio tra le zampe anteriori!)

_________________
Maurizio Gigli
http://utenti.romascuola.net/bups
http://bup.xoom.it/


Top
profilo
MessaggioInviato: 23/04/2014, 9:19 
Avatar utente

Iscritto il: 08/06/2009, 0:06
Messaggi: 3415
Località: Feltre(BL)
Nome: Nicola Dal Zotto
Julodis ha scritto:
Maw89 ha scritto:
come sempre foto un po così,

Come sempre, non direi. Di solito fai molto meglio di così. In realtà, questa mi sembra solo sovraesposta. Stai facendo qualche prova con nuovi sistemi di illuminazione?

(e hai dimenticato il grigio tra le zampe anteriori!)


Qui ho sbagliato a impostare la potenza dei flash, fotografato a 2X ma rimasta come per i 5X ed inoltre sulle foto che sto postando questi giorni sono su materiale già preparato, ma che vorrei togliere dalle scatole magazzino dopo l'insana decisione di tenere una copia per località dei coleotteri della mia provincia. Essendo che il materiale non è preparato come vorrei, faccio le foto un po velocemente e al limite della sovraesposizione per avere già il cartellino bianco, mentre quelle su materiale preparato di fresco le faccio con esposizione corretta, avanzamenti costanti ecc, ma mi chiedono circa mez ora a foto...
tipo questa per esempio, anche se il flash di destra non era proprio messo bene....

_________________
Nicola Dal Zotto


Top
profilo
MessaggioInviato: 23/04/2014, 15:42 
Avatar utente

Iscritto il: 30/12/2009, 22:20
Messaggi: 31564
Località: Roma
Nome: Maurizio Gigli
Quindi ora sei passato all'illuminazione coi flash. Per un po' di tempo l'avevo fatto anche io, e i risultati sono notevoli, ma con le luci fisse è molto più comodo!
Adesso sto progettando un altro tipo di illuminazione. Il risultato potrebbe essere ottimo, oppure disastroso. Appena mi arriverà il materiale (come al solito di provenienza cinese), si vedrà. Se funzionerà, sarà una svolta, sia come prezzo che come comodità d'uso.

_________________
Maurizio Gigli
http://utenti.romascuola.net/bups
http://bup.xoom.it/


Top
profilo
Visualizza ultimi messaggi:  Ordina per  
nuovo argomento
rispondi
Pagina 1 di 1 [ 6 messaggi ]

Tutti gli orari sono UTC + 1 ora [ ora legale ]


Chi c’è in linea

Visitano il forum: Nessuno e 1 ospite


Non puoi aprire nuovi argomenti
Non puoi rispondere negli argomenti
Non puoi modificare i tuoi messaggi
Non puoi cancellare i tuoi messaggi
Non puoi inviare allegati

Cerca per:
Vai a: