Benvenuto Ospite

Forum Entomologi Italiani

www.entomologiitaliani.net/forum
 
Oggi è 22/12/2025, 12:32

Tutti gli orari sono UTC + 1 ora [ ora legale ]

Rhyparochromus spp. - Lygaeidae - Sasso Marconi (BO)

22.II.2010 - ITALIA - Emilia-Romagna - BO, Sasso Marconi - Palazzo Rossi


nuovo argomento
rispondi
Pagina 1 di 1 [ 10 messaggi ]
Autore Messaggio
MessaggioInviato: 25/02/2010, 22:33 
Avatar utente

Iscritto il: 05/02/2009, 17:25
Messaggi: 4894
Località: Zola Predosa (BO)
Nome: Loris Colacurcio
Una bestiola simile mi era già stata determinata, ma....ma non riesco a decidermi per piccole (e meno piccole) differenze a cui la mia ignoranza non può dare spiegazioni. :roll:
Quindi ve li sottopongo per ulteriori indagini...

Rinvenuti insieme ad altri heterotteri in alcune raccolte mirate proprio per queste bestiole, che adesso dovrete sorbirvi :ok:
Questi erano all'interno di un tronco di pioppo, vegeto, ma con una profonda carie basale.

Sasso Marconi (BO) - Palazzo Rossi, 22.II.2010
Heterottero n6 Rhyparochromus (Xanthochilus) saturnius (Rossi, 1790).JPG


Heterottero n6b.JPG


_________________
Loris


Top
profilo
MessaggioInviato: 26/02/2010, 15:01 
Avatar utente

Iscritto il: 10/05/2009, 15:30
Messaggi: 7182
Località: Ancona
Nome: Giacomo Giovagnoli
Quanto era grosso il primo? Sopra i 6,8mm?
Perchè per la forma mi sembra più un Rhyparochromus (Xanthochilus) minusculus... :oops:

Il secondo può essere un Rhyparochromus (Xanthochilus) quadratus ?? :no1:

Ciao :)

_________________
Immagine Giacomo


Top
profilo
MessaggioInviato: 27/02/2010, 0:47 
Avatar utente

Iscritto il: 05/02/2009, 17:25
Messaggi: 4894
Località: Zola Predosa (BO)
Nome: Loris Colacurcio
Adesso non riesco...ti saprò dire, quanto prima.

:hi:

_________________
Loris


Top
profilo
MessaggioInviato: 02/03/2010, 0:28 
Avatar utente

Iscritto il: 31/12/2009, 1:47
Messaggi: 908
Località: Bellano (LC)
Nome: Martino Salvetti
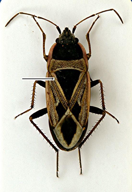
Sono perfettamente d'accordo con Giacomo :) per quanto riguara almeno la prima foto: infatti si vede che la linea di punti del clavus devia decisamente da un andamento rettilineo, diventando una curva verso la parte posteriore. Inoltre la macchia della membrana è evidente.
Non riesco invece a capire l'andamento della fila di punti del clavo nella foto 2......


Top
profilo
MessaggioInviato: 02/03/2010, 19:30 
Avatar utente

Iscritto il: 10/05/2009, 15:30
Messaggi: 7182
Località: Ancona
Nome: Giacomo Giovagnoli
Qual'è la linea del clavus?... :oops: :no1:

_________________
Immagine Giacomo


Top
profilo
MessaggioInviato: 02/03/2010, 23:57 
Avatar utente

Iscritto il: 31/12/2009, 1:47
Messaggi: 908
Località: Bellano (LC)
Nome: Martino Salvetti
Eccola qui


Heterottero n6 Rhyparochromus (Xanthochilus) saturnius (Rossi, 1790).JPG

Top
profilo
MessaggioInviato: 03/03/2010, 0:25 
Avatar utente

Iscritto il: 10/05/2009, 15:30
Messaggi: 7182
Località: Ancona
Nome: Giacomo Giovagnoli
:ok:
Grazie! :D

_________________
Immagine Giacomo


Top
profilo
MessaggioInviato: 03/03/2010, 9:01 
Avatar utente

Iscritto il: 05/02/2009, 17:25
Messaggi: 4894
Località: Zola Predosa (BO)
Nome: Loris Colacurcio
Fortuna che ho riletto i vostri post...mi ero nuovamente dimenticato.

Ecco le misure: il primo è sui 7 mm.
il secondo è 5 mm. appena.

Grazie come sempre..... :birra:

_________________
Loris


Top
profilo
MessaggioInviato: 28/06/2010, 10:54 
Avatar utente

Iscritto il: 05/02/2009, 17:34
Messaggi: 894
Località: Sondrio - Lombardia - Italia
Nome: Paride Dioli
separa le foto, perché si tratta di due specie diverse ;)


Top
profilo
MessaggioInviato: 29/01/2011, 1:53 
Avatar utente

Iscritto il: 31/12/2009, 1:47
Messaggi: 908
Località: Bellano (LC)
Nome: Martino Salvetti
Mi sembra che questa discussione sia rimasta in sospeso e in effetto le due foto andrebbero separate :)

Quello della prima foto, con dimensioni sui 7 mm, è Rhyparochromus saturnius.

Quello della seconda foto sui 5 mm direi che è R. quadratus più che minusculus (dimesnioni simili) perchè la parte nera del clavus è meno estesa e la fila di punti dello steso clavus è meno "curvata".


Top
profilo
Visualizza ultimi messaggi:  Ordina per  
nuovo argomento
rispondi
Pagina 1 di 1 [ 10 messaggi ]

Tutti gli orari sono UTC + 1 ora [ ora legale ]


Chi c’è in linea

Visitano il forum: Nessuno e 0 ospiti


Non puoi aprire nuovi argomenti
Non puoi rispondere negli argomenti
Non puoi modificare i tuoi messaggi
Non puoi cancellare i tuoi messaggi
Non puoi inviare allegati

Cerca per:
Vai a: