Benvenuto Ospite

Forum Entomologi Italiani

www.entomologiitaliani.net/forum
 
Oggi è 26/10/2025, 23:50

Tutti gli orari sono UTC + 1 ora [ ora legale ]

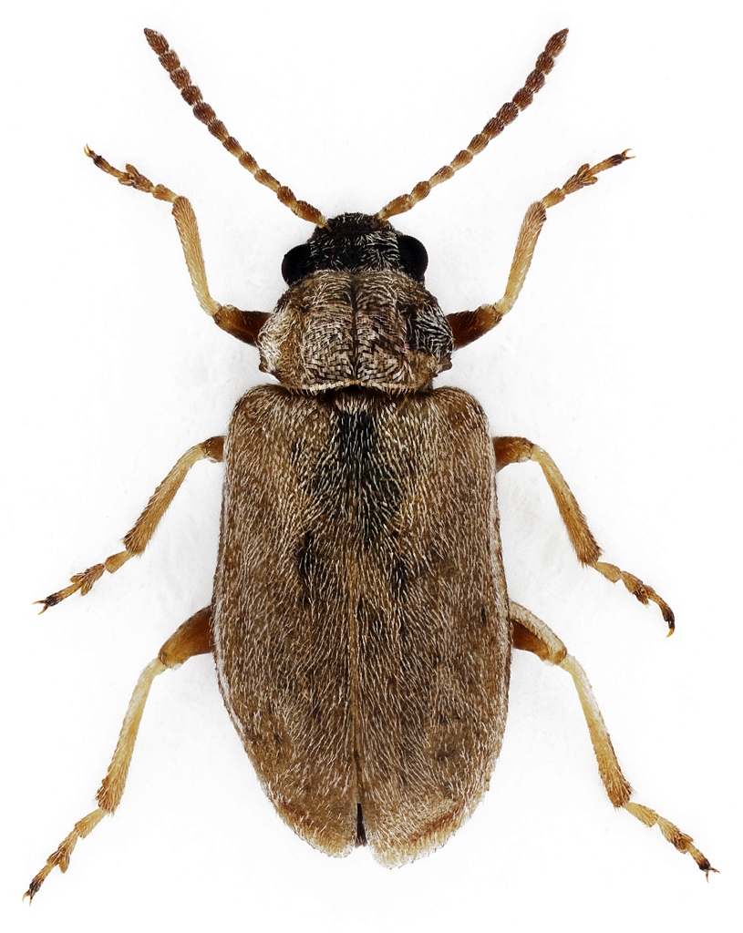
Monoxia obesula Blake, 1939 - Chrysomelidae

22.VIII.2014 - ITALIA - Sardegna - OG, Marina di Tertenia


nuovo argomento
rispondi
Pagina 1 di 1 [ 8 messaggi ]
Autore Messaggio
MessaggioInviato: 09/11/2014, 20:43 
Avatar utente

Iscritto il: 22/05/2009, 21:00
Messaggi: 2774
Località: Pergine Valsugana (TN)
Nome: Andrea Carlin
:hi: Questa volta inserisco una piccola Galerucella di Sardegna... Le antenne corte, il capo nerastro e la pubescenza molto fitta mi sembrano particolari. :roll:
Grazie dell'aiuto in anticipo! :birra:

lunghezza: 3,8 mm
Neogalerucella.jpg



:birra: :birra: :birra:

_________________
Andrea Carlin, Pergine Valsugana (TN) carlin.andrea(AT)gmail.com

Nota: tutti gli esemplari inseriti nelle discussioni aperte da me sono da ritenere "Andrea Carlin legit" se non diversamente specificato.


Top
profilo
MessaggioInviato: 09/11/2014, 23:01 
Avatar utente

Iscritto il: 22/05/2009, 21:00
Messaggi: 2774
Località: Pergine Valsugana (TN)
Nome: Andrea Carlin
Quella che, secondo me (e seguendo le chiavi di Warchalowski), più si avvicina è Galerucella (Neogalerucella) pusilla (Duftschmid, 1825) però..... :roll:
Che ne dite? :?
:hi:

_________________
Andrea Carlin, Pergine Valsugana (TN) carlin.andrea(AT)gmail.com

Nota: tutti gli esemplari inseriti nelle discussioni aperte da me sono da ritenere "Andrea Carlin legit" se non diversamente specificato.


Top
profilo
MessaggioInviato: 09/11/2014, 23:12 
Avatar utente

Iscritto il: 05/02/2009, 17:47
Messaggi: 7252
Località: Cagliari
Nome: Piero Leo
Non sarà mica un'altra Monoxia di origine aliena?

:) Ciao
Piero


Top
profilo
MessaggioInviato: 09/11/2014, 23:42 
Avatar utente

Iscritto il: 05/02/2009, 17:47
Messaggi: 7252
Località: Cagliari
Nome: Piero Leo
Tenebrio ha scritto:
Non sarà mica un'altra Monoxia di origine aliena?

Magari Monoxia angularis?

:) Ciao
Piero


Top
profilo
MessaggioInviato: 10/11/2014, 13:00 
Avatar utente

Iscritto il: 22/05/2009, 21:00
Messaggi: 2774
Località: Pergine Valsugana (TN)
Nome: Andrea Carlin
:shock: Cavoli, potrebbe proprio essere questa: Monoxia obesula Blake, 1939
Non ci avevo pensato..... :oops:
:birra:

_________________
Andrea Carlin, Pergine Valsugana (TN) carlin.andrea(AT)gmail.com

Nota: tutti gli esemplari inseriti nelle discussioni aperte da me sono da ritenere "Andrea Carlin legit" se non diversamente specificato.


Top
profilo
MessaggioInviato: 10/11/2014, 14:14 
Avatar utente

Iscritto il: 05/02/2009, 17:47
Messaggi: 7252
Località: Cagliari
Nome: Piero Leo
Tenebrio ha scritto:
Tenebrio ha scritto:
Non sarà mica un'altra Monoxia di origine aliena?

Magari Monoxia angularis?

:) Ciao
Piero

La forma del pronoto mi sembrava molto diversa, più simile a M. angularis...
Ma sembra essere un genere molto difficile e non ho materiale di confronto.

:) Ciao
Piero


Top
profilo
MessaggioInviato: 12/11/2014, 17:20 
Avatar utente

Iscritto il: 22/05/2009, 21:00
Messaggi: 2774
Località: Pergine Valsugana (TN)
Nome: Andrea Carlin
:birra: Grazie mille Piero.
Ho trovato un lavoro di Doris Holmes Blake "A Study of leconte's types of the beetles in the genus Monoxia, with descriptions of new species" del 1939 (sigh!); in questo però è riportato che la specie "angularis", nonostante sembri la più simile proprio per la conformazione del pronoto, risulta essere fra le più grandi del gen. Monoxia (da 4,5 a 5,3 mm), che ha il terzo articolo antennale che è circa il doppio del quarto e che il capo è chiaro.... :?
Forse è il caso di farla vedere a qualcuno..... :roll:
:hi: :lov2:

_________________
Andrea Carlin, Pergine Valsugana (TN) carlin.andrea(AT)gmail.com

Nota: tutti gli esemplari inseriti nelle discussioni aperte da me sono da ritenere "Andrea Carlin legit" se non diversamente specificato.


Top
profilo
 Oggetto del messaggio: Re: Monoxia sp. - Chrysomelidae
MessaggioInviato: 15/02/2020, 19:17 
Avatar utente

Iscritto il: 22/05/2009, 21:00
Messaggi: 2774
Località: Pergine Valsugana (TN)
Nome: Andrea Carlin
:hi: Ciao a tutti.
Ho scoperto da poco che questo esemplare è stato inserito in un lavoro sulla presenza nel bacino mediterraneo della specie "aliena" Monoxia obesula Blake, 1939 per cui ritengo si possa rinominare il titolo senza indugio.
Grazie mille! :birra:
:hi:

_________________
Andrea Carlin, Pergine Valsugana (TN) carlin.andrea(AT)gmail.com

Nota: tutti gli esemplari inseriti nelle discussioni aperte da me sono da ritenere "Andrea Carlin legit" se non diversamente specificato.


Top
profilo
Visualizza ultimi messaggi:  Ordina per  
nuovo argomento
rispondi
Pagina 1 di 1 [ 8 messaggi ]

Tutti gli orari sono UTC + 1 ora [ ora legale ]


Chi c’è in linea

Visitano il forum: Nessuno e 0 ospiti


Non puoi aprire nuovi argomenti
Non puoi rispondere negli argomenti
Non puoi modificare i tuoi messaggi
Non puoi cancellare i tuoi messaggi
Non puoi inviare allegati

Cerca per:
Vai a: