Benvenuto Ospite

Forum Entomologi Italiani

www.entomologiitaliani.net/forum
 
Oggi è 26/10/2025, 12:24

Tutti gli orari sono UTC + 1 ora [ ora legale ]

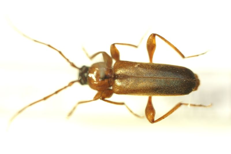
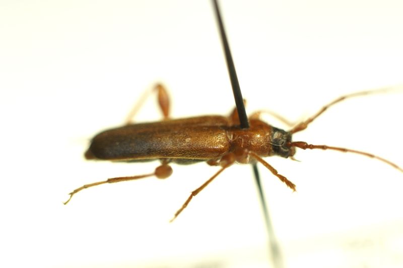
Phymatodes testaceus (Linnaeus, 1758) Dettagli della specie

25.VI.1996 - ITALIA - Toscana - PO, Curcelle


nuovo argomento
rispondi
Pagina 1 di 1 [ 3 messaggi ]
Autore Messaggio
MessaggioInviato: 06/12/2014, 10:26 
 

Iscritto il: 09/08/2013, 15:35
Messaggi: 1260
Nome: Andrea marata
Salve,
...sono al buio.. aiutino?
Grazie
Andrea :hi:
Dimensioni: 1,1 cm


DSC05716.jpg

DSC05715.jpg

DSC05714.jpg

DSC05713.jpg

Top
profilo
 Oggetto del messaggio: Re: Cerambicidae chi?
MessaggioInviato: 06/12/2014, 10:29 
Avatar utente

Iscritto il: 22/12/2009, 13:31
Messaggi: 9646
Località: Napoli
Nome: Francesco Izzillo
Sempre P.testaceus. :hi:

_________________
Francesco Izzillo


Top
profilo
MessaggioInviato: 06/12/2014, 15:10 
 

Iscritto il: 09/08/2013, 15:35
Messaggi: 1260
Nome: Andrea marata
Grazie,
...tutte varianti di colore...
Andrea :hi:


Top
profilo
Visualizza ultimi messaggi:  Ordina per  
nuovo argomento
rispondi
Pagina 1 di 1 [ 3 messaggi ]

Tutti gli orari sono UTC + 1 ora [ ora legale ]


Chi c’è in linea

Visitano il forum: Nessuno e 2 ospiti


Non puoi aprire nuovi argomenti
Non puoi rispondere negli argomenti
Non puoi modificare i tuoi messaggi
Non puoi cancellare i tuoi messaggi
Non puoi inviare allegati

Cerca per:
Vai a: