Benvenuto Ospite

Forum Entomologi Italiani

www.entomologiitaliani.net/forum
 
Oggi è 10/11/2025, 12:41

Tutti gli orari sono UTC + 1 ora [ ora legale ]

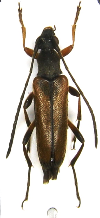
Alosterna tabacicolor (De Geer, 1775) Dettagli della specie

7.VII.2013 - ROMANIA - EE, Violaceau


nuovo argomento
rispondi
Pagina 1 di 1 [ 2 messaggi ]
Autore Messaggio
MessaggioInviato: 19/05/2015, 12:53 
Avatar utente

Iscritto il: 20/11/2009, 0:34
Messaggi: 571
Località: Vignola (Mo)
Nome: Claudio Sola
lo ho avuto in un piccolo lotto di insetti


ROMANIA , Violaceau 7-VII-2013 , 9mm-.JPG


_________________
merlino
Top
profilo
 Oggetto del messaggio: Re: cerambycidae
MessaggioInviato: 26/05/2015, 21:28 
Avatar utente

Iscritto il: 21/05/2009, 14:59
Messaggi: 6994
Località: Parigi
Nome: Riccardo Poloni
Alosterna tabacicolor tabacicolor (De Geer, 1775)

_________________
Riccardo Poloni
La dignità degli elementi
la libertà della poesia,
al di là dei tradimenti degli uomini
è magia, è magia, è magia...
Negrita, Rotolando verso sud


Top
profilo
Visualizza ultimi messaggi:  Ordina per  
nuovo argomento
rispondi
Pagina 1 di 1 [ 2 messaggi ]

Tutti gli orari sono UTC + 1 ora [ ora legale ]


Chi c’è in linea

Visitano il forum: Nessuno e 1 ospite


Non puoi aprire nuovi argomenti
Non puoi rispondere negli argomenti
Non puoi modificare i tuoi messaggi
Non puoi cancellare i tuoi messaggi
Non puoi inviare allegati

Cerca per:
Vai a: