Benvenuto Ospite

Forum Entomologi Italiani

www.entomologiitaliani.net/forum
 
Oggi è 26/10/2025, 13:46

Tutti gli orari sono UTC + 1 ora [ ora legale ]

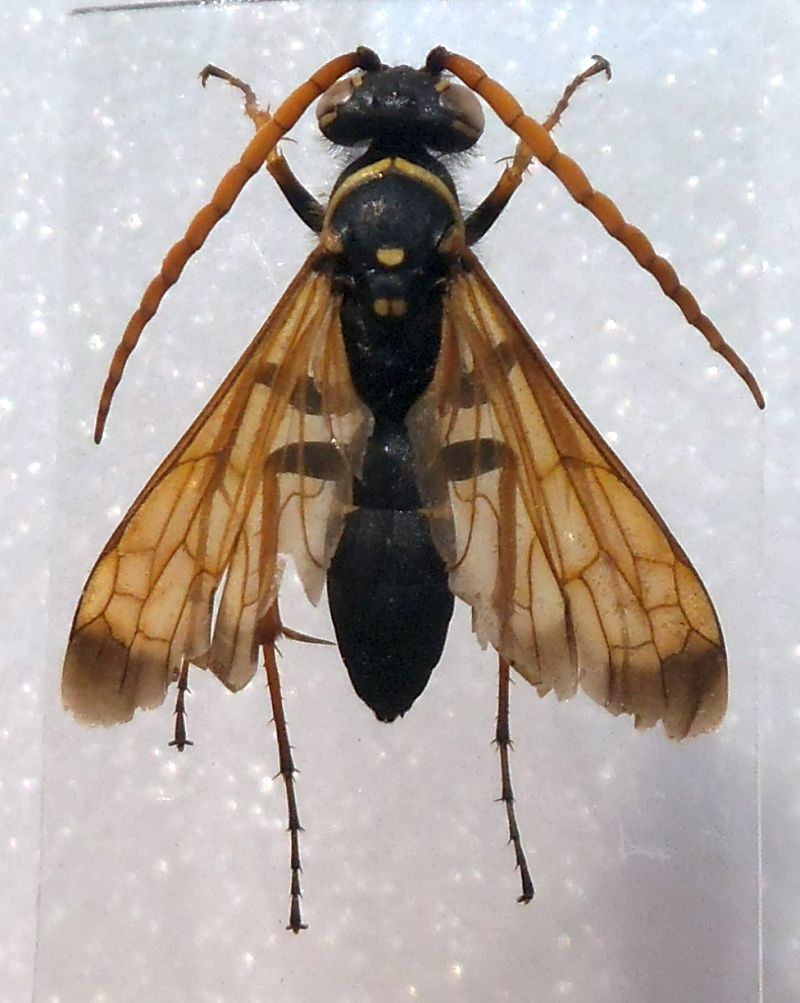
Batozonellus lacerticida (Pallas, 1771) ♂ - Pompilidae

13.VI.2015 - ITALIA - Friuli-Venezia Giulia - UD, dintorni di Sant'Odorico


nuovo argomento
rispondi
Pagina 1 di 1 [ 2 messaggi ]
Autore Messaggio
MessaggioInviato: 12/08/2015, 20:20 
 

Iscritto il: 08/12/2013, 1:52
Messaggi: 7516
Località: Bagnacavallo (RA)
Nome: Giorgio Pezzi
è possibile identificare la specie? mm 12. Grazie!
:hi:
Cryptocheilus (lato).jpg



Cryptocheilus.jpg

Top
profilo
 Oggetto del messaggio: Re: maschio di Cryptocheilus sp. ?
MessaggioInviato: 21/07/2016, 19:49 
 

Iscritto il: 10/07/2010, 14:42
Messaggi: 4780
Nome: Giuseppe Pace
Questo dovrebbe essere il maschio di
Batozonellus lacerticida (Pallas, 1771)

Ciao
Giuseppe


Top
profilo
Visualizza ultimi messaggi:  Ordina per  
nuovo argomento
rispondi
Pagina 1 di 1 [ 2 messaggi ]

Tutti gli orari sono UTC + 1 ora [ ora legale ]


Chi c’è in linea

Visitano il forum: Nessuno e 0 ospiti


Non puoi aprire nuovi argomenti
Non puoi rispondere negli argomenti
Non puoi modificare i tuoi messaggi
Non puoi cancellare i tuoi messaggi
Non puoi inviare allegati

Cerca per:
Vai a: