Benvenuto Ospite

Forum Entomologi Italiani

www.entomologiitaliani.net/forum
 
Oggi è 07/11/2025, 10:03

Tutti gli orari sono UTC + 1 ora [ ora legale ]

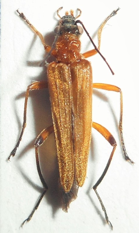
Oedemera (Oedemera) podagrariae podagrariae (Linnaeus, 1767) Dettagli della specie

18.VI.2015 - ITALIA - Lombardia - SO, Val Masino


nuovo argomento
rispondi
Pagina 1 di 1 [ 5 messaggi ]
Autore Messaggio
MessaggioInviato: 19/09/2015, 0:08 
 

Iscritto il: 17/05/2014, 20:49
Messaggi: 375
Località: Prato
Nome: Daniele Totis
Salve,
mi sto chiedendo se questo è un Cerambycidae o meno.
Lungh. mm. 9

Grazie.


DSCN0305.JPG

Top
profilo
 Oggetto del messaggio: Re: Cerambycidae ??
MessaggioInviato: 19/09/2015, 5:18 
 

Iscritto il: 08/12/2013, 1:52
Messaggi: 7535
Località: Bagnacavallo (RA)
Nome: Giorgio Pezzi
No, è una delle varie forme in cui può presentarsi Oedemera podagrariae (Linnaeus, 1767), Oedemeridae. In tal caso femmina, per i femori posteriori non ingrossati.
:hi:


Top
profilo
 Oggetto del messaggio: Re: Cerambycidae ??
MessaggioInviato: 19/09/2015, 7:35 
 

Iscritto il: 17/05/2014, 20:49
Messaggi: 375
Località: Prato
Nome: Daniele Totis
Grazie mille !!
Daniele


Top
profilo
 Oggetto del messaggio: Re: Cerambycidae ??
MessaggioInviato: 21/09/2015, 7:25 
Avatar utente

Iscritto il: 30/12/2009, 22:20
Messaggi: 31564
Località: Roma
Nome: Maurizio Gigli
skip ha scritto:
mi sto chiedendo se questo è un Cerambycidae o meno.

Quando hai dubbi, conta i tarsomeri.
I Cerambycidae sono tetrameri (4-4-4), gli Oedemeridae sono eteromeri (5-5-4).

_________________
Maurizio Gigli
http://utenti.romascuola.net/bups
http://bup.xoom.it/


Top
profilo
MessaggioInviato: 21/09/2015, 17:57 
 

Iscritto il: 17/05/2014, 20:49
Messaggi: 375
Località: Prato
Nome: Daniele Totis
Giusto Maurizio, me n'ero dimenticato, grazie.
Daniele


Top
profilo
Visualizza ultimi messaggi:  Ordina per  
nuovo argomento
rispondi
Pagina 1 di 1 [ 5 messaggi ]

Tutti gli orari sono UTC + 1 ora [ ora legale ]


Chi c’è in linea

Visitano il forum: Nessuno e 0 ospiti


Non puoi aprire nuovi argomenti
Non puoi rispondere negli argomenti
Non puoi modificare i tuoi messaggi
Non puoi cancellare i tuoi messaggi
Non puoi inviare allegati

Cerca per:
Vai a: