Benvenuto Ospite

Forum Entomologi Italiani

www.entomologiitaliani.net/forum
 
Oggi è 27/10/2025, 9:26

Tutti gli orari sono UTC + 1 ora [ ora legale ]

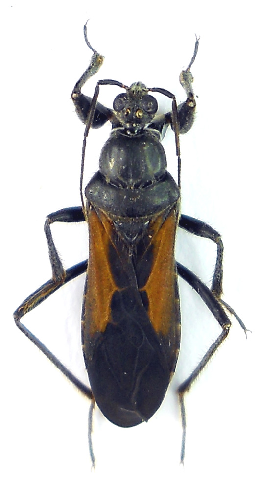
Peirates strepitans Rambur, 1839 - Reduviidae

6.VIII.2015 - ITALIA - Sardegna - OT, Arzachena, Stazzi Sarraiola, Pietro Leo leg.


nuovo argomento
rispondi
Pagina 1 di 1 [ 4 messaggi ]
Autore Messaggio
MessaggioInviato: 11/10/2015, 23:26 
Avatar utente

Iscritto il: 05/02/2009, 17:47
Messaggi: 7252
Località: Cagliari
Nome: Piero Leo
Tra il materiale raccolto da mio figlio nel suo soggiorno lavorativo in Gallura.
Non mi intendo assolutamente di rincoti. Questo potrebbe essere del genere Peirates, ma potrei anche sbagliarmi totalmente; credo comunque che sia una specie abbastanza frequente, perché sicuramente l'ho già vista in varie occasioni.

Lunghezza 12 mm
Reduviidae 1a.jpg



In questa foto si vedono un po' meglio le strie di pubescenza del torace
Reduviidae 1b.jpg



:) Ciao
Piero


Top
profilo
 Oggetto del messaggio: Re: Reduviidae 1
MessaggioInviato: 12/10/2015, 4:54 
Avatar utente

Iscritto il: 21/09/2014, 11:55
Messaggi: 1561
Località: Istanbul Turkey
Nome: Barış
Peirates strepitans :ok:


Top
profilo
 Oggetto del messaggio: Re: Reduviidae 1
MessaggioInviato: 12/10/2015, 19:51 
Avatar utente

Iscritto il: 05/02/2009, 17:47
Messaggi: 7252
Località: Cagliari
Nome: Piero Leo
Grazie Bariş

:) Ciao
Piero


Top
profilo
 Oggetto del messaggio: Re: Reduviidae 1
MessaggioInviato: 11/12/2015, 2:52 
Avatar utente

Iscritto il: 05/02/2009, 17:34
Messaggi: 894
Località: Sondrio - Lombardia - Italia
Nome: Paride Dioli
questa è la forma di colore più frequente. La forma nera è più rara, ma è pure presente in questo forum. :ok:

_________________
Link: https://www.ndsu.edu/pubweb/~rider/Pentatomoidea/Researchers/Dioli_Paride.htm
Papers in PDF format: https://www.researchgate.net/profile/Paride_Dioli/?ev=hdr_xprf/


Top
profilo
Visualizza ultimi messaggi:  Ordina per  
nuovo argomento
rispondi
Pagina 1 di 1 [ 4 messaggi ]

Tutti gli orari sono UTC + 1 ora [ ora legale ]


Chi c’è in linea

Visitano il forum: Nessuno e 2 ospiti


Non puoi aprire nuovi argomenti
Non puoi rispondere negli argomenti
Non puoi modificare i tuoi messaggi
Non puoi cancellare i tuoi messaggi
Non puoi inviare allegati

Cerca per:
Vai a: