Benvenuto Ospite

Forum Entomologi Italiani

www.entomologiitaliani.net/forum
 
Oggi è 27/10/2025, 10:52

Tutti gli orari sono UTC + 1 ora [ ora legale ]

Vesperus luridus (Rossi, 1794) Dettagli della specie

IX.2003 - ITALIA - Puglia - LE, San Foca


nuovo argomento
rispondi
Pagina 1 di 1 [ 11 messaggi ]
Autore Messaggio
MessaggioInviato: 19/05/2009, 21:08 
Avatar utente

Iscritto il: 10/05/2009, 15:30
Messaggi: 7182
Località: Ancona
Nome: Giacomo Giovagnoli
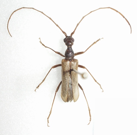
Trovato a San Foca (Lecce) nel Settembre 2003.
Era abbondantissimo!!! :)

Direi maschio di Vesperus luridus... :oops:

vesperus luridus1.JPG



Ciao :)

_________________
Immagine Giacomo


Top
profilo
 Oggetto del messaggio: Re: Vesperus luridus??
MessaggioInviato: 20/05/2009, 8:01 
Avatar utente

Iscritto il: 17/05/2009, 11:39
Messaggi: 254
Località: Luxembourg
Nome: Francesco Vitali
:ok:

_________________
Francesco Vitali


Top
profilo
MessaggioInviato: 25/05/2009, 14:24 
Avatar utente

Iscritto il: 21/05/2009, 14:59
Messaggi: 6994
Località: Parigi
Nome: Riccardo Poloni
scusa Francesco, vorrei farti una domanda riguardo ai Vesperus, la loro biologia è alquanto complicata e, a quanto mi risulta, anche poco studiata, ma, più o meno, sai dirmi quando si dovrebbero incontrare i Vesperus, parlo alla fine del luridus perchè spero poco di trovare uno strepens o uno xatarti :( , ma prima o poi diventerò bravino anch'io, o almeno lo spero :)

_________________
Riccardo Poloni
La dignità degli elementi
la libertà della poesia,
al di là dei tradimenti degli uomini
è magia, è magia, è magia...
Negrita, Rotolando verso sud


Top
profilo
MessaggioInviato: 25/05/2009, 23:30 
Avatar utente

Iscritto il: 17/05/2009, 11:39
Messaggi: 254
Località: Luxembourg
Nome: Francesco Vitali
Non é complicata: é molto logica invece... a breve uscirà un articolo che spiegherà tutto :bln:

Per tornare alla tua richiesta, i luridus (adulti in attività) dovresti trovarli da agosto in poi (i dati della mia collezione dicono fino a inizio ottobre).
Lo strepens lo trovi a giugno-luglio, talvolta a maggio sotto le pietre (ma si tratti di esemplari ancora immaturi), in Provenza e sulle Alpi marittime.
Il ligusticus lo trovi da fine dicembre a fine febbraio sulla costa Ligure, da Sestri Levante fino a Nizza, ma é più difficile da trovare perché d'inverno la stagione é meno propizia e devi centrare una sera senza luna, senza pioggia, senza vento e non troppo fredda... e naturalmente il posto giusto. Anche lui lo trovi sotto le pietre già nei mesi precedenti, immobile e pieno di grasso.
Lo xatarti lo trovi in Spagna nello stesso periodo, oppure in Francia pirenaica a novembre (stessa stagione del ligusticus francese).
In generale, se non sei del posto, non é facile trovarli perché bisogna capitare al momento giusto nel posto giusto e con la luna nuova per sfruttare meglio la luce dei lampioni (sono infatti tutti notturni). :bln:

_________________
Francesco Vitali


Top
profilo
MessaggioInviato: 26/05/2009, 6:36 
Avatar utente

Iscritto il: 02/02/2009, 23:32
Messaggi: 5645
Località: da Ferrara ad Alghero
Nome: Roberto A. Pantaleoni
vitalfranz ha scritto:
In generale, se non sei del posto, non é facile trovarli perché bisogna capitare al momento giusto nel posto giusto e con la luna nuova per sfruttare meglio la luce dei lampioni (sono infatti tutti notturni). :bln:

In generale ... , perché 'ste bestiacce (sia detto con affetto :D ) ogni tanto danno vita a pullulazioni incredibili su vite. In letteratura ne sono riportate parecchie dall'800 in poi. Negli anni '50 si combattevano le larve col paradiclorobenzolo :gh: !

Ciao Roberto :to:

_________________
verum stabile cetera fumus


Top
profilo
MessaggioInviato: 26/05/2009, 14:01 
Avatar utente

Iscritto il: 21/05/2009, 14:59
Messaggi: 6994
Località: Parigi
Nome: Riccardo Poloni
mi ricordo che mio padre li trovava sempre quando aveva ancora una azienda agricola, grazie mille Francesco, non entriamo in tema ligusticus che è meglio, comunque, che si trovassero alla sera lo sapevo, ma che alcuni avessero una comparsa da adulti invernale questo proprio non lo sapevo :sh: , e dopo dicono che i Cerambycidi sono monotoni e che non hanno segreti, comunque proverò a cercarlo, dato che l'hanno già trovato qualche volta nel modenese :)

_________________
Riccardo Poloni
La dignità degli elementi
la libertà della poesia,
al di là dei tradimenti degli uomini
è magia, è magia, è magia...
Negrita, Rotolando verso sud


Top
profilo
MessaggioInviato: 26/05/2009, 21:55 
Avatar utente

Iscritto il: 17/05/2009, 11:39
Messaggi: 254
Località: Luxembourg
Nome: Francesco Vitali
dadopimpi ha scritto:
comunque proverò a cercarlo, dato che l'hanno già trovato qualche volta nel modenese :)

Infatti, io ce ne ho uno di Casinalbo... ma é stato preso il 5 settembre del 1900... (hai letto bene! :) ).
Non so se l'ambiente é ancora lo stesso da quelle parti...


dadopimpi ha scritto:
e dopo dicono che i Cerambycidi sono monotoni e che non hanno segreti

Questo forse é una voce che mette in giro qualcuno delle tue parti per tener lontano in concorrenti ;) ... come puoi vedere da te, sono tutte OO (come sempre ;) )

_________________
Francesco Vitali


Ultima modifica di vitalfranz il 27/05/2009, 8:17, modificato 1 volta in totale.

Top
profilo
MessaggioInviato: 27/05/2009, 6:48 
Avatar utente

Iscritto il: 02/02/2009, 23:32
Messaggi: 5645
Località: da Ferrara ad Alghero
Nome: Roberto A. Pantaleoni
vitalfranz ha scritto:
Infatti, io ce ne ho uno di Casinalbo... ma é stato preso il 5 settembre del 1900... (hai letto bene! :) ).

Legit A. Fiori :D

Roberto :to:

_________________
verum stabile cetera fumus


Top
profilo
MessaggioInviato: 27/05/2009, 8:10 
Avatar utente

Iscritto il: 17/05/2009, 11:39
Messaggi: 254
Località: Luxembourg
Nome: Francesco Vitali
Hemerobius ha scritto:
Legit A. Fiori :D


:ok:

_________________
Francesco Vitali


Top
profilo
MessaggioInviato: 28/05/2009, 14:31 
Avatar utente

Iscritto il: 21/05/2009, 14:59
Messaggi: 6994
Località: Parigi
Nome: Riccardo Poloni
grazie Francesco, le mie parti si sono notevolmente trasformate, Casinalbo ha subito una trasformazione che in vent'anni l'hanno portato ad avere da circa 600 abitanti a adesso che sono più di 5000, puoi sempre fare una visitina quando vieni a entomodena ;) .
La campagna comunque è sempre abbastanza naturale e di insetti ce ne sono un discreto numero, io fino a adesso ho trovato: tre o quattro lepturini: Stictoleptura cordigera, Corimbia sp. e Xylotrechus .... , due o tre specie di Phytoaecia, Agapanthia cardui e Agapanthia villosoviridescens, Phymatodes testaceus (con la legna), sul biancospino :(due specie di molorchini e un lepturino non ancora identificato :? ) , dei Calamobius filum, una Pedostrangalia revestita, e dovrei trovare anche l' Aromia moschata e il Dorcadion arenarium subcarinatum :birra: :)

_________________
Riccardo Poloni
La dignità degli elementi
la libertà della poesia,
al di là dei tradimenti degli uomini
è magia, è magia, è magia...
Negrita, Rotolando verso sud


Top
profilo
MessaggioInviato: 23/07/2010, 7:54 
Avatar utente

Iscritto il: 04/02/2009, 17:49
Messaggi: 5509
Località: Cagliari
Nome: Daniele Sechi
Ho spostato questa discussione tra i Cerambycidae per questo motivo ;)

_________________
:hi:
Daniele


Top
profilo
Visualizza ultimi messaggi:  Ordina per  
nuovo argomento
rispondi
Pagina 1 di 1 [ 11 messaggi ]

Tutti gli orari sono UTC + 1 ora [ ora legale ]


Chi c’è in linea

Visitano il forum: Nessuno e 0 ospiti


Non puoi aprire nuovi argomenti
Non puoi rispondere negli argomenti
Non puoi modificare i tuoi messaggi
Non puoi cancellare i tuoi messaggi
Non puoi inviare allegati

Cerca per:
Vai a: