Benvenuto Ospite

Forum Entomologi Italiani

www.entomologiitaliani.net/forum
 
Oggi è 02/11/2025, 14:43

Tutti gli orari sono UTC + 1 ora [ ora legale ]

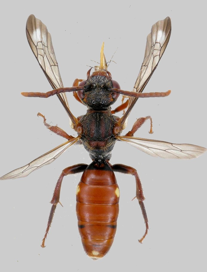
Nomada sp. - Apidae - (BO) Romagna



nuovo argomento
rispondi
Pagina 1 di 1 [ 8 messaggi ]
Autore Messaggio
 Oggetto del messaggio: Nomada sp. - Apidae - (BO) Romagna
MessaggioInviato: 01/05/2010, 18:06 
Avatar utente

Iscritto il: 06/02/2009, 9:03
Messaggi: 6371
Località: Bubano di Mordano (Bologna)
Nome: Augusto Degiovanni
ROMAGNA: Bubano, (BO) loc. La Valletta, 30.IV.2010 Leg. A. Degiovanni

Lunghezza 8 mm

Vespa.jpg



Vespa (2).jpg


_________________
CIAO :hi: Augusto Degiovanni

http://anthicidaeecarabidae.altervista.org


Top
profilo
 Oggetto del messaggio: Re: Imenottero
MessaggioInviato: 01/05/2010, 18:16 
Avatar utente

Iscritto il: 05/02/2009, 17:31
Messaggi: 9527
Località: milano
Nome: maurizio pavesi
ciao augusto

Nomada sp. (Apidae)... una delle circa 190 nostrane :to: !

_________________
*****************
Immagine maurizio


Top
profilo
 Oggetto del messaggio: Re: Imenottero
MessaggioInviato: 01/05/2010, 20:43 
 

Iscritto il: 06/02/2009, 9:05
Messaggi: 2588
Località: Alghero
Nome: Pietro Niolu
La maggior parte delle Nomada con quell'aspetto sono molto piccole, se puoi aggiungi un dettaglio del clipeo e delle spine o setole apicali esterne delle tibie 2 e 3.
Ci provo ma non credo di riuscire a determinarla, posso però inviare le foto all'amico Eric Dufrene che ha una buona esperienza e credo possa determinarla.

_________________
Ciao
Pietro


Top
profilo
 Oggetto del messaggio: Re: Imenottero
MessaggioInviato: 01/05/2010, 21:00 
Avatar utente

Iscritto il: 06/02/2009, 9:02
Messaggi: 1429
Località: Verona - Roma - Foggia e sporadicamente Padova
Nome: Filippo Di Giovanni
Pietro, ma a te interessano queste bestioline ??

Io ne ho qualcuna, se le vuoi te le prendo d'ora in poi...

_________________
"Non posso separare il piacere estetico che provo nel vedere una farfalla dal piacere scientifico di sapere che cosa è" (V.Nabokov)


Top
profilo
 Oggetto del messaggio: Re: Imenottero
MessaggioInviato: 01/05/2010, 23:13 
Avatar utente

Iscritto il: 06/02/2009, 9:03
Messaggi: 6371
Località: Bubano di Mordano (Bologna)
Nome: Augusto Degiovanni
Pietro faccio prima a passarle a Roberto per Modena, così te le tieni ;) :ok:

_________________
CIAO :hi: Augusto Degiovanni

http://anthicidaeecarabidae.altervista.org


Top
profilo
 Oggetto del messaggio: Re: Imenottero
MessaggioInviato: 02/05/2010, 19:25 
 

Iscritto il: 06/02/2009, 9:05
Messaggi: 2588
Località: Alghero
Nome: Pietro Niolu
Grazie Filippo e Giovanni, questi mi interessano moltissimo! Se mi sarà possibile recupererò alcuni ichneumonidi che avevo messo da parte in alcol.

_________________
Ciao
Pietro


Top
profilo
 Oggetto del messaggio: Re: Imenottero
MessaggioInviato: 02/05/2010, 21:01 
Avatar utente

Iscritto il: 06/02/2009, 9:02
Messaggi: 1429
Località: Verona - Roma - Foggia e sporadicamente Padova
Nome: Filippo Di Giovanni
Buono a sapersi. Normalmente evito di prendere Apidi&co. perchè, a parte i bombi, non conosco nessuno a cui interessano. Per "sbaglio", ogni tanto qualcosa va nel tubetto e la conservo. Oltre le Nomada, che ti interessa ?

_________________
"Non posso separare il piacere estetico che provo nel vedere una farfalla dal piacere scientifico di sapere che cosa è" (V.Nabokov)


Top
profilo
 Oggetto del messaggio: Re: Imenottero
MessaggioInviato: 02/05/2010, 23:55 
 

Iscritto il: 06/02/2009, 9:05
Messaggi: 2588
Località: Alghero
Nome: Pietro Niolu
Attualmente mi sto dedicando alle Andrena di taglia medio grande (oltre i 12 mm.), la prossima tappa saranno i Colletes.

_________________
Ciao
Pietro


Top
profilo
Visualizza ultimi messaggi:  Ordina per  
nuovo argomento
rispondi
Pagina 1 di 1 [ 8 messaggi ]

Tutti gli orari sono UTC + 1 ora [ ora legale ]


Chi c’è in linea

Visitano il forum: Nessuno e 0 ospiti


Non puoi aprire nuovi argomenti
Non puoi rispondere negli argomenti
Non puoi modificare i tuoi messaggi
Non puoi cancellare i tuoi messaggi
Non puoi inviare allegati

Cerca per:
Vai a: