Benvenuto Ospite

Forum Entomologi Italiani

www.entomologiitaliani.net/forum
 
Oggi è 12/11/2025, 1:14

Tutti gli orari sono UTC + 1 ora [ ora legale ]

Ocypus picipennis (Fabricius, 1793) - Staphylinidae

17.X.2011 - ITALIA - Abruzzo - AQ, Gran Sasso, Campo Imperatore, 1800 m


nuovo argomento
rispondi
Pagina 1 di 1 [ 12 messaggi ]
Autore Messaggio
MessaggioInviato: 24/10/2011, 20:29 
Avatar utente

Iscritto il: 30/12/2009, 22:20
Messaggi: 31564
Località: Roma
Nome: Maurizio Gigli
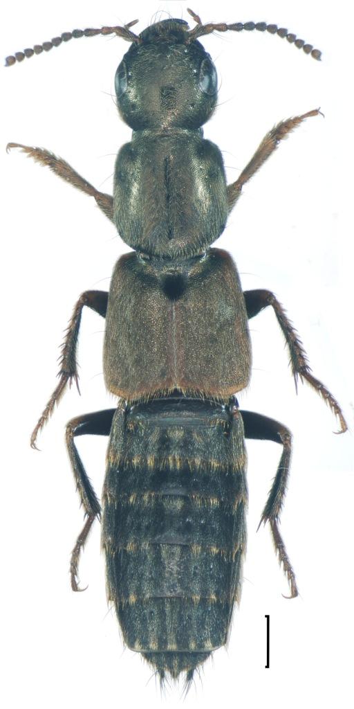
Uno dei pochi coleotteri trovati sotto le pietre col terreno gelato.

Abruzzo, L'Aquila, Campo Imperatore, 1800 m, 17.X.2011, M. Gigli legit

18,5 mm
Staphylinidae_Campo_Imperatore_17-X-2011_18,5mm_grey.jpg


_________________
Maurizio Gigli
http://utenti.romascuola.net/bups
http://bup.xoom.it/


Top
profilo
 Oggetto del messaggio: Re: Staphylinidae - Abruzzo
MessaggioInviato: 04/10/2012, 11:02 
 

Iscritto il: 02/11/2010, 22:33
Messaggi: 990
Nome: Aleksei Kovalev
Ocypus (Pseudocypus) sp.


Top
profilo
MessaggioInviato: 04/10/2012, 13:49 
Avatar utente

Iscritto il: 09/11/2009, 14:12
Messaggi: 5145
Località: Hradec Kralove,Czech republik
Nome: Jan Matějíček
Ocypus (Pseudocypus) aeneocephalus (De Geer, 1774)

_________________
Research Fields
Taxonomy, ecology, biomonitoring , faunistic of Staphylinidae


Top
profilo
MessaggioInviato: 09/10/2012, 15:04 
 

Iscritto il: 06/02/2009, 9:09
Messaggi: 528
Località: Milano
Nome: Nicola Pilon
Confermo Pseudocypus, ma è escluso l'aeneocephalus (che tra l'altro in Italia non esiste, a parte forse in Alto Adige). Mi sembra + un fulvipennis var. confusus, ma non posso essere certo.
Nic


Top
profilo
MessaggioInviato: 09/10/2012, 15:23 
Avatar utente

Iscritto il: 09/11/2009, 14:12
Messaggi: 5145
Località: Hradec Kralove,Czech republik
Nome: Jan Matějíček
Non ho visto fulvipennis var. confusus :oops:


Ocypus (Pseudocypus) fulvipennis Erichson, 1840
Ocypus (Pseudocypus) fulvipennis Erichson, 1840.jpg

Ocypus aeneocephalus (De Geer, 1774)
Ocypus aeneocephalus (De Geer, 1774).jpg


_________________
Research Fields
Taxonomy, ecology, biomonitoring , faunistic of Staphylinidae
Top
profilo
MessaggioInviato: 09/10/2012, 18:48 
Avatar utente

Iscritto il: 09/11/2009, 14:12
Messaggi: 5145
Località: Hradec Kralove,Czech republik
Nome: Jan Matějíček
Löbl,Smetana, 2004


Bez názvu.jpg


_________________
Research Fields
Taxonomy, ecology, biomonitoring , faunistic of Staphylinidae
Top
profilo
MessaggioInviato: 09/09/2017, 16:37 
Avatar utente

Iscritto il: 19/06/2012, 14:35
Messaggi: 5637
Località: Alfonsine (RA)
Nome: Marco Villani
Mi sono imbattuto in questa discussione e ne approfitto per chiedere delucidazioni a Nicola e agli altri esperti.
A quanto leggo nelle chiavi, Ocypus (Pseudocypus) fulvipennis dovrebbe avere il pronoto con punteggiatura uniformemente minuta, a contrario degli altri Pseudocypus italiani dello stesso gruppo, i quali presentano due serie di punti più grossi posti parallelamente ai lati della linea lucida mediana.
Mi sembra che l'esemplare fotografato da Maurizio presenti questi punti, pertanto dovrebbe essere un'altra specie (picipennis, sericeicollis, fortunatarum).
Che ne dite? :roll:
:hi:


Top
profilo
MessaggioInviato: 11/09/2017, 14:00 
 

Iscritto il: 06/02/2009, 9:09
Messaggi: 528
Località: Milano
Nome: Nicola Pilon
Hai ragione con tutta probabilità (anche vedendo la quota) è un P. picipennis.
Nic


Top
profilo
MessaggioInviato: 11/09/2017, 14:44 
Avatar utente

Iscritto il: 19/06/2012, 14:35
Messaggi: 5637
Località: Alfonsine (RA)
Nome: Marco Villani
Grazie Mille :birra: .
Inizio finalmente a capirci qualcosa con questi Pseudocypus :oops: :hp: !
Ne approfitto per un'altra domanda su questo gruppo. Esistono caratteri esterni affidabili per riconoscere il fortunatarum? Nelle chiavi trovo solo riferimenti ai genitali.
Grazie. Marco :hi:


Top
profilo
MessaggioInviato: 16/09/2017, 7:30 
Avatar utente

Iscritto il: 30/12/2009, 22:20
Messaggi: 31564
Località: Roma
Nome: Maurizio Gigli
Grazie per la riapertura di questa vecchia discussione e per la determinazione.

_________________
Maurizio Gigli
http://utenti.romascuola.net/bups
http://bup.xoom.it/


Top
profilo
MessaggioInviato: 18/09/2017, 17:54 
 

Iscritto il: 06/02/2009, 9:09
Messaggi: 528
Località: Milano
Nome: Nicola Pilon
E' un po che non guardo queste bestie, quindi vado a memoria.
Il fortunatarum si può confondere solo col vecchio cupreus (si chiama sericeicollis adesso? Non mi ricordo).
90 exx su 100 si determinano dalla taglia, il fortunatarum è più piccolo e gracile, la pelosità è spesso + folta ma è un carattere meno affidabile.
Per certi exx però si sta tranquilli solo con l'estrazione.
Nic


Top
profilo
MessaggioInviato: 18/09/2017, 18:04 
Avatar utente

Iscritto il: 19/06/2012, 14:35
Messaggi: 5637
Località: Alfonsine (RA)
Nome: Marco Villani
mascalzonepadano ha scritto:
E' un po che non guardo queste bestie, quindi vado a memoria.
Il fortunatarum si può confondere solo col vecchio cupreus (si chiama sericeicollis adesso? Non mi ricordo).
90 exx su 100 si determinano dalla taglia, il fortunatarum è più piccolo e gracile, la pelosità è spesso + folta ma è un carattere meno affidabile.
Per certi exx però si sta tranquilli solo con l'estrazione.
Nic


Grazie mille per la spiegazione :birra: .
Marco.


Top
profilo
Visualizza ultimi messaggi:  Ordina per  
nuovo argomento
rispondi
Pagina 1 di 1 [ 12 messaggi ]

Tutti gli orari sono UTC + 1 ora [ ora legale ]


Chi c’è in linea

Visitano il forum: Nessuno e 0 ospiti


Non puoi aprire nuovi argomenti
Non puoi rispondere negli argomenti
Non puoi modificare i tuoi messaggi
Non puoi cancellare i tuoi messaggi
Non puoi inviare allegati

Cerca per:
Vai a: