Benvenuto Ospite

Forum Entomologi Italiani

www.entomologiitaliani.net/forum
 
Oggi è 27/10/2025, 13:47

Tutti gli orari sono UTC + 1 ora [ ora legale ]

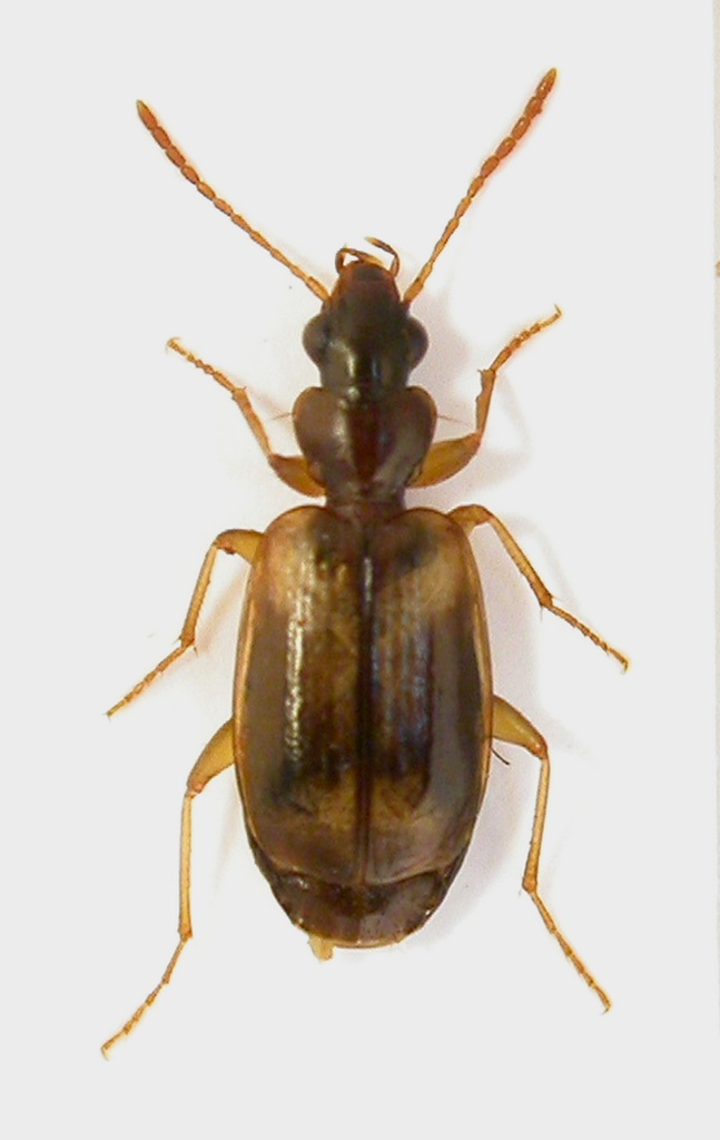
Syntomus lateralis Motschulsky, 1855 - Carabidae

14.V.2017 - MAROCCO - EE, MEKNES-TAFILALT - Erg-Chebbi, 3.8 Km N di Merzouga, R. Rattu leg.


nuovo argomento
rispondi
Pagina 1 di 1 [ 11 messaggi ]
Autore Messaggio
MessaggioInviato: 11/03/2018, 19:09 
Avatar utente

Iscritto il: 02/09/2009, 20:57
Messaggi: 8703
Località: Cagliari
Nome: Roberto Rattu
Esemplare lungo 4.8 mm, raccolto al led ultravioletto:

DSCN3504.JPG


DSCN3500.JPG



Top
profilo
 Oggetto del messaggio: Re: Carabidae da id.
MessaggioInviato: 11/03/2018, 19:46 
Avatar utente

Iscritto il: 05/02/2009, 17:31
Messaggi: 9527
Località: milano
Nome: maurizio pavesi
ciao roberto
a occhio direi Philorhizus (potrebbe anche essere un crucifer :sick: ), prima di andare oltre vediamo di confermarlo; verifica che:

1) il labrum sia liscio, senza una sottile carena longitudinale mediana
2) il 3° articolo delle antenne sia glabro, a parte le setole distali, non pubescente nella metà distale

(in caso contrario è un Calodromius)

p.s. ovviamente ex. singolo :oooner:

_________________
*****************
Immagine maurizio


Top
profilo
 Oggetto del messaggio: Re: Carabidae da id.
MessaggioInviato: 11/03/2018, 20:33 
Avatar utente

Iscritto il: 02/09/2009, 20:57
Messaggi: 8703
Località: Cagliari
Nome: Roberto Rattu
Ciao Maurizio, grazie, confermo labrum liscio e 3° articolo delle antenne glabro (gli antennomeri dal quarto in poi appaiono pubescenti anche nella metà distale).

:hi:


Top
profilo
 Oggetto del messaggio: Re: Carabidae da id.
MessaggioInviato: 11/03/2018, 22:05 
Avatar utente

Iscritto il: 08/05/2010, 22:25
Messaggi: 1462
Località: Milano
Nome: Riccardo Sciaky
Mah, io di Philorhizus non capisco molto, ma a me pare più un Syntomus. Anche nella revisione dei Philorhizus fatta da quel tale, non ricordo bene il nome :D , mi pare che gli edeagi siano ben differenti come struttura. Non c'è un Syntomus proprio di quelle zone che ha una colorazione pallida? Forse S. lateralis?

Saluti ;)

_________________
Riccardo


Top
profilo
 Oggetto del messaggio: Re: Carabidae da id.
MessaggioInviato: 11/03/2018, 22:20 
Avatar utente

Iscritto il: 10/05/2010, 22:31
Messaggi: 4371
Località: Gavorrano (GR)
Nome: marco bastianini
ricdoc57 ha scritto:
Anche nella revisione dei Philorhizus fatta da quel tale, non ricordo bene il nome

:gh: :gh: :gh:

_________________
:to: Marco
"Le foreste a precedere le civiltà, i deserti a seguire."
François-René de Chateaubriand


Top
profilo
 Oggetto del messaggio: Re: Carabidae da id.
MessaggioInviato: 11/03/2018, 22:21 
Avatar utente

Iscritto il: 05/02/2009, 17:31
Messaggi: 9527
Località: milano
Nome: maurizio pavesi
ricdoc57 ha scritto:
Mah, io di Philorhizus non capisco molto, ma a me pare più un Syntomus...

dici :oops: ?

ci sentiamo domani, dal museo

_________________
*****************
Immagine maurizio


Top
profilo
 Oggetto del messaggio: Re: Carabidae da id.
MessaggioInviato: 12/03/2018, 0:17 
Avatar utente

Iscritto il: 08/05/2010, 22:25
Messaggi: 1462
Località: Milano
Nome: Riccardo Sciaky
Da Carabidae of the World. Syntomus lateralis Motschulsky, 1855 del Marocco è fatto così.


Syntomus lateralis.jpg


_________________
Riccardo
Top
profilo
 Oggetto del messaggio: Re: Carabidae da id.
MessaggioInviato: 12/03/2018, 10:38 
Avatar utente

Iscritto il: 05/02/2009, 17:31
Messaggi: 9527
Località: milano
Nome: maurizio pavesi
vedo che il S. lateralis è privo di antenne... quindi non è lui :lol1: :lol1: :lol1:

_________________
*****************
Immagine maurizio


Top
profilo
MessaggioInviato: 12/03/2018, 20:40 
Avatar utente

Iscritto il: 02/09/2009, 20:57
Messaggi: 8703
Località: Cagliari
Nome: Roberto Rattu
Grazie a entrambi :birra:

:hi:


Top
profilo
MessaggioInviato: 12/03/2018, 22:37 
Avatar utente

Iscritto il: 05/02/2009, 17:31
Messaggi: 9527
Località: milano
Nome: maurizio pavesi
Fumea crassiorella ha scritto:
Grazie a entrambi :birra: ...

sì, ma non hai risposto... uno solo, vero :cry: ?

_________________
*****************
Immagine maurizio


Top
profilo
MessaggioInviato: 12/03/2018, 23:50 
Avatar utente

Iscritto il: 02/09/2009, 20:57
Messaggi: 8703
Località: Cagliari
Nome: Roberto Rattu
gomphus ha scritto:
Fumea crassiorella ha scritto:
Grazie a entrambi :birra: ...

sì, ma non hai risposto... uno solo, vero :cry: ?

Eh sì, purtroppo unico :|


Top
profilo
Visualizza ultimi messaggi:  Ordina per  
nuovo argomento
rispondi
Pagina 1 di 1 [ 11 messaggi ]

Tutti gli orari sono UTC + 1 ora [ ora legale ]


Chi c’è in linea

Visitano il forum: Nessuno e 7 ospiti


Non puoi aprire nuovi argomenti
Non puoi rispondere negli argomenti
Non puoi modificare i tuoi messaggi
Non puoi cancellare i tuoi messaggi
Non puoi inviare allegati

Cerca per:
Vai a: