Benvenuto Ospite

Forum Entomologi Italiani

www.entomologiitaliani.net/forum
 
Oggi è 29/10/2025, 0:15

Tutti gli orari sono UTC + 1 ora [ ora legale ]

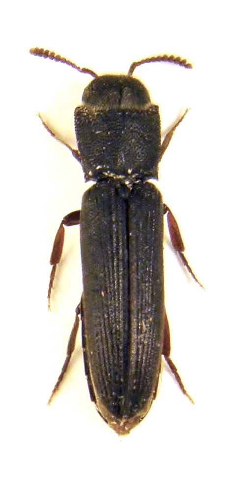
Melasis buprestoides (Linnaeus, 1761) - Eucnemidae

17.I.2019 - ITALIA - Friuli-Venezia Giulia - UD, Tugliezzo


nuovo argomento
rispondi
Pagina 1 di 1 [ 9 messaggi ]
Autore Messaggio
MessaggioInviato: 18/01/2019, 15:54 
Avatar utente

Iscritto il: 24/04/2010, 8:24
Messaggi: 5095
Nome: Lucio Morin
per essere sincero ho faticato molto ad individuare la famiglia e genere di questo coleottero che credo di aver alla fine determinato correttamente come Melasis buprestoides (Linnaeus, 1761) Eucnemidae, vedo sul forum tuttavia che un ex della Liguria ha un cfr. quindi se ce ne sono altri simili lascio a voi l'ultima parola.
Uscito o meglio estratto da legna di nocciolo raccolta in novembre 2018, ho spaccato alcuni rami per vedere se all'interno ci fosse o meno qualcosa e in mezzo ai residui di legno ho intravisto questo piccolino, ne ho trovato poi un altro ex secco e mal ridotto anche nel contenitore significa che era nato da solo....in altri rametti ho trovato anche le larve ( dopo una ricerca sul Web) e quindi non ho proseguito oltre con l'ispezione per non danneggiarle, sono piuttosto sottili e allungate.
dimensione 7,5mm
Ciao Lucio
Melasis buprestoides (4).JPG


_________________
A VOLTE E' MEGLIO TACERE E SEMBRARE STUPIDI CHE APRIR BOCCA E TOGLIERE OGNI DUBBIO Oscar Wilde


Top
profilo
 Oggetto del messaggio: Re: coleottero da det.
MessaggioInviato: 18/01/2019, 19:00 
Avatar utente

Iscritto il: 14/10/2016, 16:39
Messaggi: 437
Località: Settimo Torinese (TO)
Nome: Federico Rosso
Sicuramente è lui :ok:
:hi:

_________________
Federico Rosso

... venite pure con le ragioni e con le dimostrazioni, vostre o di Aristotile, e non con testi e nude autorità, perché i discorsi nostri hanno a essere intorno al mondo sensibile, e non sopra un mondo di carta. (Galileo Galilei)


Top
profilo
 Oggetto del messaggio: Re: coleottero da det.
MessaggioInviato: 18/01/2019, 19:07 
Avatar utente

Iscritto il: 14/10/2016, 16:39
Messaggi: 437
Località: Settimo Torinese (TO)
Nome: Federico Rosso
Agdistis ha scritto:
vedo sul forum tuttavia che un ex della Liguria ha un cfr. quindi se ce ne sono altri simili lascio a voi l'ultima parola.

In realtà dovrebbe essere l'unico Melasis italiano, non capisco il motivo del dubbio sull'esemplare ligure.
:hi:

_________________
Federico Rosso

... venite pure con le ragioni e con le dimostrazioni, vostre o di Aristotile, e non con testi e nude autorità, perché i discorsi nostri hanno a essere intorno al mondo sensibile, e non sopra un mondo di carta. (Galileo Galilei)


Top
profilo
 Oggetto del messaggio: Re: coleottero da det.
MessaggioInviato: 18/01/2019, 19:10 
Avatar utente

Iscritto il: 24/04/2010, 8:24
Messaggi: 5095
Nome: Lucio Morin
:ok: Grazie per la conferma.
Ciao Lucio

_________________
A VOLTE E' MEGLIO TACERE E SEMBRARE STUPIDI CHE APRIR BOCCA E TOGLIERE OGNI DUBBIO Oscar Wilde


Top
profilo
 Oggetto del messaggio: Re: coleottero da det.
MessaggioInviato: 18/01/2019, 23:41 
Avatar utente

Iscritto il: 13/10/2010, 18:21
Messaggi: 1990
Nome: Andrea Liberto
All'esemplare di Liguria, semplicemente, non è stato tolto il cf.

E' stato descritto relativamente di recente Melansis fermini Sanchez-Ruiz & De La Rosa, 2003 , su due maschi e due femmine di Spagna (Guadalajara, Caceres). Sulla validità della specie ho qualche dubbio, ma non si sa mai.

Chi vivrà….


Top
profilo
MessaggioInviato: 19/01/2019, 22:44 
Avatar utente

Iscritto il: 24/04/2010, 8:24
Messaggi: 5095
Nome: Lucio Morin
aggiungo le larve.....
Ciao Lucio
ins 005 (2).jpg

ins 009 (2).jpg


_________________
A VOLTE E' MEGLIO TACERE E SEMBRARE STUPIDI CHE APRIR BOCCA E TOGLIERE OGNI DUBBIO Oscar Wilde


Top
profilo
MessaggioInviato: 20/01/2019, 14:06 
Avatar utente

Iscritto il: 14/10/2016, 16:39
Messaggi: 437
Località: Settimo Torinese (TO)
Nome: Federico Rosso
Bellissime! Non si danneggiano se estratte dal legno, come accade agli affini buprestidi? :roll:
Se non sono inopportuno, mi piacerebbe poterne avere un esemplare :D ci sarai a Modena? Cosa posso darti in cambio?
:birra:

_________________
Federico Rosso

... venite pure con le ragioni e con le dimostrazioni, vostre o di Aristotile, e non con testi e nude autorità, perché i discorsi nostri hanno a essere intorno al mondo sensibile, e non sopra un mondo di carta. (Galileo Galilei)


Top
profilo
MessaggioInviato: 20/01/2019, 14:28 
Avatar utente

Iscritto il: 24/04/2010, 8:24
Messaggi: 5095
Nome: Lucio Morin
Si muoino, escono dai fori /gallerie e non sono più in grado di rientrare, neppure se rimesse tra due pezzi spaccati si adattano a scavare un'altra galleria per questo ho smesso di spaccare i rametti per evitare questo problema.
Ieri ho trovato un maschio quindi ora ho la mia coppia, se nasceranno altre e spero proprio di si te ne riservo alcuni ex.
Ciao Lucio

_________________
A VOLTE E' MEGLIO TACERE E SEMBRARE STUPIDI CHE APRIR BOCCA E TOGLIERE OGNI DUBBIO Oscar Wilde


Top
profilo
MessaggioInviato: 20/01/2019, 14:34 
Avatar utente

Iscritto il: 14/10/2016, 16:39
Messaggi: 437
Località: Settimo Torinese (TO)
Nome: Federico Rosso
Grazie mille! Se possibile tienimi anche un paio di larve in alcool 50%. Fammi sapere come ricambiare :to:
:birra:

_________________
Federico Rosso

... venite pure con le ragioni e con le dimostrazioni, vostre o di Aristotile, e non con testi e nude autorità, perché i discorsi nostri hanno a essere intorno al mondo sensibile, e non sopra un mondo di carta. (Galileo Galilei)


Top
profilo
Visualizza ultimi messaggi:  Ordina per  
nuovo argomento
rispondi
Pagina 1 di 1 [ 9 messaggi ]

Tutti gli orari sono UTC + 1 ora [ ora legale ]


Chi c’è in linea

Visitano il forum: Nessuno e 0 ospiti


Non puoi aprire nuovi argomenti
Non puoi rispondere negli argomenti
Non puoi modificare i tuoi messaggi
Non puoi cancellare i tuoi messaggi
Non puoi inviare allegati

Cerca per:
Vai a: