Benvenuto Ospite

Forum Entomologi Italiani

www.entomologiitaliani.net/forum
 
Oggi è 26/10/2025, 20:02

Tutti gli orari sono UTC + 1 ora [ ora legale ]

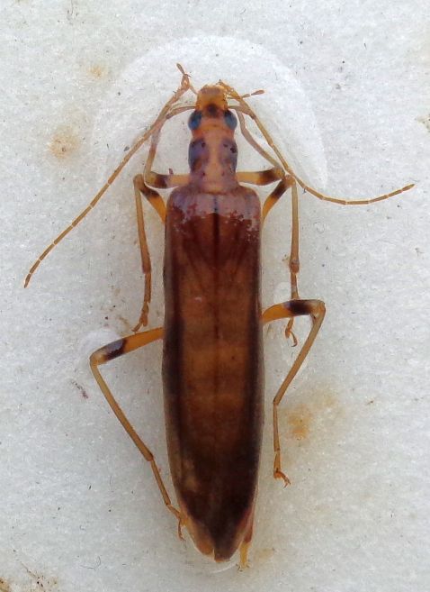
Oedemera (Oncomera) femoralis femoralis Olivier, 1803 Dettagli della specie

19.V.2019 - ITALIA - Toscana - GR, Belagaio, 412 m


nuovo argomento
rispondi
Pagina 1 di 1 [ 7 messaggi ]
Autore Messaggio
MessaggioInviato: 30/05/2019, 20:38 
 

Iscritto il: 08/12/2013, 1:52
Messaggi: 7516
Località: Bagnacavallo (RA)
Nome: Giorgio Pezzi
Alcuni esemplari (qui una femmina) sono stati raccolti in trappole aeree da Nappini Stefano durante il recente Bioblitz organizzato dal Museo di Storia Naturale della Maremma il 18-19 maggio. Foto fatta su petri con alcool.
:hi:
DSC00624.JPG



Top
profilo
MessaggioInviato: 31/05/2019, 0:10 
Avatar utente

Iscritto il: 13/10/2010, 18:21
Messaggi: 1990
Nome: Andrea Liberto
Sempre una bella specie.

Curiosamente, ha una generazione autunnale con individui di minore statura e numericamente più scarsa.

Ne ho pochi esemplari del Gargano, gracilissimi.

A. :hi:


Top
profilo
MessaggioInviato: 31/05/2019, 9:17 
Avatar utente

Iscritto il: 28/05/2009, 16:38
Messaggi: 5020
Nome: luigi lenzini
Mai visto! Probabilmente, non frequenta i fiori, perché era soprattutto lì che avevo fatto foto quel giorno ....


Top
profilo
MessaggioInviato: 31/05/2019, 20:08 
 

Iscritto il: 08/12/2013, 1:52
Messaggi: 7516
Località: Bagnacavallo (RA)
Nome: Giorgio Pezzi
un po' come Nacerdes (Xanthochroa) carniolica, ha attività serale/notturna e frequenta le fioriture solo in tali ore per cui si cattura con trappole aeree o alla luce.
:hi:


Top
profilo
MessaggioInviato: 01/06/2019, 0:39 
Avatar utente

Iscritto il: 13/10/2010, 18:21
Messaggi: 1990
Nome: Andrea Liberto
Soprattutto, come ho potuto constatare battendo giù alcuni esemplari di una specie affine in Grecia, tendono a frequentare i fiori di alberi ed arbusti (Castagno di sicuro, e comunque quel che c'è di fiorito nell'epoca della loro fenologia. Che non è ben nota. In generale, credo, maggio-luglio. Più, come detto, una misteriosa propaggine in settembre-ottobre con esemplari "minori".

La specie di Grecia si batte giù, raramente, dal fogliame basso dei più svariati alberi o arbusti, dove sosta inattiva.

Lo stesso fa Oedemera murinipennis di Creta, inclusa da Svihla tra le "Oncomera", che però ha comportamento "intermedio" tra diurno e notturno. Non dico di più, perché mi piacerebbe prima o poi pubblicare le mie osservazioni in proposito, discretamente dettagliate.

La capsula cranica delle cosiddette "Oncomera" è prolungata quasi come nelle Oedemera diurne (cioè le Oedemera sensu stricto), denotando comunque attitudine floricola. Ma un po' meno, probabilmente perché i fiori degli alberi non hanno vere corolle da penetrare.

Infatti uno dei caratteri che servono a diagnosticare il "sottogenere" Oncomera (credo sia un buon genere, ma opinione personale) è proprio il rapporto tra larghezza della fronte e diametro degli occhi, che si traduce in un maggiore o minore prolungamento del "muso"…. Tecnicismi.

Comunque, bestie ancora misteriosissime. Le sogno, e non svelatemele, vi prego. A.


Top
profilo
MessaggioInviato: 04/06/2019, 20:17 
Avatar utente

Iscritto il: 21/05/2009, 14:59
Messaggi: 6994
Località: Parigi
Nome: Riccardo Poloni
Quest'anno con il caldo assurdo di marzo me ne hanno portata una di Bologna trovata (viva) sotto una pietra. Può darsi che siano già pronte in celletta alla fine dell'estate e sfarfallino anche in autunno. La cosa però è molto interessante! Non lo sapevo. Molto strano per uno xilofago, comunque.

_________________
Riccardo Poloni
La dignità degli elementi
la libertà della poesia,
al di là dei tradimenti degli uomini
è magia, è magia, è magia...
Negrita, Rotolando verso sud


Top
profilo
MessaggioInviato: 13/07/2019, 22:03 
Avatar utente

Iscritto il: 13/10/2010, 18:21
Messaggi: 1990
Nome: Andrea Liberto
Per "una" intendevi una femmina ? Chissà, magari svernano o ci provano.

Gli xilofagi hanno un sacco di "tattiche" che non conosciamo bene (o che almeno io non conosco bene) per fare "volano demografico" e superare i periodacci, che possono avere origini, natura e manifestazioni varie.

Tra i Buprestidae è ben descritta la costante "riserva" di individui che non sfarfallano quando devono, assieme a tutti gli altri, bensì restano quiescenti nella celletta di impupamento per poi comparire la stagione successiva. Una specie di assicurazione. Ne parla Arru nel suo insuperato lavoro sulla biologia di Agrilus suvorovi populneus, più tardi Gobbi a proposito di Agrilus lineola.

Molti di noi che abbiamo fatto allevamenti, abbiamo spesso ottenuto questi esemplari "di riserva" da materiale legnoso già bucherellato dalle schiuse "normali".

Ciao, A.


Top
profilo
Visualizza ultimi messaggi:  Ordina per  
nuovo argomento
rispondi
Pagina 1 di 1 [ 7 messaggi ]

Tutti gli orari sono UTC + 1 ora [ ora legale ]


Chi c’è in linea

Visitano il forum: Nessuno e 0 ospiti


Non puoi aprire nuovi argomenti
Non puoi rispondere negli argomenti
Non puoi modificare i tuoi messaggi
Non puoi cancellare i tuoi messaggi
Non puoi inviare allegati

Cerca per:
Vai a: