Benvenuto Ospite

Forum Entomologi Italiani

www.entomologiitaliani.net/forum
 
Oggi è 06/11/2025, 17:29

Tutti gli orari sono UTC + 1 ora [ ora legale ]

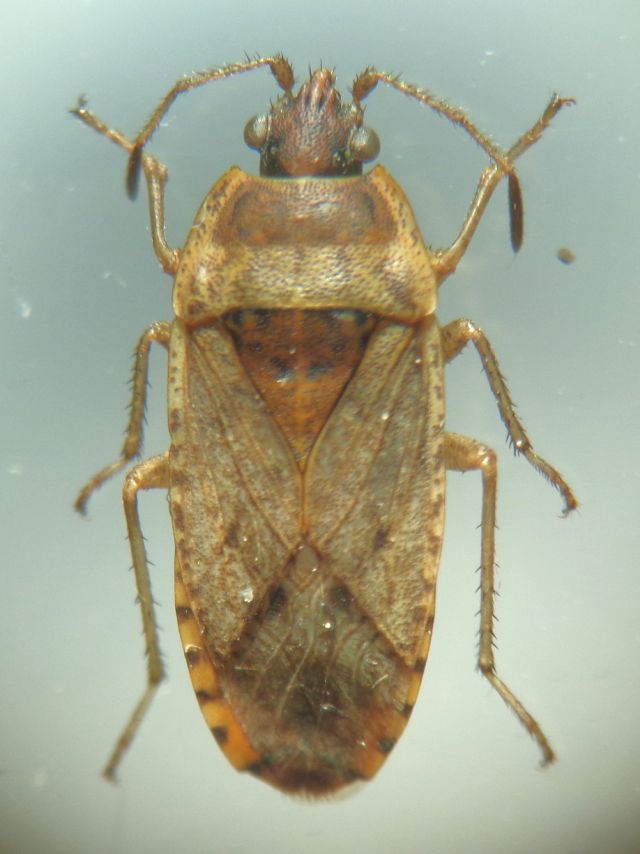
Emblethis denticollis Horvath, 1878 - Lygeidae

15.VI.2019 - ITALIA - Emilia-Romagna - RA, Mezzano, ZPS


nuovo argomento
rispondi
Pagina 1 di 1 [ 10 messaggi ]
Autore Messaggio
MessaggioInviato: 04/12/2019, 13:00 
 

Iscritto il: 08/12/2013, 1:52
Messaggi: 7533
Località: Bagnacavallo (RA)
Nome: Giorgio Pezzi
So che sono complicati per cui ho tentato di evidenziare qualcosa degli apparati interni. mm 6. Grazie per i pareri. :hi:
DSC01541.JPG



DSC01543.JPG

Top
profilo
 Oggetto del messaggio: Re: Emblethis sp. da ID, Lygeidae
MessaggioInviato: 04/12/2019, 14:31 
Avatar utente

Iscritto il: 21/09/2014, 11:55
Messaggi: 1561
Località: Istanbul Turkey
Nome: Barış
We should see the whole pygophore to distinguish close species. Alsa a photo of pronotum from lateral view would be helpful.


Top
profilo
 Oggetto del messaggio: Re: Emblethis sp. da ID, Lygeidae
MessaggioInviato: 04/12/2019, 19:44 
 

Iscritto il: 08/12/2013, 1:52
Messaggi: 7533
Località: Bagnacavallo (RA)
Nome: Giorgio Pezzi
Thanks Baris; i try the best. I also want to show a female, I think, collected in the same sample; it shows different aspect of the lateral view of pronotum, with a anterior lobe protruding toward ventral side, absent in this male: same or different species? :hi:
DSC01570.JPG



DSC01565.JPG

Top
profilo
 Oggetto del messaggio: Re: Emblethis sp. da ID, Lygeidae
MessaggioInviato: 04/12/2019, 19:47 
 

Iscritto il: 08/12/2013, 1:52
Messaggi: 7533
Località: Bagnacavallo (RA)
Nome: Giorgio Pezzi
Here is a female I told above, lateral, underside and upperside view. In Italy there are 7 species:
- angustus (N?, S, Si, Sa)
- brachynotus (N)
- denticollis (N, S, Si, Sa)
- duplicatus (S, Si, Sa)
- griseus (N, S, Si)
- major (S)
- verbasci (N, S, Si, Sa)
:hi:
DSC01561.JPG



DSC01554.JPG

DSC01556.JPG

Top
profilo
 Oggetto del messaggio: Re: Emblethis sp. da ID, Lygeidae
MessaggioInviato: 04/12/2019, 22:05 
Avatar utente

Iscritto il: 21/09/2014, 11:55
Messaggi: 1561
Località: Istanbul Turkey
Nome: Barış
Emblethis denticollis which has a dent in its collum ;)

There is also a 8. species known from Italy which is E. ciliatus.


DSC01561.JPG

Top
profilo
 Oggetto del messaggio: Re: Emblethis sp. da ID, Lygeidae
MessaggioInviato: 04/12/2019, 23:07 
 

Iscritto il: 08/12/2013, 1:52
Messaggi: 7533
Località: Bagnacavallo (RA)
Nome: Giorgio Pezzi
So it is the same species but the male haven't the tooth or male is different species?
Anyway thanks in advance. :hi:


Top
profilo
 Oggetto del messaggio: Re: Emblethis sp. da ID, Lygeidae
MessaggioInviato: 05/12/2019, 18:28 
Avatar utente

Iscritto il: 21/09/2014, 11:55
Messaggi: 1561
Località: Istanbul Turkey
Nome: Barış
Male should also have a dent. Does the male not have a dent?


Top
profilo
 Oggetto del messaggio: Re: Emblethis sp. da ID, Lygeidae
MessaggioInviato: 05/12/2019, 22:45 
 

Iscritto il: 08/12/2013, 1:52
Messaggi: 7533
Località: Bagnacavallo (RA)
Nome: Giorgio Pezzi
No, it hasn't: for lateral view please check last picture before female's ones, and below for underside and frontal view.
The image of pygophore actually shows the last two segments! :hi:
DSC01593.JPG



DSC01589.JPG

Top
profilo
 Oggetto del messaggio: Re: Emblethis sp. da ID, Lygeidae
MessaggioInviato: 06/12/2019, 9:14 
Avatar utente

Iscritto il: 21/09/2014, 11:55
Messaggi: 1561
Località: Istanbul Turkey
Nome: Barış
The male is a rare variant that does not have a dent. But it is still E. denticollis, the pygophore confirms the ID.


Top
profilo
 Oggetto del messaggio: Re: Emblethis sp. da ID, Lygeidae
MessaggioInviato: 06/12/2019, 15:32 
 

Iscritto il: 08/12/2013, 1:52
Messaggi: 7533
Località: Bagnacavallo (RA)
Nome: Giorgio Pezzi
:ok:
:birra:


Top
profilo
Visualizza ultimi messaggi:  Ordina per  
nuovo argomento
rispondi
Pagina 1 di 1 [ 10 messaggi ]

Tutti gli orari sono UTC + 1 ora [ ora legale ]


Chi c’è in linea

Visitano il forum: Nessuno e 1 ospite


Non puoi aprire nuovi argomenti
Non puoi rispondere negli argomenti
Non puoi modificare i tuoi messaggi
Non puoi cancellare i tuoi messaggi
Non puoi inviare allegati

Cerca per:
Vai a: