Benvenuto Ospite

Forum Entomologi Italiani

www.entomologiitaliani.net/forum
 
Oggi è 28/10/2025, 2:37

Tutti gli orari sono UTC + 1 ora [ ora legale ]

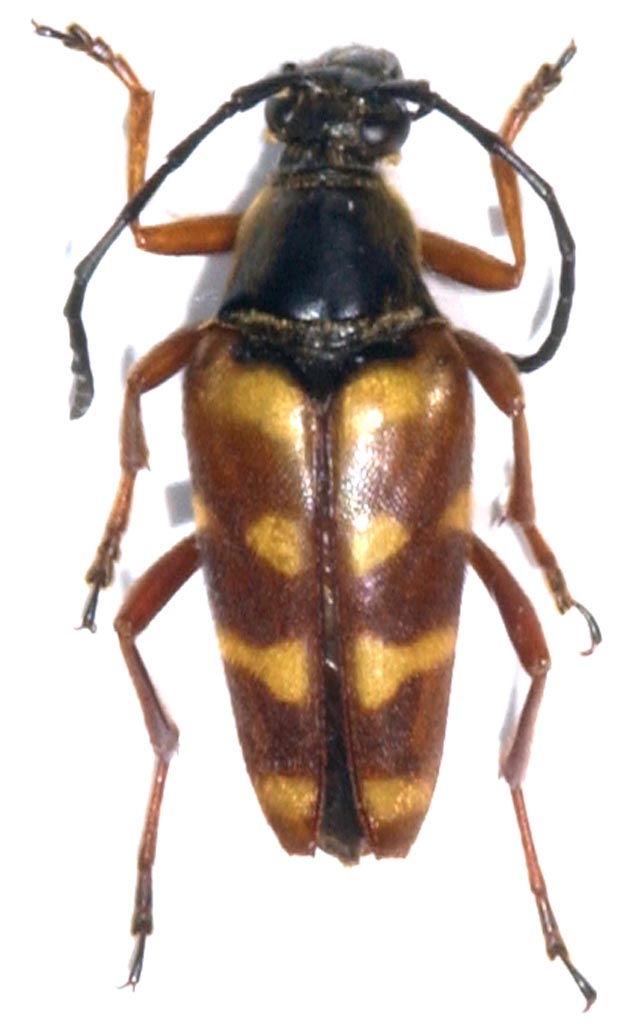
Typocerus velutinus (Olivier, 1795) (cf.) - Cerambycidae

27.VII.2020 - STATI UNITI - EE, Hammond Hill State Forest, Dryden, NY, USA


nuovo argomento
rispondi
Pagina 1 di 1 [ 1 messaggio ]
Autore Messaggio
MessaggioInviato: 12/08/2020, 20:07 
Avatar utente

Iscritto il: 10/02/2018, 9:53
Messaggi: 275
Località: USA
Nome: Andrea Quaroni
Trovata su fiori. Penso sia un Typocerus velutinus ma desidero conferma. Lunghezza circa 12 mm


Typocerus velutinus.jpg

Top
profilo
Visualizza ultimi messaggi:  Ordina per  
nuovo argomento
rispondi
Pagina 1 di 1 [ 1 messaggio ]

Tutti gli orari sono UTC + 1 ora [ ora legale ]


Chi c’è in linea

Visitano il forum: Nessuno e 7 ospiti


Non puoi aprire nuovi argomenti
Non puoi rispondere negli argomenti
Non puoi modificare i tuoi messaggi
Non puoi cancellare i tuoi messaggi
Non puoi inviare allegati

Cerca per:
Vai a:  
cron