Benvenuto Ospite

Forum Entomologi Italiani

www.entomologiitaliani.net/forum
 
Oggi è 06/11/2025, 10:39

Tutti gli orari sono UTC + 1 ora [ ora legale ]

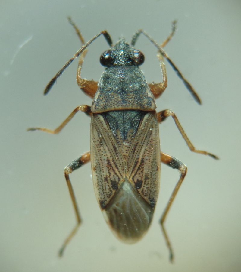
Peritrechus gracilicornis Puton, 1877 - Lygaeidae

14.VII.2017 - ITALIA - Emilia-Romagna - RA, Mezzano (ZPS)


nuovo argomento
rispondi
Pagina 1 di 1 [ 5 messaggi ]
Autore Messaggio
MessaggioInviato: 18/09/2020, 20:53 
 

Iscritto il: 08/12/2013, 1:52
Messaggi: 7533
Località: Bagnacavallo (RA)
Nome: Giorgio Pezzi
mm 5. Grazie.
:hi:
DSC03756.JPG



Top
profilo
 Oggetto del messaggio: Re: Eterottero da ID
MessaggioInviato: 19/09/2020, 7:42 
Avatar utente

Iscritto il: 01/11/2009, 9:51
Messaggi: 2330
Nome: Andrea Rattu
Per me Peritrechus...

_________________
Se gettassi su di un piatto della bilancia tutto ciò che ho imparato a comprendere in quelle ore di meditazione di fronte all'acquario, e sull'altro tutto ciò che ho ricavato dai libri, come rimarrebbe leggero il secondo!
Konrad Lorenz


Top
profilo
 Oggetto del messaggio: Re: Eterottero da ID
MessaggioInviato: 19/09/2020, 11:00 
 

Iscritto il: 08/12/2013, 1:52
Messaggi: 7533
Località: Bagnacavallo (RA)
Nome: Giorgio Pezzi
Allora è un guaio! :) Grazie. :hi:


Top
profilo
 Oggetto del messaggio: Re: Eterottero da ID
MessaggioInviato: 20/09/2020, 11:40 
Avatar utente

Iscritto il: 31/12/2009, 1:47
Messaggi: 902
Località: Bellano (LC)
Nome: Martino Salvetti
Ciao Giorgio, direi che si tratta di un Peritrechis gracilicornis Puton, 1877 con femori chiari, il carattere identificativo che lo separa da P. geniculatus sono le tibie posteriori gialle (oltre alle antenne meno robuste). C'è anche il P. meridionalis che gli somiglia, ma deve avere una chiazza chiara nella porzione anteriore del pronoto, carattere che qui non mi sembra proprio presente. Quindi lo darei per P. gracilicornis. Mi pare che ne avevi già postato uno, si vede che da te hanno le zampe molto chiare. Se riusciamo a vederci in una prossima edizione di Entomodena me lo puoi portare :) :hi:


Top
profilo
 Oggetto del messaggio: Re: Eterottero da ID
MessaggioInviato: 20/09/2020, 21:25 
 

Iscritto il: 08/12/2013, 1:52
Messaggi: 7533
Località: Bagnacavallo (RA)
Nome: Giorgio Pezzi
Grazie Martino! qui viewtopic.php?f=93&t=87875&p=478954#p478954 l'esemplare è lo stesso e me ne ero scordato. Quindi la discussione si può eliminare. Posso portartelo, se e quando...
:hi:


Top
profilo
Visualizza ultimi messaggi:  Ordina per  
nuovo argomento
rispondi
Pagina 1 di 1 [ 5 messaggi ]

Tutti gli orari sono UTC + 1 ora [ ora legale ]


Chi c’è in linea

Visitano il forum: Nessuno e 1 ospite


Non puoi aprire nuovi argomenti
Non puoi rispondere negli argomenti
Non puoi modificare i tuoi messaggi
Non puoi cancellare i tuoi messaggi
Non puoi inviare allegati

Cerca per:
Vai a: