Benvenuto Ospite

Forum Entomologi Italiani

www.entomologiitaliani.net/forum
 
Oggi è 06/11/2025, 16:16

Tutti gli orari sono UTC + 1 ora [ ora legale ]

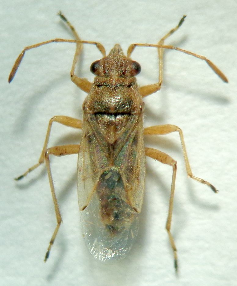
Nysius immunis (Walker, 1872) (cf.) - Lygaeidae

29.VI.2019 - ITALIA - Sicilia - TP, Foce Belìce


nuovo argomento
rispondi
Pagina 1 di 1 [ 2 messaggi ]
Autore Messaggio
MessaggioInviato: 20/12/2020, 22:05 
 

Iscritto il: 08/12/2013, 1:52
Messaggi: 7533
Località: Bagnacavallo (RA)
Nome: Giorgio Pezzi
Credo sia un Nysius e quindi cerco di documentarlo bene: mm 4 ali comprese. Alla luce bianca.
:hi:
DSC05002.JPG



DSC05001.JPG

DSC05014.JPG

DSC05013.JPG

DSC05007.JPG

DSC05012.JPG

Top
profilo
 Oggetto del messaggio: Re: Nysius?
MessaggioInviato: 21/12/2020, 23:36 
 

Iscritto il: 08/12/2013, 1:52
Messaggi: 7533
Località: Bagnacavallo (RA)
Nome: Giorgio Pezzi
Non lo vedrei male come Nysius immunis (Walker, 1872) . :hi:


Top
profilo
Visualizza ultimi messaggi:  Ordina per  
nuovo argomento
rispondi
Pagina 1 di 1 [ 2 messaggi ]

Tutti gli orari sono UTC + 1 ora [ ora legale ]


Chi c’è in linea

Visitano il forum: Nessuno e 2 ospiti


Non puoi aprire nuovi argomenti
Non puoi rispondere negli argomenti
Non puoi modificare i tuoi messaggi
Non puoi cancellare i tuoi messaggi
Non puoi inviare allegati

Cerca per:
Vai a: