Benvenuto Ospite

Forum Entomologi Italiani

www.entomologiitaliani.net/forum
 
Oggi è 05/11/2025, 7:21

Tutti gli orari sono UTC + 1 ora [ ora legale ]

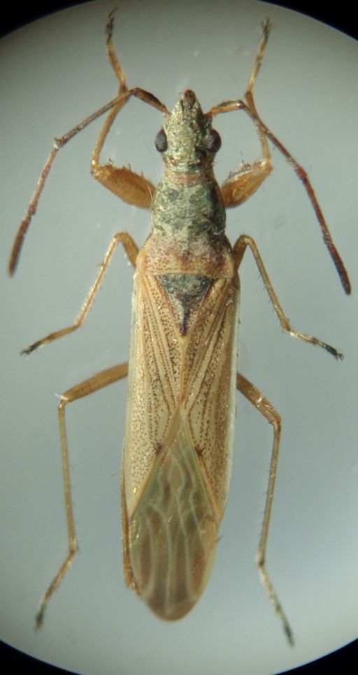
Paromius gracilis (Rambur, 1839) - Lygaeidae

13.VIII.2009 - ITALIA - Emilia-Romagna - RA, Mezzano, ZPS


nuovo argomento
rispondi
Pagina 1 di 1 [ 9 messaggi ]
Autore Messaggio
MessaggioInviato: 27/02/2021, 9:30 
 

Iscritto il: 08/12/2013, 1:52
Messaggi: 7530
Località: Bagnacavallo (RA)
Nome: Giorgio Pezzi
Penso ad un Nabidae: si può dire cos'è? mm 7,5. Grazie.
:hi:
DSC05694.JPG



DSC05692.JPG

DSC05693.JPG

DSC05696.JPG

Top
profilo
 Oggetto del messaggio: Re: Nabidae?
MessaggioInviato: 27/02/2021, 10:02 
Avatar utente

Iscritto il: 01/11/2009, 9:51
Messaggi: 2330
Nome: Andrea Rattu
Ciao Giorgio, ci somiglia parecchio ma è un lygeide, Paromius gracilis.

_________________
Se gettassi su di un piatto della bilancia tutto ciò che ho imparato a comprendere in quelle ore di meditazione di fronte all'acquario, e sull'altro tutto ciò che ho ricavato dai libri, come rimarrebbe leggero il secondo!
Konrad Lorenz


Top
profilo
 Oggetto del messaggio: Re: Nabidae?
MessaggioInviato: 27/02/2021, 12:06 
Avatar utente

Iscritto il: 28/05/2009, 16:38
Messaggi: 5024
Nome: luigi lenzini
Anche a me la prima volta che ne vidi uno mi fece pensare ad un Nabidae. A cosa gli servono le zampe anteriori forti e dentellate?


Top
profilo
 Oggetto del messaggio: Re: Nabidae?
MessaggioInviato: 28/02/2021, 11:31 
 

Iscritto il: 08/12/2013, 1:52
Messaggi: 7530
Località: Bagnacavallo (RA)
Nome: Giorgio Pezzi
Grazie Andrea, sarà carnivoro? :hi:


Top
profilo
 Oggetto del messaggio: Re: Nabidae?
MessaggioInviato: 28/02/2021, 12:38 
Avatar utente

Iscritto il: 01/11/2009, 9:51
Messaggi: 2330
Nome: Andrea Rattu
Pare legato a Poacee, in particolare Andropogon e Imperata.

_________________
Se gettassi su di un piatto della bilancia tutto ciò che ho imparato a comprendere in quelle ore di meditazione di fronte all'acquario, e sull'altro tutto ciò che ho ricavato dai libri, come rimarrebbe leggero il secondo!
Konrad Lorenz


Top
profilo
 Oggetto del messaggio: Re: Nabidae?
MessaggioInviato: 28/02/2021, 13:21 
Avatar utente

Iscritto il: 31/12/2009, 1:47
Messaggi: 902
Località: Bellano (LC)
Nome: Martino Salvetti
In effetti è molto particolare e inequivocabile il mimetismo di questi Lygaeidi con le specie del genere Nabis, predatori; evidentemente frequentano i medesimi ambienti, che sono le erbe di varia altezza tendenzialmente in zone caldo asciutte. La stessa cosa si può dire del mimetismo sempre delle specie del genere Nabis con i Miridae dei generei Stenodema e Notostira.


Top
profilo
 Oggetto del messaggio: Re: Nabidae?
MessaggioInviato: 28/02/2021, 21:38 
 

Iscritto il: 08/12/2013, 1:52
Messaggi: 7530
Località: Bagnacavallo (RA)
Nome: Giorgio Pezzi
Non credo d'aver capito se sia o no carnivoro perchè se non lo è non capisco il vantaggio di mimare un insetto carnivoro (se non per tenerli lontani?). Qualcuno cambia il titolo? Grazie. :hi:


Top
profilo
MessaggioInviato: 07/03/2021, 13:59 
Avatar utente

Iscritto il: 31/12/2009, 1:47
Messaggi: 902
Località: Bellano (LC)
Nome: Martino Salvetti
No Giorgio, e' fitofago. In effetti la domanda sulle zampe anteriori con spine e' interessante, peraltro e' un carattere comune a molte specie di Lygaeidae


Top
profilo
MessaggioInviato: 07/03/2021, 14:01 
Avatar utente

Iscritto il: 31/12/2009, 1:47
Messaggi: 902
Località: Bellano (LC)
Nome: Martino Salvetti
Come dicevo può essere per mimare i caratteri di un predatore, un po' come i sirfidi con le api e le vespe, non ricordo come si chiama questo mimetismo


Top
profilo
Visualizza ultimi messaggi:  Ordina per  
nuovo argomento
rispondi
Pagina 1 di 1 [ 9 messaggi ]

Tutti gli orari sono UTC + 1 ora [ ora legale ]


Chi c’è in linea

Visitano il forum: Nessuno e 1 ospite


Non puoi aprire nuovi argomenti
Non puoi rispondere negli argomenti
Non puoi modificare i tuoi messaggi
Non puoi cancellare i tuoi messaggi
Non puoi inviare allegati

Cerca per:
Vai a: