Benvenuto Ospite

Forum Entomologi Italiani

www.entomologiitaliani.net/forum
 
Oggi è 10/11/2025, 23:58

Tutti gli orari sono UTC + 1 ora [ ora legale ]

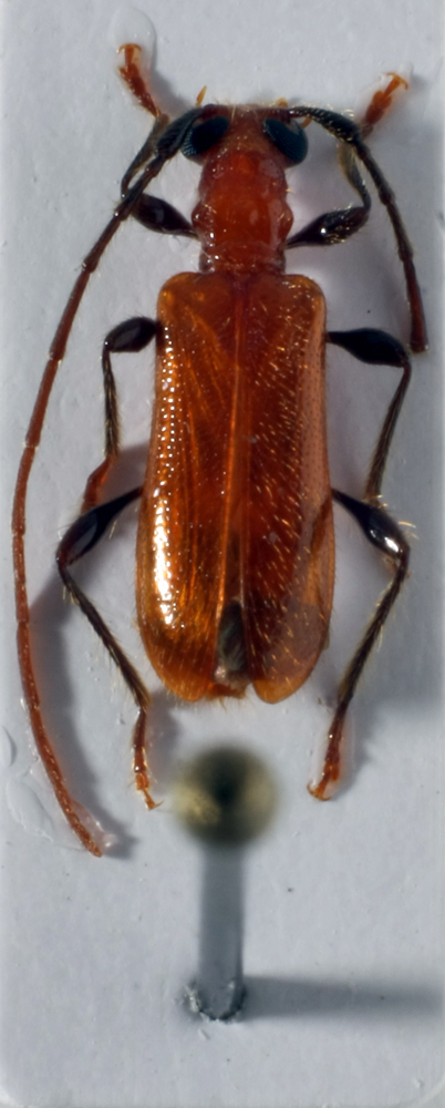
Obrium cantharinum (Linnaeus, 1767) Dettagli della specie

20.VII.2010 - ITALIA - Abruzzo - PE, loc. Cappelle sul Tavo


nuovo argomento
rispondi
Pagina 1 di 1 [ 2 messaggi ]
Autore Messaggio
MessaggioInviato: 20/07/2010, 0:53 
Avatar utente

Iscritto il: 09/06/2009, 13:19
Messaggi: 1229
Località: Modena
Nome: Omar Pacchioni
Quale specie è questo cerambycidae?
raccolto in trappola dolce nei pressi di una quercia e di un pioppo.
20 VII 2010
Loc. Cappelle sul Tavo (PE)


IMG_1404.JPG

IMG_1402.JPG


_________________
..OOOO.......OOO.....OO......OOO......OOOO
OO.....OO....OO..O.O..O....OO....O....OO....O
OO.....OO....OO....O...O....OOOOO....OOOO
..OOOO.......OO.........O....OO....O....OO....O
Top
profilo
MessaggioInviato: 20/07/2010, 7:06 
Avatar utente

Iscritto il: 05/09/2009, 7:56
Messaggi: 3445
Località: Cesena
Nome: Gianfranco Sama
Molto interessante Conan :birra: .

Obrium cantharinum (Linné, 1767)
Se non sbaglio, specie nuova per l'Abruzzo. Probabilmente viene proprio dal pioppo, una delle principali piante ospiti, almeno da noi.

_________________
Gianfranco Sama

"Benedetto colui che ti aiuta a correggere i tuoi errori invece di scagliarteli contro"
___________________________________
Gershom Sholem


Top
profilo
Visualizza ultimi messaggi:  Ordina per  
nuovo argomento
rispondi
Pagina 1 di 1 [ 2 messaggi ]

Tutti gli orari sono UTC + 1 ora [ ora legale ]


Chi c’è in linea

Visitano il forum: Nessuno e 1 ospite


Non puoi aprire nuovi argomenti
Non puoi rispondere negli argomenti
Non puoi modificare i tuoi messaggi
Non puoi cancellare i tuoi messaggi
Non puoi inviare allegati

Cerca per:
Vai a: