Benvenuto Ospite

Forum Entomologi Italiani

www.entomologiitaliani.net/forum
 
Oggi è 13/11/2025, 20:30

Tutti gli orari sono UTC + 1 ora [ ora legale ]

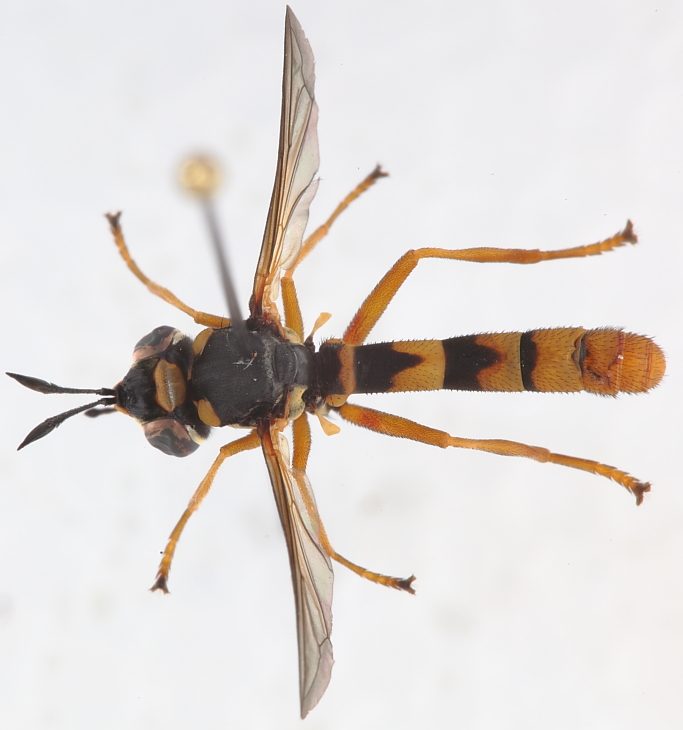
Conops (Conops) vitellinus Loew, 1847 - Conopidae - Toscana, Isola d'Elba

14.X.2010 - ITALIA - Toscana - LI, Portoferraio - Loc. San Giovanni


nuovo argomento
rispondi
Pagina 1 di 1 [ 5 messaggi ]
Autore Messaggio
MessaggioInviato: 16/10/2010, 21:14 
Avatar utente

Iscritto il: 17/02/2009, 0:05
Messaggi: 8521
Località: Isola d'Elba - Arcipelago Toscano
Nome: Leonardo Forbicioni
Portoferraio (LI) - Loc. San Giovanni - 14.X.2010

Immagino che sarà molto difficile arrivare arrivare ad una determinazione........ma era troppo bellina per non mostrarvela!!

Conopidae1.JPG

Conopidae2.JPG

Conopidae3.JPG


_________________
"Stay hungry, stay foolish".
Steve Jobs, 2005
___________________
jjuniper8(at)gmail.com
Twitter: @weevil_forbix
cell. 339/5275910
___________________


Top
profilo
MessaggioInviato: 17/10/2010, 9:14 
Avatar utente

Iscritto il: 02/02/2009, 23:32
Messaggi: 5645
Località: da Ferrara ad Alghero
Nome: Roberto A. Pantaleoni
FORBIX ha scritto:
Immagino che sarà molto difficile arrivare arrivare ad una determinazione........ma era troppo bellina per non mostrarvela!!

Ma allora non hai fiducia in uno dei nostri tanti Maurizi* :?
:gh:

Roberto :to:


* uno dei quali (Gomphus) ci è scomparso :cry:

_________________
verum stabile cetera fumus


Top
profilo
MessaggioInviato: 17/10/2010, 9:37 
Avatar utente

Iscritto il: 06/02/2009, 9:01
Messaggi: 5005
Località: Castel Mella (Brescia)
Nome: Livio Mola
Assomiglia proprio tanto a Conops vitellinus

_________________
L'oca è ritenuto l'animale simbolo della stupidità, a causa delle sciocchezze che gli uomini hanno scritto con le sue penne.


Top
profilo
MessaggioInviato: 15/11/2010, 4:36 
Avatar utente

Iscritto il: 17/02/2009, 0:05
Messaggi: 8521
Località: Isola d'Elba - Arcipelago Toscano
Nome: Leonardo Forbicioni
Visto che Gomphus è finalmente "ricomparso" :hp: :hp: :hp: per "sommo piacere" di tutti noi.....riporto in vista questo bel ditterino!! Semmai Maurizio volgia dargli un'occhiata!!

_________________
"Stay hungry, stay foolish".
Steve Jobs, 2005
___________________
jjuniper8(at)gmail.com
Twitter: @weevil_forbix
cell. 339/5275910
___________________


Top
profilo
MessaggioInviato: 15/11/2010, 16:05 
 

Iscritto il: 06/02/2009, 9:10
Messaggi: 570
Nome: Maurizio Mei
Ma il Maurizio dei conopidi sono io...! :no1: Confermo: è un Conops vitellinus femmina...
Ciao!
Maurizio


Top
profilo
Visualizza ultimi messaggi:  Ordina per  
nuovo argomento
rispondi
Pagina 1 di 1 [ 5 messaggi ]

Tutti gli orari sono UTC + 1 ora [ ora legale ]


Chi c’è in linea

Visitano il forum: Nessuno e 1 ospite


Non puoi aprire nuovi argomenti
Non puoi rispondere negli argomenti
Non puoi modificare i tuoi messaggi
Non puoi cancellare i tuoi messaggi
Non puoi inviare allegati

Cerca per:
Vai a: