Benvenuto Ospite

Forum Entomologi Italiani

www.entomologiitaliani.net/forum
 
Oggi è 04/11/2025, 11:21

Tutti gli orari sono UTC + 1 ora [ ora legale ]

Malachiidae


[ AFROTROPICALE ] [ ANTARTICO ] [ AUSTRALASIANO ] [ NEARTICO ] [ NEOTROPICALE ] [ ORIENTALE ] [ PALEARTICO ]


nuovo argomento
Vai alla pagina Precedente  1 ... 3, 4, 5, 6, 7, 8  Prossimo
Pagina 6 di 8 [ 365 argomenti ]
 Argomenti   Ordine   Autore   Risposte   Visite    Ultimo messaggio 
Annunci
Nessun messaggio da leggere
Allegato(i)
Incontri entomologici telematici organizzati dalla Società Entomologica Italiana nel 2022 e nel 2023

[ Vai alla paginaVai alla pagina: 1, 2, 3 ]

 

Velvet Ant

44

1405802

03/03/2023, 15:55

Velvet Ant Vedi ultimo messaggio

Nessun messaggio da leggere  
Allegato(i)
Sondaggio sul declino dell'entomofauna in Italia

[ Vai alla paginaVai alla pagina: 1, 2, 3, 4 ]

 

Velvet Ant

52

1730341

22/10/2022, 19:18

Acquarius Vedi ultimo messaggio

Nessun messaggio da leggere  
Allegato(i)
Progetto: Bibliografia ragionata dei lavori entomologici nei quali sono citati reperti apparsi su FEI

[ Vai alla paginaVai alla pagina: 1, 2, 3 ]

 

Velvet Ant

33

1152413

06/07/2023, 18:31

Orotrechus Vedi ultimo messaggio

Nessun messaggio da leggere
Allegato(i)
Mimesi, il primo documentario cinematografico sull’entomologia in Italia: casting
 

mazzeip

1

453749

28/02/2019, 20:26

mazzeip Vedi ultimo messaggio

Questo argomento è bloccato, non puoi modificare o inviare ulteriori messaggi.
Allegato(i)
ISTRUZIONI PUBBLICAZIONE NUOVI ARGOMENTI E FOTO

 
Altri Ordini di Insetti

Julodis

4

870255

13/05/2015, 19:37

Julodis Vedi ultimo messaggio

Nessun messaggio da leggere
Allegato(i)
Limitatore giornaliero di messaggi, uno strumento utile e ormai indispensabile

[ Vai alla paginaVai alla pagina: 1 ... 14, 15, 16 ]

 

Velvet Ant

233

8716414

25/09/2014, 14:31

Inachis Vedi ultimo messaggio

Nessun messaggio da leggere  
NORME PER I COLLABORATORI DEL FORUM

 
 

Velvet Ant

0

476716

02/06/2011, 12:05

Velvet Ant Vedi ultimo messaggio

Nessun messaggio da leggere
Allegato(i)
NORME PER GLI UTENTI DEL FORUM

[ Vai alla paginaVai alla pagina: 1, 2, 3 ]



 
 

Velvet Ant

30

2328917

23/09/2014, 23:54

Maurizio Bollino Vedi ultimo messaggio

Nessun messaggio da leggere  
Lista degli utenti del "Forum entomologi italiani" per campi di interesse e specializzazione

 
Altri Ordini di Insetti

Velvet Ant

13

936635

07/09/2023, 17:14

Roberto-07 Vedi ultimo messaggio

Argomenti
Nessun messaggio da leggere
Clanoptilus sp. - Malachiidae
26.V.2011 - TURCHIA - EE
Allegato(i)
Clanoptilus sp. - Malachiidae

26.V.2011 - TURCHIA - EE
Coleoptera

Fumea crassiorella

3

473

19/01/2016, 22:07

gabrif Vedi ultimo messaggio

Nessun messaggio da leggere
Allegato(i)
Malachius ephippiger Redtenbacher, 1843 (cf.) - Malachiidae

26.V.2011 - TURCHIA - EE
Coleoptera

Fumea crassiorella

2

491

19/01/2016, 15:55

Fumea crassiorella Vedi ultimo messaggio

Nessun messaggio da leggere
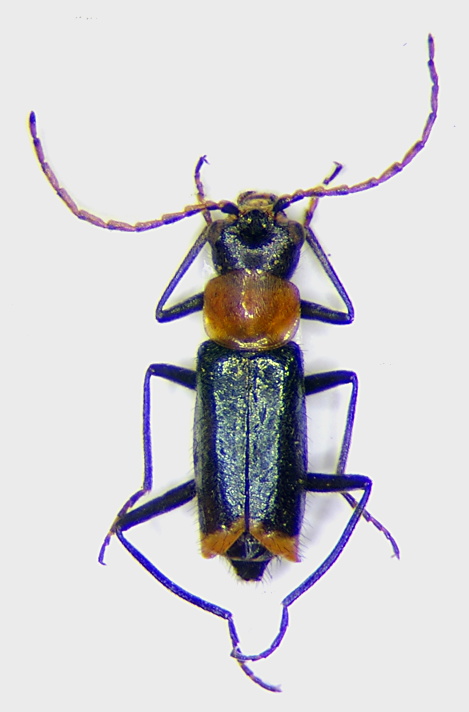
Malachius australis Mulsant & Rey, 1867 - Malachiidae
4.V.2014 - ITALIA - Lombardia - BS
Allegato(i)
Malachius australis Mulsant & Rey, 1867 - Malachiidae

4.V.2014 - ITALIA - Lombardia - BS
Coleoptera

Livio

6

902

17/01/2016, 23:40

Livio Vedi ultimo messaggio

Nessun messaggio da leggere
Allegato(i)
Malachius bipustulatus (Linnaeus, 1758) - Malachiidae

5.VI.2004 - CROAZIA - EE
Coleoptera

gabrif

0

825

17/01/2016, 22:59

gabrif Vedi ultimo messaggio

Nessun messaggio da leggere
Allegato(i)
Malachius bipustulatus (Linnaeus, 1758) - Romania

7.V.2011 - ROMANIA - EE
Coleoptera

alexaandru

2

1272

09/01/2016, 23:55

alexaandru Vedi ultimo messaggio

Nessun messaggio da leggere
Allegato(i)
Malachius bipustulatus (Linnaeus, 1758) ♀ (cf.) - Malachiidae

14.V.2015 - GERMANIA - EE
Coleoptera

gstalker

1

605

08/01/2016, 21:54

gabrif Vedi ultimo messaggio

Nessun messaggio da leggere
Allegato(i)
Malachius australis Mulsant & Rey, 1867 ♀ (cf.) - Malachiidae

16.VI.2013 - ITALIA - Umbria - PG
Coleoptera

andreah

4

673

08/01/2016, 21:45

gabrif Vedi ultimo messaggio

Nessun messaggio da leggere
Anthocomus rufus (Herbst 1784) - Malachiidae
X.2009 - ITALIA - Emilia-Romagna - BO
Allegato(i)
Anthocomus rufus (Herbst 1784) - Malachiidae

X.2009 - ITALIA - Emilia-Romagna - BO
Coleoptera

Loriscola

7

1451

01/01/2016, 22:34

gabrif Vedi ultimo messaggio

Nessun messaggio da leggere
Anthocomus rufus (Herbst 1784) - Malachiidae
29.XI.2011 - ITALIA - Campania - NA
Allegato(i)
Anthocomus rufus (Herbst 1784) - Malachiidae

29.XI.2011 - ITALIA - Campania - NA
Coleoptera

ff57

2

816

01/01/2016, 22:29

gabrif Vedi ultimo messaggio

Nessun messaggio da leggere
Clanoptilus (Clanoptilus) spinipennis (Germar 1824) - Malachiidae
17.IV.2014 - ITALIA - Emilia-Romagna - FE
Allegato(i)
Clanoptilus (Clanoptilus) spinipennis (Germar 1824) - Malachiidae

17.IV.2014 - ITALIA - Emilia-Romagna - FE
Coleoptera

gabrif

3

771

27/12/2015, 23:50

Daniele Maccapani Vedi ultimo messaggio

Nessun messaggio da leggere
Malachius australis Mulsant & Rey, 1867 - Malachiidae
1.V.2014 - ITALIA - Piemonte - CN
Allegato(i)
Malachius australis Mulsant & Rey, 1867 - Malachiidae

1.V.2014 - ITALIA - Piemonte - CN
Coleoptera

gabrif

1

878

19/12/2015, 19:12

gabrif Vedi ultimo messaggio

Nessun messaggio da leggere
Malachius australis Mulsant & Rey, 1867
V.2013 - ITALIA - Emilia-Romagna - FE
Allegato(i)
Malachius australis Mulsant & Rey, 1867

V.2013 - ITALIA - Emilia-Romagna - FE
Coleoptera

Daniele Maccapani

5

972

13/12/2015, 10:39

Daniele Maccapani Vedi ultimo messaggio

Nessun messaggio da leggere
Clanoptilus sp. - Malachiidae
1.VI.2008 - ITALIA - Umbria - PG
Allegato(i)
Clanoptilus sp. - Malachiidae

1.VI.2008 - ITALIA - Umbria - PG
Coleoptera

silvio1953

1

465

29/11/2015, 18:11

gabrif Vedi ultimo messaggio

Nessun messaggio da leggere
Attalus sp. - Malchiidae
1.V.2000 - ITALIA - Lazio - RM
Allegato(i)
Attalus sp. - Malchiidae

1.V.2000 - ITALIA - Lazio - RM
Coleoptera

giuseppe55

2

540

16/11/2015, 20:01

giuseppe55 Vedi ultimo messaggio

Nessun messaggio da leggere
Allegato(i)
Anthocomus fenestratus Linder, 1864 - Malachiidae - nuovo per l'Italia

4.V.2012 - ITALIA - Sardegna - SS
Coleoptera

gabrif

6

1350

15/10/2015, 21:28

Andrea Pergine Vedi ultimo messaggio

Nessun messaggio da leggere
Nepachys cardiacae (Linnaeus, 1761) - Malachiidae
18.VI.2014 - ITALIA - Trentino-Alto Adige - BZ
Allegato(i)
Nepachys cardiacae (Linnaeus, 1761) - Malachiidae

18.VI.2014 - ITALIA - Trentino-Alto Adige - BZ
Coleoptera

gabrif

0

690

13/10/2015, 19:48

gabrif Vedi ultimo messaggio

Nessun messaggio da leggere
Axinotarsus (Axinotarsus) ruficollis (Olivier 1790) - Malachiidae
18.VI.2015 - ITALIA - Emilia-Romagna - BO
Allegato(i)
Axinotarsus (Axinotarsus) ruficollis (Olivier 1790) - Malachiidae

18.VI.2015 - ITALIA - Emilia-Romagna - BO
Coleoptera

gabrif

0

526

08/10/2015, 21:51

gabrif Vedi ultimo messaggio

Nessun messaggio da leggere
Sphinginus coarctatus (Erichson, 1840) (cf.) - Malachiidae
14.IV.1992 - ITALIA - Lazio - RM
Allegato(i)
Sphinginus coarctatus (Erichson, 1840) (cf.) - Malachiidae

14.IV.1992 - ITALIA - Lazio - RM
Coleoptera

giuseppe55

2

668

02/10/2015, 18:55

giuseppe55 Vedi ultimo messaggio

Nessun messaggio da leggere
Allegato(i)
Sphinginus lobatus subsp. lobatus (Olivier, 1790) - Malachiidae

14.V.1995 - ITALIA - Lazio - RM
Coleoptera

giuseppe55

0

330

01/10/2015, 19:04

giuseppe55 Vedi ultimo messaggio

Nessun messaggio da leggere
Sphinginus lobatus (Olivier, 1790) (cf.) - Malachiidae
26.IV.1987 - ITALIA - Campania - SA
Allegato(i)
Sphinginus lobatus (Olivier, 1790) (cf.) - Malachiidae

26.IV.1987 - ITALIA - Campania - SA
Coleoptera

giuseppe55

2

594

01/10/2015, 19:00

giuseppe55 Vedi ultimo messaggio

Nessun messaggio da leggere
Malachius rubidus Erichson, 1840 - Malachiidae
3.VII.2013 - ITALIA - Trentino-Alto Adige - BZ
Allegato(i)
Malachius rubidus Erichson, 1840 - Malachiidae

3.VII.2013 - ITALIA - Trentino-Alto Adige - BZ
Coleoptera

gabrif

0

413

16/09/2015, 22:08

gabrif Vedi ultimo messaggio

Nessun messaggio da leggere
Ebaeus humilis Erichson, 1840 - Malachiidae
2.VI.2015 - ITALIA - Sardegna - SS
Allegato(i)
Ebaeus humilis Erichson, 1840 - Malachiidae

2.VI.2015 - ITALIA - Sardegna - SS
Coleoptera

gabrif

3

645

04/09/2015, 10:45

Daniele Sechi Vedi ultimo messaggio

Nessun messaggio da leggere
Attalus sicanus Erichson, 1840 (cf.) - Malachiidae
7.IV.2011 - ITALIA - Sicilia - PA
Allegato(i)
Attalus sicanus Erichson, 1840 (cf.) - Malachiidae

7.IV.2011 - ITALIA - Sicilia - PA
Coleoptera

carabus

8

896

23/08/2015, 16:15

gabrif Vedi ultimo messaggio

Nessun messaggio da leggere
Troglops silo Erichson, 1840 - Malachiidae
3.VI.2015 - ITALIA - Sardegna - NU
Allegato(i)
Troglops silo Erichson, 1840 - Malachiidae

3.VI.2015 - ITALIA - Sardegna - NU
Coleoptera

gabrif

0

434

22/08/2015, 21:51

gabrif Vedi ultimo messaggio

Nessun messaggio da leggere
Allegato(i)
Attalus (Attalus) lutatus Abeille, 1890 - Malachiidae

12.I.2015 - EGITTO - EE
Coleoptera

Mantispid

3

842

21/08/2015, 6:27

Mantispid Vedi ultimo messaggio

Nessun messaggio da leggere
Allegato(i)
Attalus cyaneus (Fabricius, 1792) - Malachiidae

21.III.2015 - MALTA - EE
Coleoptera

Fumea crassiorella

2

535

10/08/2015, 21:40

Fumea crassiorella Vedi ultimo messaggio

Nessun messaggio da leggere
Allegato(i)
Attalus (Attalus) melittensis Peyron, 1877 - Malachiidae

21.III.2015 - MALTA - EE
Coleoptera

Fumea crassiorella

2

593

06/08/2015, 11:52

Fumea crassiorella Vedi ultimo messaggio

Nessun messaggio da leggere
Cyrtosus (Oogynes) dispar (Fairmaire, 1859) - Malachiidae
4.VI.2015 - ITALIA - Sardegna - NU
Allegato(i)
Cyrtosus (Oogynes) dispar (Fairmaire, 1859) - Malachiidae

4.VI.2015 - ITALIA - Sardegna - NU
Coleoptera

gabrif

0

493

29/07/2015, 21:42

gabrif Vedi ultimo messaggio

Nessun messaggio da leggere
Allegato(i)
Clanoptilus (Clanoptilus) elegans (Olivier, 1790) (cf.) - Malachiidae

1.VII.2015 - ITALIA - Abruzzo - AQ
Coleoptera

andreah

2

737

19/07/2015, 17:38

andreah Vedi ultimo messaggio

Nessun messaggio da leggere
Malachius sp. - Malachiidae
3.VII.2015 - ITALIA - Campania - SA
Allegato(i)
Malachius sp. - Malachiidae

3.VII.2015 - ITALIA - Campania - SA
Coleoptera

Enzo.C

3

739

07/07/2015, 19:36

Enzo.C Vedi ultimo messaggio

Nessun messaggio da leggere
Malachius sp. - Malachiidae
24.V.2015 - POLONIA - EE
Allegato(i)
Malachius sp. - Malachiidae

24.V.2015 - POLONIA - EE
Coleoptera

gigilmozzi

3

592

18/06/2015, 19:54

gigilmozzi Vedi ultimo messaggio

Nessun messaggio da leggere
Allegato(i)
Ebaeus flavicornis Erichson, 1840 (cf.) - Malachiidae?

7.VI.2015 - TURCHIA - EE
Coleoptera

Baris99

2

425

16/06/2015, 10:28

Baris99 Vedi ultimo messaggio

Nessun messaggio da leggere
Charopus sp. (cf.) - Malachiidae
13.VI.2015 - ITALIA - Sardegna - OT
Allegato(i)
Charopus sp. (cf.) - Malachiidae

13.VI.2015 - ITALIA - Sardegna - OT
Coleoptera

Mauro

7

616

14/06/2015, 12:23

gabrif Vedi ultimo messaggio

Nessun messaggio da leggere
Allegato(i)
Clanoptilus (Clanoptilus) rufus (Olivier, 1790) - Malachiidae

24.V.2015 - ITALIA - Lazio - RM
Coleoptera

Broc

5

635

09/06/2015, 22:23

gabrif Vedi ultimo messaggio

Nessun messaggio da leggere
Clanoptilus rufus (Olivier, 1790) ♂ - Malachiidae
10.V.2015 - ITALIA - Sardegna - SS
Allegato(i)
Clanoptilus rufus (Olivier, 1790) ♂ - Malachiidae

10.V.2015 - ITALIA - Sardegna - SS
Coleoptera

Gianni Lai

2

511

11/05/2015, 22:07

Gianni Lai Vedi ultimo messaggio

Nessun messaggio da leggere
Attalus (Antholinus) sericans (Erichson 1840) - Malachiidae
27.V.2014 - ITALIA - Sardegna - CA
Allegato(i)
Attalus (Antholinus) sericans (Erichson 1840) - Malachiidae

27.V.2014 - ITALIA - Sardegna - CA
Coleoptera

Palaemonetes

10

1037

25/04/2015, 13:30

Palaemonetes Vedi ultimo messaggio

Nessun messaggio da leggere
Ebaeus sp. (cf.) - Malachiidae
7.IV.2015 - ITALIA - Sicilia - SR
Allegato(i)
Ebaeus sp. (cf.) - Malachiidae

7.IV.2015 - ITALIA - Sicilia - SR
Coleoptera

Gregorio

7

806

20/04/2015, 21:41

gabrif Vedi ultimo messaggio

Nessun messaggio da leggere
Larve di Malachiidae
1.IV.2015 - ITALIA - Toscana - GR
Allegato(i)
Larve di Malachiidae

1.IV.2015 - ITALIA - Toscana - GR
Lepidoptera

pipine26

1

434

14/04/2015, 17:29

clido Vedi ultimo messaggio

Nessun messaggio da leggere
Attalus sp. - Malachiidae
25.III.2015 - SPAGNA - EE
Allegato(i)
Attalus sp. - Malachiidae

25.III.2015 - SPAGNA - EE
Coleoptera

Isidro

10

1366

03/04/2015, 19:57

giuseppe55 Vedi ultimo messaggio

Nessun messaggio da leggere
Larva di Malachiidae sp.
2.III.2015 - ITALIA - Veneto - VR
Allegato(i)
Larva di Malachiidae sp.

2.III.2015 - ITALIA - Veneto - VR
Coleoptera

ajeje_brazorv

3

3784

25/03/2015, 20:19

eurinomio Vedi ultimo messaggio

Nessun messaggio da leggere
Anthocomus equestris (Fabricius 1781) - Malachiidae
8.III.2015 - ITALIA - Lombardia - CR
Allegato(i)
Anthocomus equestris (Fabricius 1781) - Malachiidae

8.III.2015 - ITALIA - Lombardia - CR
Coleoptera

betelges

6

990

24/03/2015, 20:15

gabrif Vedi ultimo messaggio

Nessun messaggio da leggere
Axinotarsus ruficollis (Olivier, 1790) - Malachiidae
18.VI.2014 - ITALIA - Trentino-Alto Adige - BZ
Allegato(i)
Axinotarsus ruficollis (Olivier, 1790) - Malachiidae

18.VI.2014 - ITALIA - Trentino-Alto Adige - BZ
Coleoptera

gabrif

0

427

02/03/2015, 22:48

gabrif Vedi ultimo messaggio

Nessun messaggio da leggere
Attalus (Abrinus) analis (Panzer, 1796) - Malachiidae
1.V.2014 - ITALIA - Piemonte - CN
Allegato(i)
Attalus (Abrinus) analis (Panzer, 1796) - Malachiidae

1.V.2014 - ITALIA - Piemonte - CN
Coleoptera

gabrif

0

506

01/03/2015, 22:13

gabrif Vedi ultimo messaggio

Nessun messaggio da leggere
Malachius coccineus Waltl 1838 - Malachidae
20.V.2011 - TURCHIA - EE
Allegato(i)
Malachius coccineus Waltl 1838 - Malachidae

20.V.2011 - TURCHIA - EE
Coleoptera

Baris99

4

857

18/02/2015, 11:34

Baris99 Vedi ultimo messaggio

Nessun messaggio da leggere
Micrinus inornatus (Küster 1846) - Malachiidae
22.VI.2013 - ITALIA - Piemonte - VB
Allegato(i)
Micrinus inornatus (Küster 1846) - Malachiidae

22.VI.2013 - ITALIA - Piemonte - VB
Coleoptera

gabrif

2

828

13/01/2015, 22:21

gabrif Vedi ultimo messaggio

Nessun messaggio da leggere
Anthocomus equestris (Fabricius, 1781) - Malachidae
12.III.2011 - ITALIA - Emilia-Romagna - BO
Allegato(i)
Anthocomus equestris (Fabricius, 1781) - Malachidae

12.III.2011 - ITALIA - Emilia-Romagna - BO
Coleoptera

Loriscola

3

989

04/01/2015, 21:25

gabrif Vedi ultimo messaggio

Nessun messaggio da leggere
Hypebaeus flavipes (Fabricius, 1787) - Malachidae
27.VII.2011 - REPUBBLICA CECA - EE
Allegato(i)
Hypebaeus flavipes (Fabricius, 1787) - Malachidae

27.VII.2011 - REPUBBLICA CECA - EE
Coleoptera

Honza

3

827

28/12/2014, 22:51

strepens Vedi ultimo messaggio

Nessun messaggio da leggere
Axinotarsus ruficollis (Olivier, 1790) - Malachidae
27.VII.2011 - REPUBBLICA CECA - EE
Allegato(i)
Axinotarsus ruficollis (Olivier, 1790) - Malachidae

27.VII.2011 - REPUBBLICA CECA - EE
Coleoptera

Honza

0

461

28/12/2014, 20:34

Honza Vedi ultimo messaggio

Nessun messaggio da leggere
Troglops albicans (Linnaeus, 1767) - Malachidae
27.VII.2011 - REPUBBLICA CECA - EE
Allegato(i)
Troglops albicans (Linnaeus, 1767) - Malachidae

27.VII.2011 - REPUBBLICA CECA - EE
Coleoptera

Honza

2

706

28/12/2014, 17:43

Honza Vedi ultimo messaggio

Nessun messaggio da leggere
Cerapheles terminatus (Ménétriés, 1832) - Malachidae
27.VII.2011 - REPUBBLICA CECA - EE
Allegato(i)
Cerapheles terminatus (Ménétriés, 1832) - Malachidae

27.VII.2011 - REPUBBLICA CECA - EE
Coleoptera

Honza

0

447

27/12/2014, 21:01

Honza Vedi ultimo messaggio

Visualizza ultimi argomenti:  Ordina per  Ordine:  
nuovo argomento
Vai alla pagina Precedente  1 ... 3, 4, 5, 6, 7, 8  Prossimo
Pagina 6 di 8 [ 365 argomenti ]

Tutti gli orari sono UTC + 1 ora [ ora legale ]


Chi c’è in linea

Visitano il forum: Nessuno e 1 ospite


Legenda
Messaggi da leggere Messaggi da leggere Nessun messaggio da leggere Nessun messaggio da leggere Annuncio Annuncio
 
Specie indeterminata / discussione generica
Messaggi non letti [ Popolari ] Messaggi non letti [ Popolari ] Nessun messaggio da leggere [ Popolare ] Nessun messaggio da leggere [ Popolare ] Importante Importante
 
Specie determinata fino al genere o cf.
Messaggi non letti [ Bloccati ] Messaggi non letti [ Bloccati ] No messaggi non letti [ Bloccati ] No messaggi non letti [ Bloccati ] Argomento spostato Argomento spostato
 
Specie correttamente determinata
Permessi
Non puoi aprire nuovi argomenti
Non puoi rispondere negli argomenti
Non puoi modificare i tuoi messaggi
Non puoi cancellare i tuoi messaggi
Non puoi inviare allegati

Cerca per:
Vai a: