Benvenuto Ospite

Forum Entomologi Italiani

www.entomologiitaliani.net/forum
 
Oggi è 22/12/2025, 2:56

Tutti gli orari sono UTC + 1 ora [ ora legale ]

Malachiidae


[ AFROTROPICALE ] [ ANTARTICO ] [ AUSTRALASIANO ] [ NEARTICO ] [ NEOTROPICALE ] [ ORIENTALE ] [ PALEARTICO ]


nuovo argomento
Vai alla pagina 1, 2, 3, 4, 5 ... 8  Prossimo
Pagina 1 di 8 [ 378 argomenti ]
 Argomenti   Ordine   Autore   Risposte   Visite    Ultimo messaggio 
Annunci
Nessun messaggio da leggere
Allegato(i)
Incontri entomologici della Società Entomologica Italiana 2025-2026
 

Velvet Ant

0

13426

17/11/2025, 19:41

Velvet Ant Vedi ultimo messaggio

Nessun messaggio da leggere
Allegato(i)
Incontri entomologici telematici organizzati dalla Società Entomologica Italiana nel 2022 e nel 2023

[ Vai alla paginaVai alla pagina: 1, 2, 3 ]

 

Velvet Ant

44

1689157

03/03/2023, 15:55

Velvet Ant Vedi ultimo messaggio

Nessun messaggio da leggere  
Allegato(i)
Sondaggio sul declino dell'entomofauna in Italia

[ Vai alla paginaVai alla pagina: 1, 2, 3, 4 ]

 

Velvet Ant

52

2309847

22/10/2022, 19:18

Acquarius Vedi ultimo messaggio

Nessun messaggio da leggere  
Allegato(i)
Progetto: Bibliografia ragionata dei lavori entomologici nei quali sono citati reperti apparsi su FEI

[ Vai alla paginaVai alla pagina: 1, 2, 3 ]

 

Velvet Ant

33

1356417

06/07/2023, 18:31

Orotrechus Vedi ultimo messaggio

Nessun messaggio da leggere
Allegato(i)
Mimesi, il primo documentario cinematografico sull’entomologia in Italia: casting
 

mazzeip

1

1087308

28/02/2019, 20:26

mazzeip Vedi ultimo messaggio

Questo argomento è bloccato, non puoi modificare o inviare ulteriori messaggi.
Allegato(i)
ISTRUZIONI PUBBLICAZIONE NUOVI ARGOMENTI E FOTO

 
Altri Ordini di Insetti

Julodis

4

2885188

13/05/2015, 19:37

Julodis Vedi ultimo messaggio

Nessun messaggio da leggere
Allegato(i)
Limitatore giornaliero di messaggi, uno strumento utile e ormai indispensabile

[ Vai alla paginaVai alla pagina: 1 ... 14, 15, 16 ]

 

Velvet Ant

233

12328205

25/09/2014, 14:31

Inachis Vedi ultimo messaggio

Nessun messaggio da leggere  
NORME PER I COLLABORATORI DEL FORUM

 
 

Velvet Ant

0

632554

02/06/2011, 12:05

Velvet Ant Vedi ultimo messaggio

Nessun messaggio da leggere
Allegato(i)
NORME PER GLI UTENTI DEL FORUM

[ Vai alla paginaVai alla pagina: 1, 2, 3 ]



 
 

Velvet Ant

30

3473923

23/09/2014, 23:54

Maurizio Bollino Vedi ultimo messaggio

Nessun messaggio da leggere  
Lista degli utenti del "Forum entomologi italiani" per campi di interesse e specializzazione

 
Altri Ordini di Insetti

Velvet Ant

13

1006355

07/09/2023, 17:14

Roberto-07 Vedi ultimo messaggio

Argomenti
Nessun messaggio da leggere
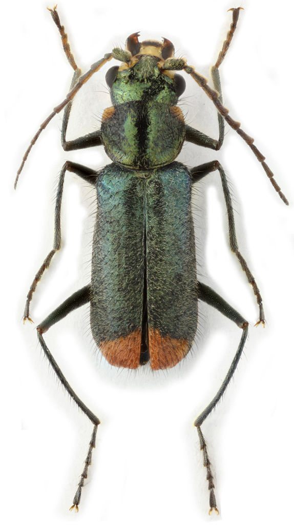
Axinotarsus implicatus Escalera 1926 - Malachiidae
4.V.2025 - ITALIA - Sicilia - TP
Allegato(i)
Axinotarsus implicatus Escalera 1926 - Malachiidae

4.V.2025 - ITALIA - Sicilia - TP
Coleoptera

angelo.ditta

7

1004

17/11/2025, 17:07

angelo.ditta Vedi ultimo messaggio

Nessun messaggio da leggere
Charopus madidus Kiesenwetter, 1863 (cf.) - Malachiidae
26.VI.1996 - FEDERAZIONE RUSSA - EE
Allegato(i)
Charopus madidus Kiesenwetter, 1863 (cf.) - Malachiidae

26.VI.1996 - FEDERAZIONE RUSSA - EE
Coleoptera

Maxim Smirnov

2

304

18/07/2025, 16:22

Maxim Smirnov Vedi ultimo messaggio

Nessun messaggio da leggere
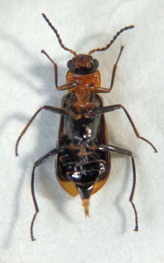
Malachius australis Mulsant & Rey, 1867 - Malachiidae
31.V.2025 - ITALIA - Sicilia - ME
Allegato(i)
Malachius australis Mulsant & Rey, 1867 - Malachiidae

31.V.2025 - ITALIA - Sicilia - ME
Coleoptera

Chalybion

2

353

15/07/2025, 20:38

Chalybion Vedi ultimo messaggio

Nessun messaggio da leggere
Antholinus minimus (Rossi, 1790) ♀ - Malachiidae
17.IV.2025 - ITALIA - Emilia-Romagna - RA
Allegato(i)
Antholinus minimus (Rossi, 1790) ♀ - Malachiidae

17.IV.2025 - ITALIA - Emilia-Romagna - RA
Coleoptera

Chalybion

5

859

30/04/2025, 17:09

gabrif Vedi ultimo messaggio

Nessun messaggio da leggere
Cyrtosus (Oogynes) sp. - Malachiidae
6.IV.2010 - ITALIA - Sardegna - OR
Allegato(i)
Cyrtosus (Oogynes) sp. - Malachiidae

6.IV.2010 - ITALIA - Sardegna - OR
Coleoptera

Honza

6

2097

29/09/2024, 15:15

gabrif Vedi ultimo messaggio

Nessun messaggio da leggere
Ebaeus battonii Pardo Alcaide 1962 - Malachiidae
8.V.2024 - ITALIA - Trentino-Alto Adige - TN
Allegato(i)
Ebaeus battonii Pardo Alcaide 1962 - Malachiidae

8.V.2024 - ITALIA - Trentino-Alto Adige - TN
Coleoptera

Syrio

3

577

10/05/2024, 12:33

Syrio Vedi ultimo messaggio

Nessun messaggio da leggere
Cyrtosus dispar (Fairmaire, 1859) - Malachiidae
1.VI.2015 - ITALIA - Sardegna - OT
Allegato(i)
Cyrtosus dispar (Fairmaire, 1859) - Malachiidae

1.VI.2015 - ITALIA - Sardegna - OT
Coleoptera

Chalybion

1

399

09/05/2024, 16:02

Chalybion Vedi ultimo messaggio

Nessun messaggio da leggere
Cyrtosus dispar (Fairmaire, 1859) - Malachiidae
3.VI.2015 - ITALIA - Sardegna - OR
Allegato(i)
Cyrtosus dispar (Fairmaire, 1859) - Malachiidae

3.VI.2015 - ITALIA - Sardegna - OR
Coleoptera

Chalybion

2

491

09/05/2024, 16:01

Chalybion Vedi ultimo messaggio

Nessun messaggio da leggere
Hypebaeus flavicollis (Erichson, 1840) - Malachiidae
14.IV.2024 - ITALIA - Sardegna - SS
Allegato(i)
Hypebaeus flavicollis (Erichson, 1840) - Malachiidae

14.IV.2024 - ITALIA - Sardegna - SS
Coleoptera

Mauro

2

476

02/05/2024, 8:19

Mauro Vedi ultimo messaggio

Nessun messaggio da leggere
Axinotarsus sp. - Malachidae
8.VI.2010 - ITALIA - Liguria - SP
Allegato(i)
Axinotarsus sp. - Malachidae

8.VI.2010 - ITALIA - Liguria - SP
Coleoptera

Valerio

1

954

04/04/2024, 18:51

gabrif Vedi ultimo messaggio

Nessun messaggio da leggere
Charopus sp. - Malachiidae
29.III.2024 - ITALIA - Sardegna - CA
Allegato(i)
Charopus sp. - Malachiidae

29.III.2024 - ITALIA - Sardegna - CA
Coleoptera

Daniele Sechi

2

442

01/04/2024, 11:50

Daniele Sechi Vedi ultimo messaggio

Nessun messaggio da leggere
Charopus rotundatus Erichson, 1840 - Malachiidae
30.III.2024 - ITALIA - Sardegna - CA
Allegato(i)
Charopus rotundatus Erichson, 1840 - Malachiidae

30.III.2024 - ITALIA - Sardegna - CA
Coleoptera

Daniele Sechi

1

417

01/04/2024, 11:34

gabrif Vedi ultimo messaggio

Nessun messaggio da leggere
Attalus (Attalus) cyaneus (Fabricius, 1792) - Malachiidae
27.IV.2018 - ITALIA - Sardegna - CA
Allegato(i)
Attalus (Attalus) cyaneus (Fabricius, 1792) - Malachiidae

27.IV.2018 - ITALIA - Sardegna - CA
Coleoptera

Andrea Pergine

2

403

22/02/2024, 22:46

Andrea Pergine Vedi ultimo messaggio

Nessun messaggio da leggere
Hypebaeus flavicollis (Erichson 1840) - Malachiidae
27.IV.2018 - ITALIA - Sardegna - CA
Allegato(i)
Hypebaeus flavicollis (Erichson 1840) - Malachiidae

27.IV.2018 - ITALIA - Sardegna - CA
Coleoptera

Andrea Pergine

2

388

22/02/2024, 22:45

Andrea Pergine Vedi ultimo messaggio

Nessun messaggio da leggere
Allegato(i)
Troglops sp., cfr. albicans Linnaeus, 1767 - Malachiidae (aut Melyridae Malachiinae)

24.V.2023 - GRECIA - EE
Coleoptera

Honza

2

412

16/02/2024, 21:11

Honza Vedi ultimo messaggio

Nessun messaggio da leggere
Allegato(i)
Clanoptilus (Clanoptilus) italicus (Pardo, 1967) - Malachiidae

19.VI.2021 - ITALIA - Lazio - RM
Coleoptera

wgliinsetti

2

475

17/01/2024, 22:19

wgliinsetti Vedi ultimo messaggio

Nessun messaggio da leggere
Colotes maculatus (Laporte de Castelnau, 1838) - Malachiidae
19.VIII.2023 - ITALIA - Toscana - PI
Allegato(i)
Colotes maculatus (Laporte de Castelnau, 1838) - Malachiidae

19.VIII.2023 - ITALIA - Toscana - PI
Coleoptera

Stefano79

2

566

09/01/2024, 8:52

Stefano79 Vedi ultimo messaggio

Nessun messaggio da leggere
Charopus concolor (Fabricius, 1801) - Malachiidae
5.V.2022 - ITALIA - Emilia-Romagna - PC
Allegato(i)
Charopus concolor (Fabricius, 1801) - Malachiidae

5.V.2022 - ITALIA - Emilia-Romagna - PC
Coleoptera

UlpiNov

6

959

06/12/2023, 12:14

UlpiNov Vedi ultimo messaggio

Nessun messaggio da leggere
Allegato(i)
Clanoptilus spinipennis (Germar, 1824) - Malachiidae

15.V.2023 - MONTENEGRO - EE
Coleoptera

curci

2

502

18/10/2023, 8:16

curci Vedi ultimo messaggio

Nessun messaggio da leggere
Allegato(i)
Malachius bipustulatus (Linnaeus, 1758) - Malachiidae

21.V.2023 - MONTENEGRO - EE
Coleoptera

curci

2

455

18/10/2023, 8:15

curci Vedi ultimo messaggio

Nessun messaggio da leggere
Allegato(i)
Clanoptilus spinipennis (Germar, 1824) - Malachiidae

21.V.2023 - MONTENEGRO - EE
Coleoptera

curci

2

441

18/10/2023, 8:15

curci Vedi ultimo messaggio

Nessun messaggio da leggere
Allegato(i)
Anthocomus kurbatovi Tshernyshev, 2022 - Malachiidae

2.VI.2006
Coleoptera

Maxim Smirnov

2

516

29/09/2023, 16:27

gabrif Vedi ultimo messaggio

Nessun messaggio da leggere
Allegato(i)
Clanoptilus (Hypoptilus) assimilis (Erichson, 1840) - Malachiidae

2.V.2017 - TURCHIA - EE
Coleoptera

Maxim Smirnov

2

551

24/07/2023, 17:55

Maxim Smirnov Vedi ultimo messaggio

Nessun messaggio da leggere
Allegato(i)
Attalus (Attalus) aetnensis Abeille de Perrin, 1891 - Malachiidae

8.VI.2023 - ITALIA - Calabria - VV
Coleoptera

soken

2

484

24/06/2023, 13:42

soken Vedi ultimo messaggio

Nessun messaggio da leggere
Anthocomus equestris (Fabricius 1781) - Malachiidae
21.V.2023 - ITALIA - Veneto - PD
Allegato(i)
Anthocomus equestris (Fabricius 1781) - Malachiidae

21.V.2023 - ITALIA - Veneto - PD
Coleoptera

Glaphyrus

1

423

30/05/2023, 10:41

gabrif Vedi ultimo messaggio

Nessun messaggio da leggere
Allegato(i)
Cyrtosus cyanipennis (Erichson, 1840) - Malachiidae

2.V.2023 - SPAGNA - EE
Coleoptera

Dicomed

2

419

02/05/2023, 23:24

Dicomed Vedi ultimo messaggio

Nessun messaggio da leggere
Malachiidae sp.
23.IV.2023 - ITALIA - Sicilia - TP
Allegato(i)
Malachiidae sp.

23.IV.2023 - ITALIA - Sicilia - TP
Coleoptera

angelo.ditta

2

391

26/04/2023, 17:35

angelo.ditta Vedi ultimo messaggio

Nessun messaggio da leggere
Attalus (Attalus) cyaneus (Fabricius, 1792) - Malachiidae
1.IV.2023 - ITALIA - Sicilia - TP
Allegato(i)
Attalus (Attalus) cyaneus (Fabricius, 1792) - Malachiidae

1.IV.2023 - ITALIA - Sicilia - TP
Coleoptera

angelo.ditta

2

414

08/04/2023, 18:54

angelo.ditta Vedi ultimo messaggio

Nessun messaggio da leggere
Charopus apicalis Kiesenwetter, 1859 - Malachiidae
24.III.2023 - ITALIA - Sicilia - TP
Allegato(i)
Charopus apicalis Kiesenwetter, 1859 - Malachiidae

24.III.2023 - ITALIA - Sicilia - TP
Coleoptera

angelo.ditta

4

561

31/03/2023, 14:08

angelo.ditta Vedi ultimo messaggio

Nessun messaggio da leggere
Allegato(i)
Cephaloncus capito Westwood, 1863 (cf.) - Malachiidae

18.V.2016 - SPAGNA - EE
Coleoptera

curci

3

609

06/03/2023, 15:46

curci Vedi ultimo messaggio

Nessun messaggio da leggere
Allegato(i)
Axinotarsus (Axinotarsus) longicornis (Kiesenwetter, 1859) - Malachiidae

14.V.2022 - ITALIA - Sicilia - ME
Coleoptera

gabrif

0

710

26/02/2023, 13:37

gabrif Vedi ultimo messaggio

Nessun messaggio da leggere
Attalus (Attalus) sicanus Erichson, 1840 - Malachiidae
10.V.2018 - ITALIA - Sicilia - TP
Allegato(i)
Attalus (Attalus) sicanus Erichson, 1840 - Malachiidae

10.V.2018 - ITALIA - Sicilia - TP
Coleoptera

curci

2

458

23/02/2023, 8:40

curci Vedi ultimo messaggio

Nessun messaggio da leggere
Allegato(i)
Attalus (Abrinus) limbatus (Fabricius, 1798) - Malachiidae

22.IV.2017 - PORTOGALLO - EE
Coleoptera

curci

2

575

11/02/2023, 13:51

curci Vedi ultimo messaggio

Nessun messaggio da leggere
Hypebaeus sp. - Malachiidae
23.III.2022 - SPAGNA - EE
Allegato(i)
Hypebaeus sp. - Malachiidae

23.III.2022 - SPAGNA - EE
Coleoptera

Dicomed

2

500

06/02/2023, 13:29

Dicomed Vedi ultimo messaggio

Nessun messaggio da leggere
Allegato(i)
Clanoptilus abdominalis (Fabricius, 1793) - Malachiidae

23.III.2022 - SPAGNA - EE
Coleoptera

Dicomed

2

491

06/02/2023, 13:28

Dicomed Vedi ultimo messaggio

Nessun messaggio da leggere
Allegato(i)
Cyrtosus (Cyrtosus) cyanipennis (Erichson, 1840) - Malachiidae

27.V.2022 - SPAGNA - EE
Coleoptera

Dicomed

2

518

11/12/2022, 20:08

Dicomed Vedi ultimo messaggio

Nessun messaggio da leggere
Allegato(i)
Attalus (Antholinus) elzeari Uhagon, 1901 - Malachiidae

27.V.2022 - SPAGNA - EE
Coleoptera

Dicomed

2

531

11/12/2022, 20:08

Dicomed Vedi ultimo messaggio

Nessun messaggio da leggere
Malachiidae sp.
17.VI.2022 - ITALIA - Campania - SA
Allegato(i)
Malachiidae sp.

17.VI.2022 - ITALIA - Campania - SA
Coleoptera

Enzo.C

7

1143

24/11/2022, 20:52

Enzo.C Vedi ultimo messaggio

Nessun messaggio da leggere
Malachius stolatus Mulsant & Godart, 1855 - Malachiidae
7.IV.2020 - ITALIA - Friuli-Venezia Giulia - TS
Allegato(i)
Malachius stolatus Mulsant & Godart, 1855 - Malachiidae

7.IV.2020 - ITALIA - Friuli-Venezia Giulia - TS
Coleoptera

Bemisia

7

881

02/10/2022, 19:01

Bemisia Vedi ultimo messaggio

Nessun messaggio da leggere
Sphinginus lobatus (Olivier, 1790) (cf.) - Malachiidae
22.V.2022 - ITALIA - Lombardia - BS
Allegato(i)
Sphinginus lobatus (Olivier, 1790) (cf.) - Malachiidae

22.V.2022 - ITALIA - Lombardia - BS
Coleoptera

Livio

4

679

27/09/2022, 18:29

Livio Vedi ultimo messaggio

Nessun messaggio da leggere
Axinotarsus ruficollis (Olivier, 1790) - Malachiidae
18.VI.2017 - ITALIA - Lombardia - BS
Allegato(i)
Axinotarsus ruficollis (Olivier, 1790) - Malachiidae

18.VI.2017 - ITALIA - Lombardia - BS
Coleoptera

Livio

2

483

27/09/2022, 9:41

Livio Vedi ultimo messaggio

Nessun messaggio da leggere
Allegato(i)
Attalus (Antholinus) labilis (Erichson,1840) - Malachiidae Malachiinae

13.VI.2022 - ITALIA - Sardegna - NU
Coleoptera

gabrif

0

438

22/09/2022, 16:53

gabrif Vedi ultimo messaggio

Nessun messaggio da leggere
Attalus (Attalus) cyaneus (Fabricius, 1792) - Malachiidae
11.V.2022 - ITALIA - Sardegna - SS
Allegato(i)
Attalus (Attalus) cyaneus (Fabricius, 1792) - Malachiidae

11.V.2022 - ITALIA - Sardegna - SS
Coleoptera

Mauro

3

519

21/09/2022, 16:17

Mauro Vedi ultimo messaggio

Nessun messaggio da leggere
Cyrtosus cyanipennis (Erichson, 1840) - Malachiidae
14.VI.2020 - ITALIA - Toscana - LI
Allegato(i)
Cyrtosus cyanipennis (Erichson, 1840) - Malachiidae

14.VI.2020 - ITALIA - Toscana - LI
Coleoptera

Stefano79

2

479

04/09/2022, 10:18

Stefano79 Vedi ultimo messaggio

Nessun messaggio da leggere
Cordylepherus viridis (Fabricius, 1787) - Malachiidae
22.V.2022 - ITALIA - Toscana - PI
Allegato(i)
Cordylepherus viridis (Fabricius, 1787) - Malachiidae

22.V.2022 - ITALIA - Toscana - PI
Coleoptera

Stefano79

2

444

02/09/2022, 18:59

Stefano79 Vedi ultimo messaggio

Nessun messaggio da leggere
Allegato(i)
Axinotarsus pulicarius (Fabricius, 1777) (cf.) - Malachiidae

5.V.2020 - REPUBBLICA CECA - EE
Coleoptera

Honza

2

460

21/08/2022, 18:34

Honza Vedi ultimo messaggio

Nessun messaggio da leggere
Anthocomus equestris (Fabricius, 1781) - Malachiidae
5.V.2020 - REPUBBLICA CECA - EE
Allegato(i)
Anthocomus equestris (Fabricius, 1781) - Malachiidae

5.V.2020 - REPUBBLICA CECA - EE
Coleoptera

Honza

2

480

21/08/2022, 10:07

Honza Vedi ultimo messaggio

Nessun messaggio da leggere
Anthocomus fasciatus (Linnaeus, 1758) - Malachiidae
5.V.2020 - REPUBBLICA CECA - EE
Allegato(i)
Anthocomus fasciatus (Linnaeus, 1758) - Malachiidae

5.V.2020 - REPUBBLICA CECA - EE
Coleoptera

Honza

2

501

21/08/2022, 10:06

Honza Vedi ultimo messaggio

Nessun messaggio da leggere
Attalus cyaneus (Fabricius, 1787) - Malachiidae
16.V.2022 - ITALIA - Sardegna - SS
Allegato(i)
Attalus cyaneus (Fabricius, 1787) - Malachiidae

16.V.2022 - ITALIA - Sardegna - SS
Coleoptera

Pietro Niolu

1

502

08/08/2022, 16:08

gabrif Vedi ultimo messaggio

Nessun messaggio da leggere
Clanoptilus sardous (Erichson, 1840) - Malachiidae
15.V.2022 - ITALIA - Sardegna - VS
Allegato(i)
Clanoptilus sardous (Erichson, 1840) - Malachiidae

15.V.2022 - ITALIA - Sardegna - VS
Coleoptera

Chalybion

5

595

30/07/2022, 21:05

Chalybion Vedi ultimo messaggio

Visualizza ultimi argomenti:  Ordina per  Ordine:  
nuovo argomento
Vai alla pagina 1, 2, 3, 4, 5 ... 8  Prossimo
Pagina 1 di 8 [ 378 argomenti ]

Tutti gli orari sono UTC + 1 ora [ ora legale ]


Chi c’è in linea

Visitano il forum: Nessuno e 1 ospite


Legenda
Messaggi da leggere Messaggi da leggere Nessun messaggio da leggere Nessun messaggio da leggere Annuncio Annuncio
 
Specie indeterminata / discussione generica
Messaggi non letti [ Popolari ] Messaggi non letti [ Popolari ] Nessun messaggio da leggere [ Popolare ] Nessun messaggio da leggere [ Popolare ] Importante Importante
 
Specie determinata fino al genere o cf.
Messaggi non letti [ Bloccati ] Messaggi non letti [ Bloccati ] No messaggi non letti [ Bloccati ] No messaggi non letti [ Bloccati ] Argomento spostato Argomento spostato
 
Specie correttamente determinata
Permessi
Non puoi aprire nuovi argomenti
Non puoi rispondere negli argomenti
Non puoi modificare i tuoi messaggi
Non puoi cancellare i tuoi messaggi
Non puoi inviare allegati

Cerca per:
Vai a: