Benvenuto Ospite

Forum Entomologi Italiani

www.entomologiitaliani.net/forum
 
Oggi è 04/11/2025, 11:21

Tutti gli orari sono UTC + 1 ora [ ora legale ]

Malachiidae


[ AFROTROPICALE ] [ ANTARTICO ] [ AUSTRALASIANO ] [ NEARTICO ] [ NEOTROPICALE ] [ ORIENTALE ] [ PALEARTICO ]


nuovo argomento
Vai alla pagina Precedente  1 ... 4, 5, 6, 7, 8  Prossimo
Pagina 7 di 8 [ 365 argomenti ]
 Argomenti   Ordine   Autore   Risposte   Visite    Ultimo messaggio 
Annunci
Nessun messaggio da leggere
Allegato(i)
Incontri entomologici telematici organizzati dalla Società Entomologica Italiana nel 2022 e nel 2023

[ Vai alla paginaVai alla pagina: 1, 2, 3 ]

 

Velvet Ant

44

1405802

03/03/2023, 15:55

Velvet Ant Vedi ultimo messaggio

Nessun messaggio da leggere  
Allegato(i)
Sondaggio sul declino dell'entomofauna in Italia

[ Vai alla paginaVai alla pagina: 1, 2, 3, 4 ]

 

Velvet Ant

52

1730341

22/10/2022, 19:18

Acquarius Vedi ultimo messaggio

Nessun messaggio da leggere  
Allegato(i)
Progetto: Bibliografia ragionata dei lavori entomologici nei quali sono citati reperti apparsi su FEI

[ Vai alla paginaVai alla pagina: 1, 2, 3 ]

 

Velvet Ant

33

1152413

06/07/2023, 18:31

Orotrechus Vedi ultimo messaggio

Nessun messaggio da leggere
Allegato(i)
Mimesi, il primo documentario cinematografico sull’entomologia in Italia: casting
 

mazzeip

1

453749

28/02/2019, 20:26

mazzeip Vedi ultimo messaggio

Questo argomento è bloccato, non puoi modificare o inviare ulteriori messaggi.
Allegato(i)
ISTRUZIONI PUBBLICAZIONE NUOVI ARGOMENTI E FOTO

 
Altri Ordini di Insetti

Julodis

4

870255

13/05/2015, 19:37

Julodis Vedi ultimo messaggio

Nessun messaggio da leggere
Allegato(i)
Limitatore giornaliero di messaggi, uno strumento utile e ormai indispensabile

[ Vai alla paginaVai alla pagina: 1 ... 14, 15, 16 ]

 

Velvet Ant

233

8716414

25/09/2014, 14:31

Inachis Vedi ultimo messaggio

Nessun messaggio da leggere  
NORME PER I COLLABORATORI DEL FORUM

 
 

Velvet Ant

0

476716

02/06/2011, 12:05

Velvet Ant Vedi ultimo messaggio

Nessun messaggio da leggere
Allegato(i)
NORME PER GLI UTENTI DEL FORUM

[ Vai alla paginaVai alla pagina: 1, 2, 3 ]



 
 

Velvet Ant

30

2328917

23/09/2014, 23:54

Maurizio Bollino Vedi ultimo messaggio

Nessun messaggio da leggere  
Lista degli utenti del "Forum entomologi italiani" per campi di interesse e specializzazione

 
Altri Ordini di Insetti

Velvet Ant

13

936635

07/09/2023, 17:14

Roberto-07 Vedi ultimo messaggio

Argomenti
Nessun messaggio da leggere
Allegato(i)
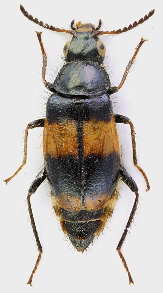
Protoapalochrus flavolimbatus (Mulsant & Rey, 1853), ♀ - Malachidae

24.VI.2014 - ITALIA - Sardegna - CA
Coleoptera

Palaemonetes

2

511

24/06/2014, 18:51

Palaemonetes Vedi ultimo messaggio

Nessun messaggio da leggere
Clanoptilus sp. - Malachidae
14.V.2014 - ITALIA - Toscana - FI
Allegato(i)
Clanoptilus sp. - Malachidae

14.V.2014 - ITALIA - Toscana - FI
Coleoptera

alessio

3

448

23/06/2014, 18:25

alessio Vedi ultimo messaggio

Nessun messaggio da leggere
Malachiidae sp.
30.V.2014 - ITALIA - Lombardia - VA
Allegato(i)
Malachiidae sp.

30.V.2014 - ITALIA - Lombardia - VA
Coleoptera

Holly

3

470

13/06/2014, 13:09

Holly Vedi ultimo messaggio

Nessun messaggio da leggere
Clanoptilus rufus (Olivier, 1790) (cf.) - Malachiide
17.V.2014 - ITALIA - Sardegna - SS
Allegato(i)
Clanoptilus rufus (Olivier, 1790) (cf.) - Malachiide

17.V.2014 - ITALIA - Sardegna - SS
Coleoptera

Palaemonetes

2

426

24/05/2014, 9:07

Palaemonetes Vedi ultimo messaggio

Nessun messaggio da leggere
Sphinginus sp. (cf.) - Malachiidae
IV.2014 - ITALIA - Lazio - RM
Allegato(i)
Sphinginus sp. (cf.) - Malachiidae

IV.2014 - ITALIA - Lazio - RM
Coleoptera

aesalus37

2

457

17/05/2014, 6:38

aesalus37 Vedi ultimo messaggio

Nessun messaggio da leggere
Allegato(i)
Cyrtosus ovalis (Laporte de Castelnau, 1836) ♂ - Malachidae

5.V.2014 - ITALIA - Abruzzo - PE
Coleoptera

Alessio89

4

897

08/05/2014, 12:25

Alessio89 Vedi ultimo messaggio

Nessun messaggio da leggere
Axinotarsus sp. - Malachiidae
30.V.1971 - ITALIA - Lazio - RM
Allegato(i)
Axinotarsus sp. - Malachiidae

30.V.1971 - ITALIA - Lazio - RM
Coleoptera

aesalus37

2

479

30/04/2014, 6:32

aesalus37 Vedi ultimo messaggio

Nessun messaggio da leggere
Ebaeus collaris Erichson, 1840 - Malachiidae
3.IV.1969 - ITALIA - Lazio - RM
Allegato(i)
Ebaeus collaris Erichson, 1840 - Malachiidae

3.IV.1969 - ITALIA - Lazio - RM
Coleoptera

aesalus37

2

448

17/04/2014, 6:51

aesalus37 Vedi ultimo messaggio

Nessun messaggio da leggere
Anthocomus equestris (Fabricius, 1781) (cf.) - Malachiidae
9.IV.2014 - ITALIA - Lombardia - BS
Allegato(i)
Anthocomus equestris (Fabricius, 1781) (cf.) - Malachiidae

9.IV.2014 - ITALIA - Lombardia - BS
Coleoptera

Ateuchetus

5

1023

09/04/2014, 13:47

Fumea crassiorella Vedi ultimo messaggio

Nessun messaggio da leggere
Chionotopus humeralis Rche, 1857 - Malachiidae
23.III.2014 - TURCHIA - EE
Allegato(i)
Chionotopus humeralis Rche, 1857 - Malachiidae

23.III.2014 - TURCHIA - EE
Coleoptera

ozgur70

4

1028

05/04/2014, 20:58

strepens Vedi ultimo messaggio

Nessun messaggio da leggere
Malachius aeneus (Linnaeus, 1758) - Malachiidae
14.V.1969 - ITALIA - Lazio - RM
Allegato(i)
Malachius aeneus (Linnaeus, 1758) - Malachiidae

14.V.1969 - ITALIA - Lazio - RM
Coleoptera

aesalus37

2

556

04/04/2014, 6:38

aesalus37 Vedi ultimo messaggio

Nessun messaggio da leggere
Anthocomus rufus (Herbst 1784) (cf.) - Malachiidae
16.XI.1995 - ITALIA - Lazio - RM
Allegato(i)
Anthocomus rufus (Herbst 1784) (cf.) - Malachiidae

16.XI.1995 - ITALIA - Lazio - RM
Coleoptera

aesalus37

3

633

01/04/2014, 6:47

aesalus37 Vedi ultimo messaggio

Nessun messaggio da leggere
Troglops silo Erichson 1840 - Malachiidae
8.VII.1997 - ITALIA - Lazio - RM
Allegato(i)
Troglops silo Erichson 1840 - Malachiidae

8.VII.1997 - ITALIA - Lazio - RM
Coleoptera

aesalus37

3

533

30/03/2014, 7:36

aesalus37 Vedi ultimo messaggio

Nessun messaggio da leggere
Colotes maculatus (Castelnau, 1836) - Malachiidae
16.IV.1997 - ITALIA - Lazio - RM
Allegato(i)
Colotes maculatus (Castelnau, 1836) - Malachiidae

16.IV.1997 - ITALIA - Lazio - RM
Coleoptera

aesalus37

6

592

29/03/2014, 7:57

aesalus37 Vedi ultimo messaggio

Nessun messaggio da leggere
Malachius sp. - Malachiidae
11.VII.2013 - ITALIA - Lombardia - PV
Allegato(i)
Malachius sp. - Malachiidae

11.VII.2013 - ITALIA - Lombardia - PV
Coleoptera

PAOLO BIELLA

2

439

11/12/2013, 8:53

Julodis Vedi ultimo messaggio

Nessun messaggio da leggere
Malachius sp. (cf.) - Malachiidae
VIII.2013 - GERMANIA - EE
Allegato(i)
Malachius sp. (cf.) - Malachiidae

VIII.2013 - GERMANIA - EE
Coleoptera

pierci

4

583

29/10/2013, 10:37

pierci Vedi ultimo messaggio

Nessun messaggio da leggere
Axinotarsus ruficollis (Olivier, 1790) (cf.) - Malachiidae
30.V.2009 - ITALIA - Lombardia - BG
Allegato(i)
Axinotarsus ruficollis (Olivier, 1790) (cf.) - Malachiidae

30.V.2009 - ITALIA - Lombardia - BG
Coleoptera

nicoletta

1

412

27/10/2013, 19:23

nicoletta Vedi ultimo messaggio

Nessun messaggio da leggere
Clanoptilus rufus (Olivier, 1790) - Malachiidae
13.V.2011 - ITALIA - Lazio - RM
Allegato(i)
Clanoptilus rufus (Olivier, 1790) - Malachiidae

13.V.2011 - ITALIA - Lazio - RM
Coleoptera

soken

6

726

15/09/2013, 16:26

Julodis Vedi ultimo messaggio

Nessun messaggio da leggere
Allegato(i)
Haplomalachius flabellatus (Frivaldzsky 1835) - Malachiidae

13.IV.2013 - CIPRO - EE
Coleoptera

T_18

2

618

21/08/2013, 11:49

T_18 Vedi ultimo messaggio

Nessun messaggio da leggere
Protoapalochrus flavolimbatus Mulsant & Rey, 1853 - Malachiidae
31.VII.2013 - ITALIA - Sardegna - CA
Allegato(i)
Protoapalochrus flavolimbatus Mulsant & Rey, 1853 - Malachiidae

31.VII.2013 - ITALIA - Sardegna - CA
Coleoptera

Palaemonetes

5

758

01/08/2013, 20:03

Palaemonetes Vedi ultimo messaggio

Nessun messaggio da leggere
Allegato(i)
Clanoptilus (Clanoptilus) brodskyi Svihla, 1987 - Malachiidae

1.V.2013 - GRECIA - EE
Coleoptera

Mantispid

1

400

30/07/2013, 20:19

strepens Vedi ultimo messaggio

Nessun messaggio da leggere
Allegato(i)
Colotes obsoletus Erichson, 1840 - Malachiidae

1.V.2013 - GRECIA - EE
Coleoptera

Mantispid

1

423

30/07/2013, 20:16

strepens Vedi ultimo messaggio

Nessun messaggio da leggere
Ebaeus sp. - Malachiidae
14.VI.2013 - ITALIA - Veneto - TV
Allegato(i)
Ebaeus sp. - Malachiidae

14.VI.2013 - ITALIA - Veneto - TV
Coleoptera

deltabravo

6

660

15/06/2013, 20:49

deltabravo Vedi ultimo messaggio

Nessun messaggio da leggere
Malachiidae
9.V.2013 - ITALIA - Lazio - RM
Allegato(i)
Malachiidae

9.V.2013 - ITALIA - Lazio - RM
Coleoptera

archimede

1

332

16/05/2013, 20:11

Andricus Vedi ultimo messaggio

Nessun messaggio da leggere
Attalus (Attalus) nourrichelii (Laporte de Castelnau, 1836) - Malachiidae
12.VIII.2012 - ITALIA - Emilia-Romagna - BO
Allegato(i)
Attalus (Attalus) nourrichelii (Laporte de Castelnau, 1836) - Malachiidae

12.VIII.2012 - ITALIA - Emilia-Romagna - BO
Coleoptera

Olaffio

3

559

19/03/2013, 0:29

Olaffio Vedi ultimo messaggio

Nessun messaggio da leggere
Allegato(i)
Haplomalachius (Flabellomalachius) flabellatus (Frivaldzsky, 1835) (cf.) - Malachiidae

8.V.2011 - TURCHIA - EE
Coleoptera

cosmln

2

787

31/12/2012, 15:51

cosmln Vedi ultimo messaggio

Nessun messaggio da leggere
Ebaeus collaris Erichson, 1840 - Malachiidae
25.VI.2012 - ITALIA - Molise - IS
Allegato(i)
Ebaeus collaris Erichson, 1840 - Malachiidae

25.VI.2012 - ITALIA - Molise - IS
Coleoptera

Franco ROSSI

5

931

29/10/2012, 18:49

Franco ROSSI Vedi ultimo messaggio

Nessun messaggio da leggere
Colotes maculatus (Laporte de Castelnau 1836) (cf.) - Malachiidae
18.VIII.2012 - ITALIA - Sardegna - CA
Allegato(i)
Colotes maculatus (Laporte de Castelnau 1836) (cf.) - Malachiidae

18.VIII.2012 - ITALIA - Sardegna - CA
Coleoptera

Fumea crassiorella

2

395

21/08/2012, 18:56

Fumea crassiorella Vedi ultimo messaggio

Nessun messaggio da leggere
Malachiidae
25.V.2007 - ITALIA - Puglia - FG
Allegato(i)
Malachiidae

25.V.2007 - ITALIA - Puglia - FG
Coleoptera

Franco ROSSI

1

389

13/06/2012, 23:57

Maurizio Bollino Vedi ultimo messaggio

Nessun messaggio da leggere
Attalus sp. - Malachiidae
1.V.2012 - ITALIA - Sicilia - PA
Allegato(i)
Attalus sp. - Malachiidae

1.V.2012 - ITALIA - Sicilia - PA
Coleoptera

Marco Ferrante

4

500

03/06/2012, 20:56

Marco Ferrante Vedi ultimo messaggio

Nessun messaggio da leggere
Axinotarsus ruficollis (Olivier, 1790) cf. Malachiidae
2.VI.2012 - ITALIA - Marche - PU
Allegato(i)
Axinotarsus ruficollis (Olivier, 1790) cf. Malachiidae

2.VI.2012 - ITALIA - Marche - PU
Coleoptera

marco paglialunga

0

298

03/06/2012, 9:04

marco paglialunga Vedi ultimo messaggio

Nessun messaggio da leggere
Allegato(i)
Malachius australis Mulsant & Rey, 1867 (cf.) - Malachiidae

25.V.2012 - ITALIA - Umbria - PG
Coleoptera

Maura

3

691

29/05/2012, 22:56

strepens Vedi ultimo messaggio

Nessun messaggio da leggere
Colotes maculatus (Castelnau, 1836) (cf.) - Malachiidae
22.IV.2012 - ITALIA - Puglia - LE
Allegato(i)
Colotes maculatus (Castelnau, 1836) (cf.) - Malachiidae

22.IV.2012 - ITALIA - Puglia - LE
Coleoptera

Maurizio Bollino

3

621

23/04/2012, 12:37

Maurizio Bollino Vedi ultimo messaggio

Nessun messaggio da leggere
Allegato(i)
Attalus (Attalus) cyaneus (Fabricius, 1792) (cf.) - Malachiidae

15.IV.2012 - ITALIA - Lazio - RM
Coleoptera

Broc

6

758

16/04/2012, 0:21

Julodis Vedi ultimo messaggio

Nessun messaggio da leggere
Ebaeus battonii Pardo, 1962 (cf.) - Malachiidae
11.VII.2011 - ITALIA - Umbria - PG
Allegato(i)
Ebaeus battonii Pardo, 1962 (cf.) - Malachiidae

11.VII.2011 - ITALIA - Umbria - PG
Coleoptera

Maura

11

1038

07/04/2012, 11:06

Maura Vedi ultimo messaggio

Nessun messaggio da leggere
Ebaeus collaris Erichson, 1840 - Malachiidae
27.V.2011 - SPAGNA - EE
Allegato(i)
Ebaeus collaris Erichson, 1840 - Malachiidae

27.V.2011 - SPAGNA - EE
Coleoptera

Isidro

2

542

09/02/2012, 16:41

Isidro Vedi ultimo messaggio

Nessun messaggio da leggere
Attalus (Maurattalus) sp. - Malachiidae
8.IV.1996 - TUNISIA - EE
Allegato(i)
Attalus (Maurattalus) sp. - Malachiidae

8.IV.1996 - TUNISIA - EE
Coleoptera

Julodis

11

1105

26/01/2012, 17:38

Julodis Vedi ultimo messaggio

Nessun messaggio da leggere
Colotes maculatus (Laporte de Castelnau 1836) (cf.) - Malachiidae
14.VIII.2011 - ITALIA - Friuli-Venezia Giulia - GO
Allegato(i)
Colotes maculatus (Laporte de Castelnau 1836) (cf.) - Malachiidae

14.VIII.2011 - ITALIA - Friuli-Venezia Giulia - GO
Coleoptera

Agdistis

2

462

15/08/2011, 11:08

Agdistis Vedi ultimo messaggio

Nessun messaggio da leggere
Malachius bipustulatus (Linnaeus, 1758) - Malachidae
2.VI.2011 - ITALIA - Toscana - LI
Allegato(i)
Malachius bipustulatus (Linnaeus, 1758) - Malachidae

2.VI.2011 - ITALIA - Toscana - LI
Coleoptera

Lucarelli

2

616

05/06/2011, 20:51

Lucarelli Vedi ultimo messaggio

Nessun messaggio da leggere
Malachiidae - Romania
4.VI.2011 - ROMANIA - EE
Allegato(i)
Malachiidae - Romania

4.VI.2011 - ROMANIA - EE
Coleoptera

alexaandru

0

361

04/06/2011, 8:17

alexaandru Vedi ultimo messaggio

Nessun messaggio da leggere
Clanoptilus rufus (Olivier, 1790)
22.VI.2010 - ITALIA - Sardegna - NU
Allegato(i)
Clanoptilus rufus (Olivier, 1790)

22.VI.2010 - ITALIA - Sardegna - NU
Coleoptera

Andrea Pergine

3

737

02/06/2011, 17:45

Andrea Pergine Vedi ultimo messaggio

Nessun messaggio da leggere
Allegato(i)
Clanoptilus rufus (Olivier, 1790) - Malachiidae - Insetti della città di Roma

1.VI.2011 - ITALIA - Lazio - RM
Coleoptera

Julodis

5

1165

02/06/2011, 12:55

giuseppe55 Vedi ultimo messaggio

Nessun messaggio da leggere
Sphinginus lobatus (Olivier 1790) cf. - Malachiidae
24.IV.2011 - ITALIA - Emilia-Romagna - BO
Allegato(i)
Sphinginus lobatus (Olivier 1790) cf. - Malachiidae

24.IV.2011 - ITALIA - Emilia-Romagna - BO
Coleoptera

Loriscola

0

403

26/04/2011, 20:50

Loriscola Vedi ultimo messaggio

Nessun messaggio da leggere
Sphinginus lobatus (Olivier 1790) (cf) - Malachiidae
23.IV.2011 - ITALIA - Marche - PU
Allegato(i)
Sphinginus lobatus (Olivier 1790) (cf) - Malachiidae

23.IV.2011 - ITALIA - Marche - PU
Coleoptera

marco paglialunga

2

592

26/04/2011, 20:27

marco paglialunga Vedi ultimo messaggio

Nessun messaggio da leggere
Colotes maculatus (Laporte de Castelnau 1836) - Malachiidae
23.IV.2011 - ITALIA - Marche - PU
Allegato(i)
Colotes maculatus (Laporte de Castelnau 1836) - Malachiidae

23.IV.2011 - ITALIA - Marche - PU
Coleoptera

marco paglialunga

0

487

26/04/2011, 8:52

marco paglialunga Vedi ultimo messaggio

Nessun messaggio da leggere
Malachius bipustulatus (Linnaeus, 1758) - Malachiidae
20.IV.2011 - ITALIA - Basilicata - MT
Allegato(i)
Malachius bipustulatus (Linnaeus, 1758) - Malachiidae

20.IV.2011 - ITALIA - Basilicata - MT
Coleoptera

Mimmo011

0

640

25/04/2011, 20:39

Mimmo011 Vedi ultimo messaggio

Nessun messaggio da leggere
Charopus rotundatus (cf.) Erichson, 1840 - Malachiidae
8.IV.2011 - ITALIA - Sardegna - CA
Allegato(i)
Charopus rotundatus (cf.) Erichson, 1840 - Malachiidae

8.IV.2011 - ITALIA - Sardegna - CA
Coleoptera

Palaemonetes

4

590

19/04/2011, 19:42

Palaemonetes Vedi ultimo messaggio

Nessun messaggio da leggere
Clanoptilus rufus - Malachiidae
30.V.2010 - ITALIA - Sardegna - OT
Allegato(i)
Clanoptilus rufus - Malachiidae

30.V.2010 - ITALIA - Sardegna - OT
Coleoptera

elleelle

0

296

21/03/2011, 0:46

elleelle Vedi ultimo messaggio

Nessun messaggio da leggere
Attalus cyaneus (Fabricius, 1792) (cf.) - Malachidae
13.III.2011 - ITALIA - Sardegna - CA
Allegato(i)
Attalus cyaneus (Fabricius, 1792) (cf.) - Malachidae

13.III.2011 - ITALIA - Sardegna - CA
Coleoptera

ruzzpa

4

530

13/03/2011, 22:17

ruzzpa Vedi ultimo messaggio

Nessun messaggio da leggere
Coleotteri - Malachiidae (1)
9.V.2009 - ITALIA - Lombardia - SO
Allegato(i)
Coleotteri - Malachiidae (1)

9.V.2009 - ITALIA - Lombardia - SO
Coleoptera

Luciano Menghi

0

419

09/03/2011, 12:58

Luciano Menghi Vedi ultimo messaggio

Visualizza ultimi argomenti:  Ordina per  Ordine:  
nuovo argomento
Vai alla pagina Precedente  1 ... 4, 5, 6, 7, 8  Prossimo
Pagina 7 di 8 [ 365 argomenti ]

Tutti gli orari sono UTC + 1 ora [ ora legale ]


Chi c’è in linea

Visitano il forum: Nessuno e 1 ospite


Legenda
Messaggi da leggere Messaggi da leggere Nessun messaggio da leggere Nessun messaggio da leggere Annuncio Annuncio
 
Specie indeterminata / discussione generica
Messaggi non letti [ Popolari ] Messaggi non letti [ Popolari ] Nessun messaggio da leggere [ Popolare ] Nessun messaggio da leggere [ Popolare ] Importante Importante
 
Specie determinata fino al genere o cf.
Messaggi non letti [ Bloccati ] Messaggi non letti [ Bloccati ] No messaggi non letti [ Bloccati ] No messaggi non letti [ Bloccati ] Argomento spostato Argomento spostato
 
Specie correttamente determinata
Permessi
Non puoi aprire nuovi argomenti
Non puoi rispondere negli argomenti
Non puoi modificare i tuoi messaggi
Non puoi cancellare i tuoi messaggi
Non puoi inviare allegati

Cerca per:
Vai a: