| Autore |
Messaggio |
|
Isotomus
|
Inviato: 24/03/2010, 9:40 |
|
Iscritto il: 05/09/2009, 7:56 Messaggi: 3445 Località: Cesena
Nome: Gianfranco Sama
|
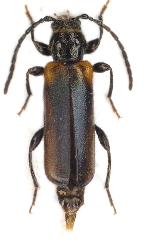
Poecilium wrzecionkoi Rapuzzi & Sama, 2010Specie prossima endemica della Siria settentrionale, prossima a Poecilium pusillum (Fabricius, 1787). E' stata descritta di recente nei Quaderni della Società per gli Studi Naturalistici della Romagna.
Rapuzzi_Sama_Wrzecionkoi.pdf [1.94 MiB]
Scaricato 248 volte
_________________ Gianfranco Sama
"Benedetto colui che ti aiuta a correggere i tuoi errori invece di scagliarteli contro" ___________________________________ Gershom Sholem
|
|
| Top |
|
 |
|
Giannis
|
Inviato: 14/02/2012, 20:47 |
|
|
|
|
P.wrzecionkoi-male,female-Paratype,I bought,I wonder whether Gianfranco Sama opinion that they are. Male-wrzecionkoi-abdomen totaly is black. Female-wrzecionkoi-abdomen totaly is red. Thank you.Giannis
P.wrzecionkoi

|
|
|
| Top |
|
 |
|
Xylosteus
|
Inviato: 14/02/2012, 21:40 |
|
Iscritto il: 13/09/2009, 18:04 Messaggi: 881
Nome: Pierpaolo Rapuzzi
|
|
Hi Giannis, according your picture is difficult to say anything. I checked my specimens: male and female with black abdomen. Can you give ma the full details of their labels and the name of the person who has given you that specimens. Best regards Pierpaolo Rapuzzi
|
|
| Top |
|
 |
|
Giannis
|
Inviato: 15/02/2012, 9:01 |
|
|
|
|
Hi Pierpaolo R.,both pieces of both female and male I bought from Mr.Antonín Wrzecionko. To me,I bought the P.pusilum barbipes,they look like P.pusilum barbipes. Paratypus both as the female,the male does not have yellow spots on the shoulders. The elytra have the same colour as the P.pusilum barbipes. Pierpaolo your opinion? Thank you very much Giannis.
|
|
| Top |
|
 |
|
Xylosteus
|
Inviato: 15/02/2012, 17:14 |
|
Iscritto il: 13/09/2009, 18:04 Messaggi: 881
Nome: Pierpaolo Rapuzzi
|
|
Hi Giannis, the differences between pusillum barbipes (and inopinatum as well) and wrzecionkoi are shown in the original description: " Differential diagnosis. Poecilium wrzecionkoi n. sp. is similar to P. pusillum pusillum (Fabricius, 1787) and chiefly to P. pusillum ssp. barbipes from Greece which has elytra with humeral, but reduced, light spot. These taxa differs from P. wrzecionkoi n. sp. by longer antennae, with first segment much more distinct- ly swollen apically, the 2nd one shorter, the 3rd shorter than 4th, pronotum shiner, more sparsely punctate and without distinct microsculpture, elytra less distinctly wrinkled on the disc, with distinctly larger punctation, abdomen partly (male) or totally (female) reddish. The females of wrzecionkoi n. sp. are furthermore distin- guished by shorter antennae, elytra elongated and parallel sided and with finer and denser punctation which gives a mat appearance. The abdomen is totally black instead of partly reddish." Best regards, Pierpaolo
PS: the paratype labels are not the original ones....
|
|
| Top |
|
 |
|
Giannis
|
Inviato: 15/02/2012, 19:15 |
|
|
|
|
Pierpaolo Hi friend. Pierpaolo, thank you for the information.Thank you so much Giannis
|
|
| Top |
|
 |
|
Phytoecia
|
Inviato: 21/01/2018, 2:55 |
|
Iscritto il: 28/07/2010, 11:11 Messaggi: 235 Località: Poland
Nome: Jacek Kurzawa
|
|
| Top |
|
 |
|
gomphus
|
Inviato: 21/01/2018, 15:36 |
|
Iscritto il: 05/02/2009, 17:31 Messaggi: 9527 Località: milano
Nome: maurizio pavesi
|
Phytoecia ha scritto: Xylosteus ha scritto: Hi Giannis, ... PS: the paratype labels are not the original ones.... Fake PT in 2012. More viewtopic.php?p=420530#p420530il lupo perde il pelo  ...
_________________ ***************** maurizio
|
|
| Top |
|
 |
|
Giannis
|
Inviato: 20/02/2018, 10:45 |
|
|
|
|
Here I showed in 2012 what the scams are doing on Czech stock exchanges and sellers offer fake Paratypus labels and still sell them.And the worst entomologists are in Czech Entoforum, amateurism, envy, defamation, thieves and idiots who can not determine anything!
|
|
| Top |
|
 |
|